Inhalt

VG München, Urteil v. 11.08.2025 – M 8 K 23.3977
Titel:

Verpflichtungsklage, Vorbescheid, Neubau zweier Doppelhäuser (streitgegenständlich: Doppelhaus 1), nicht qualifiziert überplanter Innenbereich, Verstoß gegen Gebot der Rücksichtnahme in der Ausprägung der Doppelhausrechtsprechung (bejaht)

Normenketten:
VwGO § 113 Abs. 5
BayBO Art. 71
Halbsatz 1 BayBO Art. 68 Abs. 1 S. 1
BauGB § 34 Abs. 1
BauNVO § 22 Abs. 2
Schlagworte:
Verpflichtungsklage, Vorbescheid, Neubau zweier Doppelhäuser (streitgegenständlich: Doppelhaus 1), nicht qualifiziert überplanter Innenbereich, Verstoß gegen Gebot der Rücksichtnahme in der Ausprägung der Doppelhausrechtsprechung (bejaht)
Fundstelle:
BeckRS 2025, 27510

Tenor

I. Die Klage wird abgewiesen.
II. Die Klägerin hat die Kosten des Verfahrens zu tragen.
III. Die Kostenentscheidung ist vorläufig vollstreckbar.
Die Klägerin darf die Vollstreckung durch Sicherheitsleistung oder Hinterlegung in Höhe des vollstreckbaren Betrags abwenden, wenn nicht die Beklagte vorher Sicherheit in gleicher Höhe leistet.

Tatbestand

1
Die Klägerin begehrt die Verpflichtung der Beklagten zur positiven Beantwortung einer Vorbescheidsfrage für ein Bauvorhaben auf dem Grundstück B* …straße 33, FlNr. …5 Gemarkung … (im Folgenden: Vorhabengrundstück).
2
Der auf dem Vorhabengrundstück derzeit bestehende – ehemals wohngenutzte, zwischenzeitlich leerstehende – Hauptbaukörper (10,4 m x 8 m), genehmigt durch Baugenehmigung vom 31. August 1951, Plan-Nr. 82514, ist grenzständig zum westlich benachbarten Grundstück B* …straße 35 (FlNr. …4 Gem. …*) errichtet. Auf diesem wiederum befindet sich – ebenfalls ohne Grenzabstand zum Vorhabengrundstück – ein Wohngebäude (12,3 m x 8 m), genehmigt durch Baugenehmigung vom 3. September 1951, Plan-Nr. … Auf den beiden Grundstücken sind ferner eingeschossige Anbauten genehmigt und ausgeführt worden (Vorhabengrundstück: Wohnraum und Garage, vgl. Baugenehmigung vom 1. April 1975, Plan-Nr. …75), benachbartes Grundstück B* …straße 35: Garagengebäude, Baugenehmigung vom 26.3.1955, Plan-Nr. …*).
3
Die Hauptbaukörper verfügen jeweils über ein Erdgeschoss sowie – je unter einem steilen Satteldach – ein Dachgeschoss. Dabei ist das Gebäude B* …straße 35 hinsichtlich seiner Firsthöhe sowie der Höhe der Dachfläche – mutmaßlich bedingt durch die dort vorhandene Dachdämmung – geringfügig höher als die Bestandsbebauung auf dem Vorhabengrundstück. Die Baukörper sind profilgleich aneinandergebaut, auf der Nordseite ist unmittelbar an der gemeinsamen Grundstückgrenze eine Trennmauer mit einer Tiefe von ca. 10 bis 20 cm vorhanden. Auf der Südseite weist das Gebäude B* …straße 35 eine größere einheitliche Dachgaube, der Bestand auf dem Vorhabengrundstück zwei kleine Dachgauben auf.
4
Die Grundstücke liegen innerhalb des durch die B* …straße, die G* …straße, die F* …straße und den F* …platz gebildeten Gevierts. Entlang der B* …straße ist mittels einfachen, übergeleiteten Baulinienplans eine vordere Baugrenze festgesetzt. Weitere bauplanungsrechtliche Festsetzungen bestehen nicht.
