Inhalt

VG Ansbach, Urteil v. 14.12.2022 – AN 17 K 21.01375
Titel:

Erfolglose Nachbarklage gegen die Genehmigung der Umnutzung eines (ehemaligen) Hühnerstalles in einen privaten Gesellschaftsraum

Normenketten:
VwGO § 42 Abs. 2, § 113 Abs. 1 S. 1
BauGB § 34 Abs. 1, Abs. 2, § 35 Abs. 2
BayBO Art. 2 Abs. 4, Art. 59 S. 1 Nr. 1
BayVwVfG Art. 37 Abs. 1
BauNVO § 14 Abs. 1 S. 1, § 15 Abs. 1 S. 2
GastG § 4 Abs. 1 S. 1 Nr. 3
Leitsätze:
1. Ein Gebietserhaltungsanspruch besteht nicht gebietsübergreifend, dh im Verhältnis zu einem benachbarten Baugebiet, sondern nur innerhalb desselben Baugebiets. Ebenso wenig besteht ein Gebietserhaltungsanspruch in Bezug auf ein Vorhaben, das sich im Außenbereich befindet. (Rn. 20) (redaktioneller Leitsatz)
2. Anlagen zur Hobby- und Freizeitgestaltung sind Anlagen iSv § 14 Abs. 1 S. 1 BauNVO, die dem Wohnen dienen bzw. das Wohnen fördern. (Rn. 24) (redaktioneller Leitsatz)
3. Für die mit einer Wohnnutzung verbundenen Geräusche bzw. für die dem Nachbarn zumutbare Geräuschkulisse durch Wohnen existiert weder ein unmittelbar eingreifendes technisches Regelwerk, noch eine konkrete Rechtsgrundlage bzw. ein spezifischer rechtlicher Rahmen für ein präventives Vorgehen. (Rn. 28) (redaktioneller Leitsatz)
Schlagworte:
Drittanfechtungsklage gegen privaten Gesellschaftsraum außerhalb des Wohnhauses, kein nachbarlicher Abwehranspruch gegenüber Außenbereichsvorhaben, Frage nach einem gebietsübergreifenden Gebietserhaltungsanspruchs gegenüber Außenbereichsvorhaben, wenn durch dieses eine Baulücke geschaffen wird, Abgrenzung Außen- und Innenbereich, Gebot der Rücksichtnahme – Prüfung von Lärmimmissionen, die vom Wohnen ausgehen/ Behandlung von Wohngeräuschen nach den technischen Immissionsregelwerken TA Lärm und Freizeitlärm-Richtlinie, Bestimmtheit einer Baugenehmigung für erweiterte Wohnnutzung, Drittanfechtungsklage, Baugenehmigung, Bestimmtheit, vereinfachtes Verfahren, Nutzungsänderung, Gesellschaftsraum, Gebietserhaltungsanspruch, Abgrenzung Innen-/Außenbereich, Nebenanlage, Lärmimmissionen, Wohngeräusche, Sozialadäquat
Fundstelle:
BeckRS 2022, 42422

Tenor

1. Die Klage wird abgewiesen.
2. Der Kläger trägt die Kosten des Verfahrens mit Ausnahme der außergerichtlichen Kosten des Beigeladenen, der diese selbst trägt. Das Urteil ist insoweit vorläufig vollstreckbar.
3. Der Kläger kann die Vollstreckung durch Sicherheitsleistung oder Hinterlegung in Höhe der festgesetzten Kosten abwenden, wenn nicht der Beklagte vor der Vollstreckung Sicherheit in gleicher Höhe leistet.

Tatbestand

1
Der Kläger wendet sich gegen eine dem Beigeladenen erteilte Baugenehmigung für die Umnutzung eines Hühnerstalles in einen privaten Gesellschaftsraum.
2
Der Kläger ist Eigentümer des in Ortsrandlage liegenden ehemaligen landwirtschaftlichen Grundstücks FlNr. 579 der Gemarkung … (…), das mit einem Wohnhaus, Nebenanlagen (Carport und Werkstatt) und einem weiteren Haus bebaut ist. Bei diesem weiteren Haus handelt es sich um eine ehemalige Scheune bzw. Maschinenhalle, die 2004 teilweise zu Wohnzwecken umgenutzt worden ist. 2016 erfolgte eine Nutzungsänderung eines weiteren Gebäudeteils (Erdgeschoss) zu einem Büro mit Seminarraum, 2018 eine Nutzungsänderung dieser Räume zu einem Imbiss mit Ausschank und Gasträumen und kleiner Terrasse. Im Norden und Osten/Südosten ist das dreieckig geschnittene Grundstück des Klägers von zwei Gemeindestraßen umfasst.
3
Jenseits der nördlichen Straße befindet sich das landwirtschaftliche Grundstück des Beigeladenen (FlNr. 569, …*). Westlich des klägerischen Grundstücks befindet sich außerdem das bewaldete und weitgehend unbebaute Grundstück FlNr. 580 des Beigeladenen. Auf ihm befindet sich grenzständig im Nordwesten ein langgezogenes, ca. 16 m x 4 m großes eingeschossiges Gebäude mit Satteldach. Der nördliche Gebäudeteil ist offen und wird zum Unterstellen von landwirtschaftlichen Geräten, der südliche Teil wurde ursprünglich als Hühnerstall genutzt.
4
Die kürzeste Entfernung zwischen dem klägerischen Wohnanwesen und dem klagegegenständlichen Vorhaben beträgt ca. 26 m.
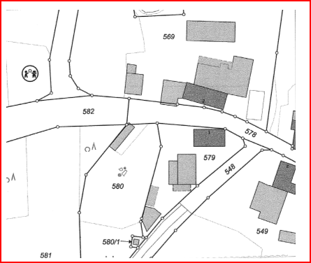
5
Die Lage stellt sich wie folgt dar:
6
Mit beim Landratsamt … am 22. Oktober 2020 eingegangenen Unterlagen beantragte der Beigeladene für den ehemaligen Hühnerstall (8,20 m x 3,86 m) die Umnutzung in einen Gesellschaftsraum für Jugendliche. Auf der dem Kläger zugewandten Seite des Gebäudes sind laut Bauzeichnungen drei Fenster und eine Tür, auf der vom Kläger abgewandten Seite eine weitere Tür geplant. Die Stadt … erteilte ihr gemeindliches Einvernehmen.