5
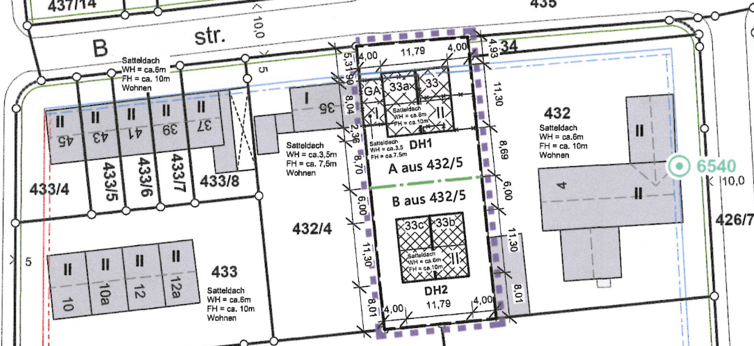
Am 9. Februar 2023 (Eingang bei der Beklagten) beantragte die Klägerin die Erteilung eines Vorbescheids für den Neubau zweier Doppelhäuser nach Plan-Nr. … Ausweislich der Bauvorlagen ist – nach Beseitigung der Bestandsbebauung auf dem Vorhabengrundstück – dort die Errichtung zweier Doppelhäuser – Doppelhaus 1 straßennah zur B* …straße, Doppelhaus 2 im rückwärtigen Grundstücksbereich – nebst zweier Carports und einer Doppelgarage beabsichtigt. Dabei soll unmittelbar an das Bestandsgebäude auf dem Grundstück B* …straße 35 anschließend eine grenzständige Doppelgarage (Grundfläche 32,12 m²) profilgleich und mit identischer Trauf- und Firsthöhe wie das Gebäude B* …straße 35 [laut Plandarstellung „ca. +4,50 m“ bzw. „ca. +7,5 m, im Lageplan (1:1000) ist eine Wandhöhe von „ca. 3,5 m“ vermerkt] mit Satteldach errichtet werden. Östlich an das etwa 4 m breite Garagengebäude [abgegriffen aus dem „Lageplan“ (1:500) bzw. der „Straßenansicht“] schließt sich daran der Hauptbaukörper des Doppelhauses 1 (E+I zuzüglich ausgebautem Dachgeschoss mit Satteldach) mit einer Grundfläche von 133,25 m², einer Wandhöhe von „ca.+ 6,0 m“ und einer Firsthöhe von „ca. +10,0 m“ an. Auf der Südseite reicht der Baukörper des Doppelhauses 1 um ca. 2,5 m (abgegriffen aus „Lageplan“) über die Gebäudeaußenwand des Garagengebäudes und des Bestandsgebäudes auf dem Grundstück B* …straße 35 hinaus. Auf der Straßenseite tritt die Außenwand des geplanten Doppelhauses 1 um etwa 1 m (abgegriffen aus dem „Lageplan“) vor die Fassade des Garagen- und Nachbargebäudes B* …straße 35. Die Gesamtlänge des straßenseitigen Vorhabens (Hauptbaukörper und Doppelgarage) beträgt etwa 15,5 m (abgegriffen aus der „Straßenansicht).
6
Vergleiche folgenden Auszug aus den dem streitgegenständlichen Vorbescheid zugrunde liegenden Bauvorlagen (Lageplan), Maßstab 1 : 1000, mit einer Darstellung des Vorhabens und der benachbarten Bebauung (nach dem Einscannen möglicherweise nicht mehr maßstabsgetreu):
7
Mit Vorbescheid vom 11. Juli 2023, der Klägerin ausweislich der in den Behördenakten enthaltenen Postzustellungsurkunde zugestellt am 13. Juli 2023, beschied die Beklagte Frage 3 zum Einfügen des Doppelhauses 1 nach dem Maß der baulichen Nutzung abschlägig. Fragen 1 und 2 (Einfügen der Doppelhäuser 1 und 2 hinsichtlich der Art der baulichen Nutzung), 4 (Einfügen des Doppelhauses 2 hinsichtlich des Maßes der baulichen Nutzung), 5 (Einfügen der Doppelhäuser 1 und 2 hinsichtlich der überbaubaren Grundstücksfläche) und 6 (Einfügen der Doppelhäuser 1 und 2 nach der Bauweise) wurden positiv beantwortet, Fragen 7 und 9 als unzulässig erachtet.