7
Der Kläger unterzeichnete die Baupläne nicht. Er erhob im Verwaltungsverfahren Einwände gegen das Bauvorhaben und trug vor, dass sein Grundstück, das er 1993 erworben habe, nicht mehr landwirtschaftlich, sondern teilweise gewerblich und überwiegend zum Wohnen durch vier Parteien genutzt werde. Ein Partyraum füge sich in den bestehenden Charakter eines allgemeinen Wohngebiets nicht ein. Es sei - wie bisher schon - mit erheblichen Lärmbelästigungen bis spät in die Nacht zu rechnen. Es sei deswegen bereits zu mehreren Polizeieinsätzen vor Ort gekommen. Aufgrund der geringen Deckenhöhe von nur 2 m, der Bausubstanz und der vorhandenen Feuerstätte sei auch mit einer Brandgefahr für die Jugendlichen zu rechnen. Da ein Wasseranschluss nicht existiere, bestehe ein Hygieneproblem. Die Standfestigkeit des Gebäudes sei zu bezweifeln. Dem hielt der Beigeladene entgegen, dass der Kläger auf seinem eigenen Grundstück vor der Coronazeit selbst Veranstaltungen mit lauter Musik und stark alkoholisierten Personen abgehalten habe. Die Internetseite werbe mit einer Wein und Whisky Lounge, die Platz für mehr als 30 Personen biete.
8
Mit Schreiben vom 19. Mai 2021 führte der Beigeladene zum Nutzungszweck des Vorhabens aus, dass ein Treffpunkt für Freunde, im Regelfall bis zu sechs, höchstens zehn Personen geplant sei. Die Treffen fänden in der Regel tagsüber, d.h. bis 22 Uhr statt. Bei einem Aufenthalt nach 22 Uhr würden, abgesehen von max. 6 Mal pro Jahr, keine Musikgeräte in Betrieb genommen. Fahrzeuge könnten auf der FlNr. 569 abgestellt werden, Kraftfahrzeugverkehr sei aber die Ausnahme. Es könnten die sanitären Anlagen auf der FlNr. 569 genutzt werden.
9
Nach Änderung der Raumhöhen erteilte das Landratsamt … im vereinfachten Genehmigungsverfahren mit Bescheid vom 15. Juli 2021 die bauaufsichtliche Genehmigung und erklärte das Schreiben des Bauherrn vom 19. Mai 2021 hinsichtlich des Nutzungskonzeptes zum Bestandteil der Baugenehmigung. Unter „Immissionsschutz 3.“ ist festgesetzt, dass der Immissionsrichtwert tags (6 bis 22 Uhr) von 60 dB(A) und nachts (22 bis 6 Uhr) von 45 dB(A) am Immissionsort (nächstgelegenes Wohnhaus bzw. Gebäude mit Aufenthaltsräumen auf der FlNr. 579) nicht überschritten werden dürfe. Zur Nachtzeit seien die Türen und Fenster des Gesellschaftsraumes geschlossen zu halten. In den Gründen des Bescheids ist ausgeführt, dass nachbarliche Belange nicht berührt seien und es sich um ein Bauvorhaben nach § 35 Abs. 2 BauGB handele.
10
Gegen den ihm zugestellten Bescheid erhob der Kläger durch seinen Prozessbevollmächtigten am 27. Juli 2021 Klage zum Verwaltungsgericht Ansbach und beantragte,
den Bescheid des Beklagten vom 15. Juli 2021 aufzuheben.
11
Zur Begründung berief sich der Kläger im Schriftsatz vom 26. Januar 2022 darauf, dass das Vorhaben nicht dem Außenbereich zuzuordnen sei, sondern bauplanungsrechtlich nach § 34 BauGB zu beurteilen sei. Die Begegnungsstätte für Jugendliche für Partys und Feste füge sich nicht in das dörfliche Wohngebiet mit ehemaliger landwirtschaftlicher Nutzung ein. § 5a BauNVO lasse eine privat betriebene Begegnungsstätte für Jugendliche nicht zu, während die eigene gewerbliche Schank- und Speisewirtschaft den Nachbarschutz durch die gaststättenrechtliche Konzession mit Zuverlässigkeitsprüfung gewährleisten könne. Selbst wenn vom Außenbereich nach § 35 BauGB auszugehen sein sollte, sei die Nutzung rechtswidrig. Der Hühnerstall werde als solches seit mehr als sieben Jahren nicht mehr genutzt. Es handle es sich um eine Bauruine. § 35 Abs. 4 Satz 1 BauGB greife damit nicht ein. Die Nutzungsart „Gesellschaftsraum für Jugendliche“ sei nicht näher erläutert worden, die künftige Nutzung erschließe sich nicht. Die Genehmigung sei deshalb zu unbestimmt. Es bestünden bauordnungsrechtliche Bedenken zum Brandschutz, zur Standfestigkeit, zur Raumhöhe, wegen des fehlenden Wasseranschlusses und wegen fehlender Sanitäranlagen. Das Rücksichtnahmegebot sei verletzt, weil dem Ruhebedürfnis der Nachbarn nicht Rechnung getragen werde. Die Immissionsschutzauflagen seien mit den Personalressourcen des Landratsamtes nicht überprüfbar.
12
Der Beklagte beantragte mit Schriftsatz vom 22. Februar 2022,
die Klage abzuweisen.
13
Das Schreiben vom 19. Mai 2021 sei zum Bestandteil der Baugenehmigung erklärt worden, so dass die Bestimmtheit im Hinblick auf die Nutzung gewährleistet sei. Brandschutz und Standsicherheit seien im vereinfachten Genehmigungsverfahren nicht zu prüfen. Das klägerische Grundstück sei außerdem ca. 12 m vom Bauvorhaben entfernt und ein Brandüberschlag mehr als unwahrscheinlich. Das Vorhaben befinde sich im planungsrechtlichen Außenbereich. Der Flächennutzungsplan sehe ein Mischgebiet bzw. ein Dorfgebiet vor. Eine Zersplitterung sei nicht zu befürchten. … sei wegen der dort ansässigen landwirtschaftlichen Betriebe als Dorfgebiet nach § 5 BauNVO einzustufen. Ein faktisches dörfliches Wohngebiet existiere nach § 245d Abs. 1 BauGB nicht. Selbst wenn man von einem Gebiet nach § 34 BauGB ausginge, würde sich das Vorhaben als Nebenanlage nach § 14 BauNVO zum landwirtschaftlichen Anwesen darstellen. Es handle sich um einen Raum für private Treffen von Jugendlichen, nicht um eine gewerbliche Nutzung. Dem Kläger selbst sei eine wesentlich umfangreichere Nutzung seiner Räumlichkeiten mit 35 Sitzplätzen und werktags bis 1:00 Uhr nachts genehmigt worden, weswegen nicht nachvollziehbar sei, warum der Jugendraum sich demgegenüber nicht einfügen solle.
14
Wegen der weiteren Einzelheiten des Sachverhalts wird auf die beigezogenen Behördenakten, einschließlich der Baugenehmigungsakten zu den klägerischen Anwesen Bezug genommen. Für den Verlauf der mündlichen Verhandlung wird auf die Sitzungsniederschrift verwiesen.

Entscheidungsgründe

15
Die erhobene Anfechtungsklage (§ 42 Abs. 1 Alt. 1 VwGO) gegen die Baugenehmigung vom 15. Juli 2021 ist zulässig, aber unbegründet und deshalb abzuweisen.
16
Eine Anfechtungsklage hat nach § 113 Abs. 1 Satz 1 VwGO nur dann Erfolg, wenn der angefochtene Verwaltungsakt - hier die Baugenehmigung - rechtswidrig ist und den Kläger zugleich in seinen Rechten verletzt. Die objektive Verletzung einer Rechtsnorm alleine genügt für den Erfolg der Nachbarklage hingegen nicht. Vielmehr muss sich die Rechtswidrigkeit zum einen gerade aus einer solchen Norm ergeben, die dem Schutz des Nachbarn dient (Schutznormtheorie, vgl. BayVGH, B.v. 24.3.2009 - 14 CS 08.3017 - juris). Zum anderen ist nur eine Rechtsverletzung maßgeblich, die zum Prüfungsumfang im anzuwendenden bauaufsichtsrechtlichen Verfahren gehört, Art. 68 Abs. 1 Satz 1 BayBO. Dementsprechend findet im gerichtlichen Verfahren keine umfassende Rechtmäßigkeitskontrolle statt, die Prüfung hat sich vielmehr darauf zu beschränken, ob durch die angefochtene Baugenehmigung drittschützende Vorschriften, die dem Nachbarn einen Abwehranspruch gegen das Vorhaben vermitteln, verletzt sind (BayVGH a.a.O.).
17
1. Die Verletzung einer solchen, den Kläger begünstigenden und von der Bauaufsichtsbehörde zu prüfenden Norm liegt hier nicht vor. Im hier - mangels Vorliegens eines Sonderbaus nach Art. 2 Abs. 4 BayBO - einschlägigen vereinfachten Genehmigungsverfahren ist nach Art. 59 Satz 1 Nr. 1a) BayBO i.V.m. §§ 29 ff. BauGB im Wesentlichen die bauplanungsrechtliche Zulässigkeit des Vorhabens zu prüfen und mit Ausnahme der Abstandsflächen nach Art. 6 BayBO, vgl. Art. 59 Satz 1 Nr. 2 BayBO, und der Einhaltung örtlicher Bauvorschriften, vgl. Art. 59 Satz 1 Nr. 3 BayBO, grundsätzlich aber keine bauordnungsrechtlichen Anforderungen. Den Einwänden der Klägerseite zum Brandschutz und der Standfestigkeit des Vorhabengebäudes sowie zu Deckenhöhen und Hygieneproblemen war demzufolge seitens des Gerichts nicht nachzugehen. Diese Einwände der Klägerseite könnten das Aufhebungsbegehren selbst dann nicht tragen, wenn sie inhaltlich zutreffend wären.
18
2. Die angegriffene Baugenehmigung ist entgegen der Ansicht der Klägerseite ausreichend bestimmt i.S.v. Art. 37 Abs. 1 BayVwVfG, eine Unbestimmtheit in Bezug auf bei der Drittanfechtungsklage allein relevante nachbarschützende Belange liegt nicht vor. Unbestimmtheit in diesem Sinne liegt vor, wenn wegen unklarer Bauvorlagen bzw. mangels konkretisierender Inhalts- oder Nebenbestimmungen in der Baugenehmigung der Gegenstand und Umfang der Baugenehmigung nicht eindeutig festgestellt und in der Folge eine Verletzung von Nachbarrechten nicht ausgeschlossen werden kann (BayVGH, B.v. 23.2.2021 - 15 CS 21.403 - juris Rn. 69; B.v. 30.7.2019 - 15 CS 19.1227 - juris Rn. 16 m.w.N.; VG Ansbach, U.v. 6.7.2021 - AN 17 K 17.02106 - juris Rn. 29; Reidt in Battis/Krautzberger/Löhr, BauGB, 14. Aufl. 2019, Vorbm. zu §§ 29-38 Rn. 35 m.w.N.). Maßgeblich für den Rechtsschutz des Nachbarn ist, dass er feststellen können muss, ob und in welchem Umfang er durch das Bauvorhaben betroffen ist (BayVGH, B.v. 5.7.2017 - 9 CS 17.603 - juris Rn. 13).