8
Zur Begründung der negativen Antwort auf Frage 3 wurde ausgeführt, der Bestand B* …straße 33 und 35 sei ein Doppelhaus. Der dargestellte Neubau des Doppelhauses 1 mit seiner Platzierung der Garage zwischen den Häusern sowie der Höhe und Tiefe des Neubaus führe dazu, dass vom planungsrechtlichen Konzept des Doppelhauses abgewichen werde. Die Planung sei nicht wechselseitig aufeinander abgestimmt. Eine Zustimmung des Doppelhausnachbarn liege nicht vor.
9
Mit Schriftsatz vom 9. August 2023, bei Gericht eingegangen am gleichen Tag, ließ die Klägerin durch ihren Bevollmächtigten Klage zum Verwaltungsgericht München erheben und beantragt,
10
die Beklagte unter teilweiser Aufhebung des Vorbescheids vom 11.07.2023 (Az. …*) zu verpflichten, Frage 3 des Vorbescheids positiv zu beantworten.
11
Zur Begründung wurde im Wesentlichen Folgendes geltend gemacht: Das Vorhabengrundstück sei derzeit mit einer Doppelhaushälfte bebaut, die – anders als die umliegenden zweigeschossigen Gebäude – lediglich eingeschossig sei. Zudem handle es sich nicht um eine klassische symmetrische Doppelhaushälfte, da die beiden Hälften bereits im Bestand unterschiedlich ausgestaltet seien. Das Nachbargebäude B* …straße 35 sei länger als das Bestandsgebäude auf dem streitgegenständlichen Grundstück. Ferner verfügten beide Gebäude über voneinander abweichende Anbauten, in denen groß dimensionierte Garagen untergebracht seien. Das neu beantragte Gebäude orientiere sich in der Höhenentwicklung an der westlich und östlich vorhandenen weiteren Bebauung. Im Streit stehe allein, ob die abgefragte Bebauung einen Verstoß gegen die „Doppelhausrechtsprechung“ darstelle, die von der Beklagten am Einfügensmerkmal des Maßes der baulichen Nutzung festgemacht werde. Tatsächlich handle es sich jedoch um eine Frage der Bauweise, die die Beklagte im Vorbescheid positiv beantwortet habe (Frage 6). Die Frage 3 nach dem zulässigen Maß der baulichen Nutzung sei bereits deswegen positiv zu beantworten. Unabhängig davon liege kein Verstoß gegen die Doppelhausrechtsprechung vor. Die Entscheidung des Bayerischen Verwaltungsgerichtshofs vom 20. Mai 2023 – 2 ZB 22.231 –, auf die die Beklagte augenscheinlich abstelle, könne auf die vorliegende Situation nicht übertragen werden. In jüngeren Entscheidungen – des Bundesverwaltungsgerichts und auch des Bayerischen Verwaltungsgerichtshofs (B.v. 20.8.2018 – 2 ZB 16.912) – sei mehrfach betont worden, dass sich der Nachbar gerade nicht auf eine identische Gestaltung wie die benachbarte Doppelhaushälfte beschränken müsse. Das Bundesverwaltungsgericht habe die Anforderungen in seinem Urteil vom 19. März 2015 – 4 C 12.14 – deutlich zurückgeschraubt und darauf hingewiesen, dass eine schematische Beurteilung nicht geboten sei, sondern es einer Gesamtwürdigung des Einzelfalls bedürfe, bei der qualitative und quantitative Kriterien nicht nur isoliert betrachtet werden dürften. Berücksichtigung finden müsse auch, wenn sich aus den übrigen bauplanungsrechtlichen Anforderungen ergebe, dass ein deutlich größeres Vorhaben zulässig wäre als eine profilgleiche Fortsetzung des Doppelhauses dies zuließe. Die Klägerin habe gerade auf eine abgestimmte Gestaltung Rücksicht genommen. Das bestehende Doppelhaus nutze das Baurecht in verschiedenen Dimensionen bei Weitem nicht aus. Durch den Garagenzwischenbau werde eine harmonische und verträgliche Fortsetzung des bestehenden Grenzanbaus erreicht. Der weitere Gebäudekörper halte die Abstandsflächen ein und sei in dieser Hinsicht jedenfalls als verträglich und rücksichtsvoll einzustufen. Losgelöst von der Doppelhausrechtsprechung müsse der Nachbar ein derartiges Gebäude ohne Weiteres hinnehmen. Mit der Alternative eines unmittelbaren Grenzanbaus des Hauptbaukörpers wären die Nachbarn deutlich stärker belastet.