19
Durch die vom Beigeladenen mit Schreiben vom 19. Mai 2021 im Baugenehmigungsverfahren abgegebene Baubeschreibung ist der Nutzungszweck als rein privater Treffpunkt (keine gewerbliche Nutzung, keine Vermietung) und der Nutzungsumfang ausreichend klar festgelegt. Die Formulierung „im Regelfall sechs, höchstens zehn Personen“ gibt, anders als der Kläger meint, auch eine Höchstgrenze von zehn Personen vor und lässt diese nicht offen und flexibel. Durch die Nutzungsbeschreibung vom 19. Mai 2021 und die übrigen Bauunterlagen ist zwar keine Aussage zur Anzahl der Nutzungstage getroffen. Eine Unbestimmtheit ergibt insofern aber nicht, vielmehr kann in diesem Fall von einer umfassenden, also täglichen Nutzung ausgegangen werden. Zu den täglichen Nutzungsstunden sind zwar keine verbindlichen Angaben gemacht, jedoch ist mitgeteilt worden, dass in der Regel Treffen in dem Raum zur Tagzeit stattfinden und künstliche Lärmquellen - bis auf sechs Mal jährlich - nach 22 Uhr nicht verwendet werden. Eine am Nutzungszweck und am maximal zulässigen Nutzungsumfang (der durch die Auflage in der Baugenehmigung, dass Fenster und Türen zur Nachtzeit zu schließen sind, weiter eingeschränkt und konkretisiert wird) orientierte Abschätzung der Lärmauswirkungen ist für den Kläger damit möglich. Eine darüber hinaus gehende Präzisierung der Nutzung ist hier nicht erforderlich.
20
3. Das Vorhaben verletzt den Kläger nicht in seinem Gebietserhaltungsanspruch. Ein Nachbar kann sich, ohne dass es insoweit einer Zumutbarkeitsprüfung bedürfte, darauf berufen, dass ein hinzukommendes Bauvorhaben den Festsetzungen des Bebauungsplans zur Art der baulichen Nutzung widerspricht, § 30 Abs. 1 BauGB i.V.m. BauNVO, bzw. im Fall eines Gebietes, für den kein Bebauungsplan existiert, sich in den Bebauungszusammenhang nach der Art der baulichen Nutzung nicht einfügt, § 34 Abs. 1 BauGB, bzw. dem faktisch bestehenden Gebietscharakter widerspricht, § 34 Abs. 2 BauGB i.V.m. BauNVO. Ein Gebietserhaltungsanspruch besteht nach der Rechtsprechung jedoch nicht gebietsübergreifend, d. h. im Verhältnis zu einem benachbarten Baugebiet, sondern nur innerhalb desselben Baugebiets. Ebenso wenig besteht ein Gebietserhaltungsanspruch in Bezug auf ein Vorhaben, das sich im Außenbereich befindet, weil es auch in solchen Fällen an dem Bestehen eines wechselseitigen Austauschverhältnisses, an einer bodenrechtlichen Schicksalsgemeinschaft fehlt (BayVGH, B.v. 23.1.2018 - 15 CS 17.2575 Rn. 20; B.v. 13.1.2014 - 2 ZB 12.2242 - juris Rn. 12; BVerwG, U.v. 18.12.2007 - 4 B 55.07 - juris Rn. 6).
21
Danach ist ein Gebietserhaltungsanspruch des Klägers hier ausgeschlossen. Das Vorhaben befindet sich nämlich im Außenbereich. Eine Außenbereichslage ist dann gegeben, wenn kein Innenbereich, der nach § 34 Abs. 1 BauGB als im Zusammenhang bebauter Ortsteil definiert ist, vorliegt. Der Bebauungszusammenhang liegt bei tatsächlich aufeinander folgender Bebauung vor. Er reicht dabei soweit, wie eine solche Bebauung trotz etwa vorhandener Baulücken nach der Verkehrsauffassung den Eindruck der Geschlossenheit und Zusammengehörigkeit vermittelt (BayVGH, U.v. 31.10.2013 - 1 B 13.794 - juris Rn. 13), wobei das geplante Vorhaben, dessen Zulässigkeit zu bestimmen ist, dabei außer Betracht zu bleiben hat (BVerwG, U.v. 6.12.1967 - IV C 94.66 - juris Rn. 27). Ein Bauwerk ist nur dann dem Bebauungszusammenhang zuzurechnen, wenn es optisch wahrnehmbar ist, ein gewisses Gewicht besitzt und grundsätzlich dem ständigen Aufenthalt von Menschen dient (Jäde/Dirnberger, BauGB, 9. Aufl. 2018, § 30 Rn. 4). Denn nur solche Bauwerke sind in der Lage, eine prägende Wirkung auf die Umgebung auszuüben. Nicht ausreichend sind hingegen Bauten, die ausschließlich landwirtschaftlichen Zwecken dienen wie Scheunen und Ställe oder Nebenanlagen ohne Aufenthaltsräume (Jäde/Dirnberger, BauGB, a.a.O. m.w.N.). Der Bebauungszusammenhang endet regelmäßig mit der letzten Bebauung (Jäde/Dirnberger, BauGB, § 30 Rn. 18), eine Fortsetzung der Bebauung nimmt dann grundsätzlich den Außenbereich in Anspruch. Andererseits ist die Beurteilung, ob ein Bebauungszusammenhang vorliegt, nicht nach geografisch-mathematischen Maßstäben, sondern auf Basis einer umfassenden, die gesamten örtlichen Gegebenheiten berücksichtigenden Bewertung zu treffen (BVerwG, B.v. 2.4.2007 - 4 B 7/07 - juris Rn. 5) und können z.B. topografische oder geografische Umstände zu einer Einbeziehung einer Fläche in den Innenbereich führen (Jäde/Dirnberger, BauGB, § 30 Rn. 22 m.w.N.). Ein Grundstück ist regelmäßig dann dem Innenbereich zuzuordnen, wenn es an mindestens drei Seiten von Bebauung umgeben ist (BayVGH, B.v. 3.2.2014 - 1 ZB 12.468 - juris Rn. 3).
22
Gemessen daran liegt das zu beurteilende Gebäude auf der FlNr. 580 nicht mehr im Innenbereich, sondern ist dem Außenbereich zuzuordnen. Der Bebauungszusammenhang endete bisher nach Westen mit dem Wohn- und Gewerbegebäude des Klägers auf der FlNr. 579, dem bisher letzten Gebäude, das für den Aufenthalt von Menschen bestimmt war. Das Vorhabengebäude selbst diente bisher der rein landwirtschaftlichen Nutzung (Unterstand bzw. Schuppen und Hühnerstall) und hat deshalb bislang nicht am Bebauungszusammenhang von … teilgenommen. Nach dem klägerischen Anwesen folgt nach Westen außerdem eine überwiegend bewaldete Fläche, die zusätzlich zu der nicht geringen Entfernung zwischen klägerischem Anwesen und Vorhabengebäude von - an der engsten Stelle - rund 26 m eine Trennungswirkung ausübt, jedenfalls keinesfalls verbindend wirkt. Die Verhältnisse vor Ort waren für das Gericht anhand der in der Behördenakte befindlichen Lagepläne und durch Luftaufnahmen und Kartenmaterial des BayernAltas gut beurteilbar, so dass es einer Beweisaufnahme durch Ortsaugenschein, was von den Parteien auch nicht beantragt worden war, nicht bedurft hatte.
23
Liegt aber eine Außenreichslage des Vorhabens vor, scheidet nach der Rechtsprechung ein Gebietserhaltungsanspruch des Klägers aus. Ein Anspruch auf Freihaltung des Außenbereichs haben Anwohner hingegen nicht (BVerwG, B.v. 28.7.1999 - 4 B 38/99 - juris Rn. 5; VG München, U.v. 26.5.2021 - M 9 K 18.3467 - juris Rn. 19). Die grundsätzliche Freihaltung des Außenbereichs von Bebauung stellt lediglich einen objektiven Belang dar, über den die zuständige Bauaufsichtsbehörde zu wachen hat, der aber vom Nachbarn nicht durchgesetzt und eingeklagt werden kann.
24
Selbst wenn man zu Gunsten des Klägers von einer Innenbereichslage des Vorhabens ausginge oder entgegen der Rechtsprechung wegen der besonderen Situation hier, in der die Umsetzung des Vorhabens wohl eine Erweiterung des Innenbereichs bewirkt und eine Baulücke zwischen dem klägerischen Grundstück und dem Vorhaben schafft, weil mit dem Vorhaben ein Aufenthaltsraum geschaffen wird, einen Gebietserhaltungsanspruch für einschlägig erachten würde, ergäbe sich hieraus kein Abwehrrecht für den Kläger. Nach § 34 Abs. 2 BauGB i.V.m. § 5 BauNVO ist das Ortsgebiet von …, dem das Grundstück dann zuzuordnen wäre, wohl als faktisches Dorfgebiet mit überwiegender Wohnnutzung, (Nebenerwerbs-)Landwirtschaften, ehemaligen landwirtschaftlichen Anwesen und geringer Gewerbenutzung einzustufen, alternativ allenfalls als faktisches Mischgebiet nach § 34 Abs. 2 BauGB i.V.m. § 6 BauNVO oder als Gemengelage, die bauplanungsrechtlich nach § 34 Abs. 1 BauGB zu beurteilen wäre. Bei diesen Gebietseinstufungen ist die beabsichtigte Nutzung des Gebäudes als privater Gesellschaftsraum für sechs bis zehn Personen rechtlich zulässig. Die Nutzung stellt sich, wie das Landratsamt Ansbach zu Recht angenommen hat, als Form der dem landwirtschaftlichen Anwesen des Beigeladenen auf der FlNr. 569 zugeordnete Wohnnutzung dar, die nach § 14 Abs. 1 Satz 1 BauNVO auch in einem Nebengebäude bzw. einer Nebenanlage, ausgeübt werden kann. Anlagen zur Hobby- und Freizeitgestaltung sind in diesem Sinne Anlagen, die dem Wohnen dienen bzw. das Wohnen fördern (Stock in Ernst/Zinkahn/Bielenberg/Krautzberger - EZBK -, 147. EL Aug. 2022, BauNVO § 14 Rn. 30 m.w.N.). Es handelt sich nach der klaren Nutzungsbeschreibung weder um ein öffentliches, gemeinnütziges Jugendzentrum und damit nicht um eine Anlage für soziale Zwecke (VG Würzburg, U.v. 6.5.1999 - W 5 K 98.650 - juris Rn. 20 ff.), noch um ein kommerzielles Jugendzentrum oder um ein Jugendzentrum, bei dem der Amüsierbetrieb im Vordergrund steht und damit erst recht nicht um eine Vergnügungsstätte (ablehnend für ein durch einen Verein betriebenes Jugendzentrum: VGH Bad.-Württ., B.v. 19.10.1998 - 8 S 2192/98 - juris), sondern um eine Art externen Hobbyraum bzw. einen Aufenthaltsraum für Bewohner und Gäste für ein geselliges Zusammensein und private Feiern und damit um eine Anlage der privaten Freizeitgestaltung bzw. um erweiterte Wohnräume.