12
Die Beklagte beantragt
13
Klageabweisung.
14
Das abgefragte Vorhaben sei planungsrechtlich unzulässig, weil es sich für den Doppelhausnachbarn als rücksichtslos bzw. unzumutbar darstelle und damit gegen das im Einfügensgebot enthaltene Rücksichtnahmegebot unter Berücksichtigung der Doppelhausrechtsprechung verstoße. Unter welchem Einfügenskriterium diese Beachtung finde, sei in der Rechtsprechung nicht klar geregelt. Konsequenterweise hätte auch die Bauweise im Vorbescheid negativ beantwortet werden müssen, da die verbleibende Doppelhaushälfte bei Realisierung des geplanten Vorhabens rechtswidrig an der Grenze zurückbliebe. Eine halboffene Bauweise finde sich im Geviert nicht.
15
Über die baulichen Verhältnisse auf dem streitgegenständlichen Grundstück sowie in dessen Umgebung hat das Gericht am 11. August 2025 Beweis durch Augenschein erhoben. Hinsichtlich der Feststellungen dieses Augenscheins sowie der anschließenden mündlichen Verhandlung wird auf die entsprechenden Protokolle verwiesen.
16
Wegen der weiteren Einzelheiten des Sachverhalts und des schriftsätzlichen Vorbringens der Parteien wird auf die Gerichtsakte und die vorgelegten Behördenakten Bezug genommen.

Entscheidungsgründe

17
Die Klage hat in der Sache keinen Erfolg. Die Klägerin hat (auch) im insoweit maßgeblichen Zeitpunkt der gerichtlichen Entscheidung keinen Anspruch auf positive Beantwortung der Vorbescheidsfrage Nr. 3 hinsichtlich des Maßes der baulichen Nutzung (§ 113 Abs. 5 Satz 1 VwGO).
18
Nach Art. 71 Satz 4 Halbsatz 1 i.V.m. Art. 68 Abs. 1 Satz 1 Halbsatz 1 BayBO ist eine zulässige Vorbescheidsfrage positiv zu beantworten und der begehrte Vorbescheid zu erteilen, wenn dem Bauvorhaben, soweit seine Zulässigkeit mit dem Vorbescheid abgefragt wird, keine öffentlich-rechtlichen Vorschriften entgegenstehen, die im bauaufsichtlichen Vorbescheidsverfahren zu prüfen sind.
19
1. Diese Voraussetzungen sind im vorliegenden Fall nicht erfüllt. Das straßenseitig geplante Vorhaben („Doppelhaus 1“), dessen bauplanungsrechtliche Zulässigkeit sich hinsichtlich des Maßes der baulichen Nutzung nach § 34 Abs. 1 BauGB bemisst, verstößt gegen das bauplanungsrechtliche Rücksichtnahmegebot in Gestalt der Doppelhausrechtsprechung und fügt sich demgemäß nicht in die Eigenart der näheren Umgebung ein (§ 34 Abs. 1 Satz 1 BauGB; vgl. dazu auch: VG München, U.v. 13.2.2023 – M 8 K 21.989 – juris Rn. 30 ff.).
20
Ein Vorhaben fügt sich im Allgemeinen ein, wenn es sich innerhalb des Rahmens hält, der durch die in der Umgebung vorhandene Bebauung gezogen wird. Ein rahmenwahrendes Vorhaben kann ausnahmsweise unzulässig sein, wenn es nicht die gebotene Rücksicht auf die Bebauung in der Nachbarschaft nimmt. Umgekehrt fügt sich ein den Rahmen überschreitendes Vorhaben ausnahmsweise ein, wenn es bodenrechtlich beachtliche Spannungen weder herbeiführt noch erhöht (BVerwG, U.v. 26.5.1978 – IV C 9.77 – juris Rn. 47; U.v. 15.12.1994 – 4 C 13.93 – ZfBR 1995, 100, juris Rn. 17; BayVGH, B.v. 19.10.2020 – 15 ZB 20.280 – juris Rn. 7; B.v. 14.2.2018 – 1 CS 17.2496 – juris Rn. 13; ThürOVG, U.v. 26.4.2017 – 1 KO 347/14 – DVBl 2017, 1576, juris Rn. 40).