25
Werden solche Räumlichkeiten in einer Nebenanlage untergebracht, müssen diese nach § 14 Abs. 1 BauNVO in funktionell und räumlich-gegenständlicher Hinsicht dem Grundstück bzw. dem Hauptgebäude zu- und untergeordnet sein. Dies ist hier der Fall. Der Gesellschaftsraum befindet sich in der nahen Nachbarschaft zum landwirtschaftlichen Anwesen mit Wohnhaus des Beigeladenen auf der FlNr. 569, getrennt lediglich durch eine Gemeindestraße von diesem Grundstück. Die FlNr. 580 steht ebenso wie die FlNr. 569 im Eigentum des Beigeladenen und wurde auch in der Vergangenheit vom Hauptanwesen aus - bisher rein landwirtschaftlich - genutzt. Das Fehlen von eigenen Sanitäranlagen und eigenen Parkplätzen auf der FlNr. 580 begründet die funktionale Zuordnung zur FlNr. 569 zusätzlich. Auch die Unterordnung des selbständigen Gebäudes zum Landwirtschaftsanwesen einschließlich Wohnhaus ist angesichts der Größenverhältnisse ohne weiteres gegeben. Die Grundfläche des Gesellschaftsraums beträgt maximal ein Fünftel der Grundfläche des Wohnhauses auf der FlNr. 569, das überdies über eine zweite Wohnetage verfügt, sodass hinsichtlich der Geschossflächen ein noch deutlicheres Unterordnen unter das Hauptgebäude gegeben ist. Eine Angemessenheitsprüfung dahingehend, ob ein solcher Hobby- bzw. Gesellschaftsraum überhaupt und gegebenenfalls in welcher Größe notwendig ist, findet bei der baurechtlichen Prüfung hingegen nicht statt.
26
4. Das Vorhaben ist schließlich auch nicht in Bezug auf die befürchteten Lärmimmissionen baurechtlich unzulässig. Lärmaspekte sind im Rahmen des Gebots der Rücksichtnahme zu prüfen, welches für den unbeplanten Innenbereich in § 34 Abs. 1 BauGB bzw. in § 15 Abs. 1 Satz 2 BauNVO i.V.m. § 34 Abs. 2 und für den Außenbereich in § 35 Abs. 3 Nr. 3 BauGBBauGB verankert ist. Das Rücksichtnahmegebot greift als subjektives Recht ein, wenn in qualifizierter und individualisierter Weise auf schutzwürdige Interessen eines erkennbar abgegrenzten Kreises Dritter Rücksicht zu nehmen ist (BVerwG, U.v. 5.12.2013 - 4 C 5/12 - NVwZ 2014, 370 Rn. 21). Die konkreten Anforderungen, die das Rücksichtnahmegebot an Vorhaben stellt, hängen dabei von den Umständen des Einzelfalls ab. Je empfindlicher und schutzwürdiger die Stellung des durch das Vorhaben Betroffenen ist, desto mehr kann er an Rücksichtnahme verlangen. Je verständlicher und unabweisbarer die Interessen des Bauherrn sind, desto weniger muss er sich in Rücksichtnahme üben. Es ist zu beurteilen, was einerseits dem Rücksichtnahmebegünstigten und andererseits dem Rücksichtnahmeverpflichteten nach Lage der Dinge zuzumuten ist (BayVGH, B.v. 15.10.2019 - 15 ZB 19.1221 - juris Rn. 15; B.v. 5.4.2019 - 15 ZB 18.1525 - BeckRS 2019, 7160 Rn. 9; Söfker in EZBK, § 34 Rn. 141).
27
Zur Konkretisierung dessen, was zumutbar oder unzumutbar ist, ist für Lärmbelästigungen grundsätzlich auf die Begriffsbestimmungen und materiell-rechtlichen Maßstäbe des Immissionsschutzrechts zurückzugreifen (BayVGH, B.v. 4.8.2008 - 1 CS 07.2770 - juris Rn. 21; Wolf in Busse/Kraus, BayBO, 148. EL November 2022, Art. 59 Rn. 54 f.). Fachlich stehen zur Beurteilung von Lärmimmissionen dabei verschiedene Regelungswerke zur Verfügung. Dies ist zum einen die Achtzehnte Verordnung zur Durchführung des Bundes-Immissionsschutzgesetzes - Sportanlagenlärmschutzverordnung (18. BImSchV), die nach ihrem § 1 Abs. 1 für die Errichtung, die Beschaffenheit und den Betrieb von Sportanlagen bzw. für die Sportausübung gilt und hier deshalb nicht einschlägig ist. Des Weiteren existiert die auf Grundlage von § 48 BImschG erlassene Sechste Allgemeine Verwaltungsvorschrift zum Bundes-Immissionsschutzgesetz (Technische Anleitung zum Schutz gegen Lärm - TA Lärm) als normkonkretisierende Verwaltungsvorschrift (vgl. BVerwG, U.v. 20.12.1999 - 7 C 15.98 - juris), deren Anwendungsbereich beim Vorliegen einer (nicht notwendig genehmigungsbedürftigen) „Anlage“ eröffnet ist, zu der nach § 3 Abs. 5 BImSchG u.a. ortsfeste, nicht zwingend technische Einrichtungen und auch Gebäude gehören (BeckOK UmweltR/Schulte/Michalk, 64. Ed. 1.1.2022, BImSchG § 3 Rn. 75). Nr. 1 Satz 2 der TA Lärm nimmt bestimmte Anlagen von der Anwendbarkeit jedoch aus, darunter auch Anlagen für soziale Zwecke und Freiluftgaststätten. Von der Definition und dem Anwendungsbereich nicht ausdrücklich ausgenommen sind Wohngebäude, gleichwohl wenden die Literatur und Rechtsprechung die TA Lärm auf Wohngebäude bzw. auf von Gebäuden ausgehende Wohngeräusche grundsätzlich nicht an (BayVGH, U.v. 13.9.2012 - 2 B 12.109 - juris Rn. 37; VG München, U.v. 7.9.2015 - M 11 SN 15.2338 - juris Rn. 39, ebenso und für weitere nicht gewerbliche Anlagen: Hansmann in Landmann/Rohmer, Umweltrecht, Stand 99. EL, Sept. 2022, TA Lärm 1 Rn. 23 und 24), weil es sich beim Wohnen um verhaltensbedingte Geräusche handelt, die mit Anlagengeräusche nicht vergleichbar sind (BayVGH, U.v. 13.9.2012 - 2 B 12.109 - juris Rn. 37). Dass die TA Lärm für verhaltensbedingte Geräusche nicht konzipiert ist, ergibt sich aus der Ausnahme von Freiluftgaststätten und Anlagen für soziale Zwecke aus deren Anwendungsbereich. Als weiteres technisches Regelwerk zur Beurteilung von Geräuschimmissionen existiert die Freizeitlärm-Richtlinie der Bund-/Länder-Arbeitsgemeinschaft Immissionsschutz, die nach ihrem Anwendungsbereich für Freizeitanlagen, d.h. für Einrichtungen, die dazu bestimmt sind, von Personen zur Gestaltung ihrer Freizeit genutzt zu werden, herangezogen werden kann (vgl. Abs. 1 unter Nr. 1 Anwendungsbereich der Freizeitlärm-Richtlinie). Derartige Anlagen sind in Nr. 1 Abs. 2 der Freizeitlärm-Richtlinie jedoch durch Regelbeispiele, die allesamt größere Anlagen bzw. Festivitäten benennen (Rummelplätze, Freizeit- und Vergnügungsparks, Abenteuer-Spielplätze, etc.), näher beschrieben. Öffentliche oder private Jugendeinrichtungen und private Hobbyräume fallen unter diesen Beschrieb nicht. Im Gegenteil sind nach Nr. 1 Abs. 4 der Freizeit-Lärmrichtlinie durch menschliches Verhalten hervorgerufene Geräuschereignisse - hierzu sind ausdrücklich Freizeitbetätigungen im Wohnbereich und in der freien Natur, z.B. Partys und Musikspielen, genannt - nicht von der Freizeitlärm-Richtlinie erfasst, sondern nach den verhaltensbezogenen Lärmbekämpfungsvorschriften der Länder und Gemeinden zu beurteilen. In Bayern besteht nach Art. 7 Abs. 1 Nr. 2 und Abs. 2 des Bayerischen Immissionsschutzgesetzes die - allerdings eingeschränkte (auf das Halten von Haustieren, die Benutzung von Musikinstrumenten, Tonübertragungsgeräten und Tonwiedergabegeräten und die zeitliche Beschränkung ruhestörender Hausarbeiten oder Gartenarbeiten begrenzte) - Zuständigkeit und Befugnis der Gemeinden zur Regelung von verhaltensbedingtem Lärm.
28
Für die für mit der Wohnnutzung sonst verbundenen Geräusche bzw. für die dem Nachbarn zumutbare Geräuschkulisse durch Wohnen existiert somit weder ein unmittelbar eingreifendes technisches Regelwerk, noch eine konkrete Rechtsgrundlage bzw. ein spezifischer rechtlicher Rahmen für ein präventives Vorgehen. Nach der baurechtlichen Rechtsprechung sind Wohngeräusche grundsätzlich als sozialadäquat hinzunehmen (BayVGH, B.v. 14.4.2014 - 15 ZB 13.205 - juris Rn. 6; U.v. 13.9.2012 - 2 B 12.109 - juris Rn. 38; VG München, B.v. 22.9.2022 - M 9 SE 21.5305 - juris Rn. 45; B.v. 7.9.2015 - 11 SN 15.2338 - juris Rn. 39; VG Ansbach, U.v. 21.7.2017 - AN 9 K 16.01578 - juris Rn. 40). Zu den Wohngeräuschen gehören dabei auch Geräusche, die mit der Freizeitausübung verbunden sind, in jedem Fall solche, die auf das Verhalten der Bewohner und Gäste zurückzuführen sind und nicht von technischen Anlagen auf dem Wohngrundstück herrühren. Ganz allgemein gilt nach der baurechtlichen Rechtsprechung zudem, dass individuellem (Fehl-)Verhalten von Nutzern mit den Mitteln des Polizei- und Ordnungsrecht zu begegnen ist, aber nicht städtebaulich relevant ist (BayVGH, B.v. 14.4.2014 - 15 ZB 13.205 - juris Rn. 6; BVerwG, B.v. 6.12.2011 - 4 BN 20/11 - juris Rn. 7).
29
Nach alledem verletzt die Genehmigung des Jugend- bzw. Gesellschaftsraums das Gebot der Rücksichtnahme nicht. Die vom Kläger befürchteten privaten „Partygeräusche“ stellen reine Wohngeräusche dar, die bei Einhaltung der in der zum Gegenstand der Baugenehmigung gemachten Nutzungsbeschreibung und des durch Nebenbestimmung im Baubescheid reglementierten Umfangs, grundsätzlich hinzunehmen sind. Falls es im Einzelfall tatsächlich zu einem rücksichtslosen Partybetrieb kommen sollte, stellt dies ein nutzerbedingtes Fehlverhalten dar, dem mit den Mitteln des Polizei- und Sicherheitsrecht zu begegnen ist, das aber nicht (prophylaktisch) in der Baugenehmigung behandelt werden muss.
30
Überdies hat der Beklagte in die angefochtene Baugenehmigung, gleichwohl es sich um eine Wohnnutzung handelt, Immissionsgrenzwerte aufgenommen, wenn auch solche nach der TA Lärm, die für verhaltensbedingte Immissionen, wie oben dargelegt, weniger geeignet ist. Zwar können die technischen Regelwerke unter Umständen auch außerhalb ihres Anwendungsbereichs geeignete Orientierungshilfen darstellen (vgl. BayVGH, U.v. 19.3.1997 - 22 B 96.951 - juris Rn. 21; B.v. 29.5.1998 - 1 B 93.3369 - juris Rn. 81 f.; BVerwG 21.10.2020 - 4 B 4/20 Rn. 5), für Wohngeräusche liegt die Heranziehung der Freizeitlärm-Richtlinie, die anders als die TA Lärm auch innerhalb der Tagzeit besser geschützte Ruhezeiten von 6 bis 8 Uhr und von 20 bis 22 Uhr vorsieht (s. 3.4 und 4.1 der Freizeitlärm-Richtlinie), jedoch näher. Da vorliegend auf die Festsetzung von Lärmwerten zugunsten der Nachbarschaft nach der Rechtsansicht der Kammer auch ganz hätte verzichtet werden können, stellt die Aufnahme von begrenzenden Werten in den Baubescheid allenfalls eine Begünstigung für den Kläger dar, die er aber nicht hätte beanspruchen können. Die Aufnahme von im Detail differenzierteren und tendenziell leicht strengeren Regelungen der Freizeitlärm-Richtlinie kann er in dieser Situation nicht beanspruchen. Die Festlegung von Maximalwerten als Auflage im Baubescheid stellt in dieser Situation keine Verschlechterung für den Kläger dar.