21
Bei der hier streitgegenständlichen Bebauung ist das Rücksichtnahmegebot in seiner besonderen Ausprägung in Form der Grundsätze der sog. Doppelhausrechtsprechung des Bundesverwaltungsgerichts zu beachten, die auch in dem in offener Bauweise bebauten unbeplanten Innenbereich über das im Tatbestandsmerkmal des Einfügens in § 34 Abs. 1 BauGB enthaltene Gebot der Rücksichtnahme grundsätzlich zur Anwendung kommen können (vgl. BVerwG, U.v. 5.12.2013 – 4 C 5.12 – BVerwGE 148, 290, juris Rn. 12; U. v. 19.3.2015 – 4 C 12/14 – BauR 2015, 1309, juris Rn. 9 bis 12; vgl. ferner B. v. 19.3.2015 – 4 B 65/14 – ZfBR 2015, 702, juris Rn. 6).
22
Ist ein unbeplanter Innenbereich in offener Bauweise bebaut, weil dort nur Einzelhäuser, Doppelhäuser und Hausgruppen im Sinn von § 22 Abs. 2 BauNVO (vgl. zur Heranziehung der Begrifflichkeiten der BauNVO als Auslegungshilfe im unbeplanten Innenbereich: BVerwG, U.v. 5.12.2013 – 4 C 5.12 – BVerwGE 148, 290, juris Rn. 12) den maßgeblichen Rahmen bilden, fügt sich ein grenzständiges Vorhaben im Sinn von § 34 Abs. 1 BauGB grundsätzlich nicht nach der Bauweise ein, wenn es unter Beseitigung eines bestehenden Doppelhauses grenzständig errichtet wird, ohne mit dem verbleibenden Gebäudeteil ein Doppelhaus zu bilden (vgl. BVerwG, U.v. 19.3.2015 – 4 C 12.14 – BauR 2015, 1309, juris Rn. 11; U.v. 5.12.2013 a.a.O., Ls). Nach der Rechtsprechung des Bundesverwaltungsgerichts setzt die Zulässigkeit einer Bebauung als Doppelhaus einen wechselseitigen Verzicht auf seitliche Grenzabstände an der gemeinsamen Grundstücksgrenze voraus. Danach bindet dieser Verzicht die benachbarten Grundeigentümer bauplanungsrechtlich in ein Verhältnis des gegenseitigen Interessensausgleichs ein, wodurch die Baufreiheit zugleich erweitert und beschränkt wird. Einerseits wird durch die Möglichkeit des Grenzanbaus die bauliche Nutzbarkeit der Grundstücke erhöht, was aber durch den Verlust seitlicher Grenzabstände an der gemeinsamen Grenze, die Freiflächen schaffen und dem Wohnfrieden dienen, erkauft wird (BVerwG, U.v. 5.12.2013 – 4 C 5.12 – BVerwGE 148, 290, juris Rn. 22 m.w.N.). Diese Interessenlage rechtfertigt es, dem Bauherrn eine Rücksichtnahmeverpflichtung aufzuerlegen, die eine grenzständige Bebauung ausschließt, wenn er den bisher durch das Doppelhaus gezogenen Rahmen überschreitet und der Doppelhauscharakter durch die Änderung entfällt.