31
Eine schematische Anwendung der technischen Regelungswerke darf auf Nutzungen, für die diese an sich nicht einschlägig sind, sondern nur als Orientierungshilfe gelten, nicht erfolgen (BVerwG, U.v. 21.10.2020 - 4 B 4/20 Rn. 5). Vielmehr ist die Zumutbarkeitsgrenze in diesen Fällen aufgrund einer umfassenden Würdigung aller Umstände des Einzelfalls zu bestimmen (BVerwG, U.v. 24. April 1991 - 7 C 12.90 - juris Rn. 12 ff.). Vorliegend ist deshalb entscheidend zu berücksichtigen, dass dem Kläger auf seinem Grundstück ein Gaststättenbetrieb genehmigt worden ist, der immissionsmäßig eine mit dem Gesellschaftsraum vergleichbare Nutzung darstellt. Da von seinem Grundstück eine erhöhte Geräuschbelastung auf die Umgebung ausgeht, muss er seinerseits an Lärmeinwirkungen im Rahmen des Rücksichtnahmegebots auch mehr dulden. Der Kläger hat in der Vergangenheit seine Wein- und Whisky Lounge tatsächlich ausgeübt. Nach den unverändert bestehenden baurechtlichen und gaststättenrechtlichen Genehmigungen ist ihm die Wiederaufnahme dieser Nutzung auch jederzeit möglich. Die Baugenehmigung des Klägers für die Gaststätte enthält zugunsten der Nachbarschaft keine ernsthaft einschränkenden Regelungen wie die Festsetzung von maximalen Lärmpegeln oder strenge zeitliche Beschränkungen. Der Gaststättenbetrieb ist von der Genehmigung her vielmehr täglich bis 1 Uhr nachts zulässig. Auch der Argumentation der Klägerseite, dass die gewerbemäßige Nutzung als Gaststätte die Gewähr dafür biete, dass immissionsschutzrechtliche Anforderungen bei Gaststätten im Gegensatz zu der rein privaten Nutzung als Gesellschaftsraum eingehalten werden, vermag die Kammer nicht zu folgen. Im Rahmen des gaststättenrechtlichen Genehmigungsverfahrens findet zwar eine Zulässigkeitsprüfung des Betreibers statt (vgl. § 4 Abs. 1 Satz 1 Nr. 1 GastG), diese beinhaltet aber keine spezielle Überprüfung des Betreibers auf seine Gesetzestreue im Hinblick auf Lärmvorschriften. Die gaststättenrechtliche Genehmigung bietet im Hinblick auf Immissionsgesichtspunkte gegenüber der Baugenehmigung keinen weitergehenden Schutz. Die bei der Gaststättengenehmigung nach § 4 Abs. 1 Satz 1 Nr. 3 GastG vorgesehene immissionsschutzrechtliche Prüfung findet in fachlich und rechtlich gleicher Weise statt wie im regelmäßig parallel laufenden Baugenehmigungsverfahren.
32
5. Offenbleiben kann, ob für das Bauvorhaben ausreichend Stellplätze nach Art. 47, 81 Abs. 1 Nr. 4 BayBO i.V.m. der Stellplatzsatzung der Stadt … vom 25. November 2020 nachgewiesen worden sind. Der Nachweis ausreichender Stellplätze für ein Bauvorhaben stellt grundsätzlich einen objektiven Belang dar, über den die Bauaufsichtsbehörde zwar zu wachen hat, auf den sich der Nachbar mangels Schutzrichtung für ihn jedoch nicht berufen kann (BayVGH, B.v. 25.8.2009 - 1 CS 09.287 - juris Rn. 39). Eine Belastung oder Einschränkung für den Kläger im Hinblick auf vom Vorhaben ausgelöste Stellplätze ist hier auch nicht ersichtlich und konkret und substantiiert nicht vorgetragen. Der von einem ansonsten rechtmäßigen Vorhaben ausgelöste An- und Abfahrtsverkehr und Stellplatzbedarf ist grundsätzlich als sozialadäquat von der Umgebung hinzunehmen und begründet regelmäßig weder im Hinblick auf die Art der baulichen Nutzung, vgl. § 12 Abs. 1 BauNVO, noch unter dem Gesichtspunkt des Gebots der Rücksichtnahme einen Abwehranspruch (BayVGH, B.v. 5.3.2021 - 1 CS 21.114; VG Ansbach, U.v. 31.1 2019 - AN 17 K 17.02145; U.v. 5.4.2022 - AN 17 K 21.1532; U.v. 1.6.2022 - AN 17 K 21.01912 - jeweils juris; König/Roeser/Stock, BauNVO, § 12 Rn.16 m.w.N.). Für einen Ausnahmefall (vgl. hierzu BVerwG, B.v. 20.3.2003 - 4 B 59/02; BayVGH, B.v. 25.8.2009 - 1 CS 09.287 - jeweils juris) ist hier, nachdem der vom Vorhaben ausgelöste Parkverkehr auf dem Grundstück des Beigeladenen aufgenommen werden kann, nichts erkennbar.
33
Die Klage war damit mangels Rechtsverletzung des Klägers abzuweisen.
34
6. Die Kostenentscheidung beruht auf §§ 154 Abs. 1, 162 Abs. 3 VwGO. Nachdem der Beigeladene keinen eigenen Sachantrag gestellt und sich nicht dem Kostenrisiko des § 154 Abs. 3 VwGO ausgesetzt hat, entspricht es der Billigkeit, dass er seine außergerichtlichen Kosten selbst trägt.
35
Die Entscheidung zur vorläufigen Vollstreckbarkeit folgt aus § 167 Abs. 1 Satz 1, Abs. 2 VwGO, §§ 708 Nr. 11, 711 ZPO.