23
Ein Doppelhaus im Sinn des § 22 Abs. 2 Satz 1 BauNVO ist eine bauliche Anlage, die dadurch entsteht, dass zwei Gebäude auf benachbarten Grundstücken durch Aneinanderbauen an der gemeinsamen Grundstücksgrenze zu einer Einheit zusammengefügt werden. Kein Doppelhaus bilden dagegen zwei Gebäude, die sich zwar an der gemeinsamen Grundstücksgrenze noch berühren, aber als zwei selbstständige Baukörper erscheinen. Ein Doppelhaus verlangt ferner, dass die beiden Haushälften in wechselseitig verträglicher und abgestimmter Weise aneinandergebaut werden (BVerwG, U.v. 5.12.2013 – 4 C 5.12 – BVerwGE 148, 290, juris Rn. 13 m.w.N.). Demnach liegt eine bauliche Einheit vor, wenn die einzelnen Gebäude einen harmonischen Gesamtkörper bilden, der nicht den Eindruck eines einseitigen Grenzanbaus vermittelt. Voraussetzung ist insoweit zwar nicht, dass die einzelnen Häuser gleichzeitig und deckungsgleich errichtet werden müssen. Ein einheitlicher Gesamtbaukörper kann auch noch vorliegen, wenn z.B. aus gestalterischen Gründen die gemeinsame vordere und/oder rückwärtige Außenwand des einheitlichen Baukörpers durch kleine Vor- und Rücksprünge aufgelockert wird (BayVGH, U.v. 11.12.2014 – 2 BV 13.789 – juris Rn. 27 m.w.N.). Zu fordern ist jedoch, dass die einzelnen Gebäude zu einem wesentlichen Teil (quantitativ) und in wechselseitig verträglicher und harmonischer Weise (qualitativ) aneinandergebaut sind (BayVGH, U.v. 11.12.2014 a.a.O. m.w.N.). In quantitativer Hinsicht können bei der Beurteilung der Verträglichkeit des Aneinanderbauens insbesondere die Geschoßzahl, die Gebäudehöhe, die Bebauungstiefe und -breite sowie das durch diese Maße im Wesentlichen bestimmte oberirdische Brutto-Raumvolumen zu berücksichtigen sein. In qualitativer Hinsicht kommt es u.a. auch auf die Dachgestaltung und die sonstige Kubatur des Gebäudes an. Bei den quantitativen Kriterien ist eine mathematisch-prozentuale Festlegung nicht möglich, vielmehr ist eine Gesamtwürdigung des Einzelfalls anzustellen. Es ist qualitativ insbesondere die wechselseitig verträgliche Gestaltung des Gebäudes entscheidend, auf die umgebende Bebauung kommt es insoweit nicht an (vgl. BVerwG, U.v. 19.3.2015 – 4 C 12.14 – BauR 2015, 1309, juris Rn. 14 ff.). Die beiden „Haushälften“ können auch zueinander versetzt oder gestaffelt an der Grenze errichtet werden, sie müssen jedoch zu einem wesentlichen Teil aneinandergebaut sein. Kein Doppelhaus entsteht danach, wenn ein Gebäude gegen das andere an der gemeinsamen Grundstücksgrenze so stark versetzt wird, dass sein vorderer oder rückwärtiger Versprung den Rahmen einer wechselseitigen Grenzbebauung überschreitet, den Eindruck eines einseitigen Grenzanbaus vermittelt und dadurch einen neuen Bodennutzungskonflikt auslöst.
24
1.1. Bei der Bestandsbebauung auf dem Vorhabengrundstück und dem Grundstück B* …straße 35 handelt es sich um ein Doppelhaus im Sinne der Rechtsprechung des Bundesverwaltungsgerichts (siehe dazu insbesondere: BVerwG, U.v. 24.2.2000 – 4 C 12/98 – BVerwGE 110, 355, juris), weil diese – wovon sich das Gericht auch im Augenschein überzeugen konnte – als bauliche Einheit wirkt und die Einzelhäuser quantitativ sowie qualitativ in wechselseitig verträglicher und abgestimmter Weise aneinandergebaut sind.
25
Insbesondere führen die im Bestand vorhandenen unterschiedlichen Firsthöhen zu keiner anderen Betrachtung, zumal diese nur geringfügig voneinander abweichen und mutmaßlich auf eine beim Anwesen B* …straße 35 angebrachte Dachdämmung zurückzuführen sein dürften. Sie begründen keine uneinheitliche Gestaltung, die die Annahme eines einheitlichen Gesamtbaukörpers ausschließen würde. Das Gesamterscheinungsbild eines harmonischen Gesamtkörpers verlangt nicht, dass die einzelnen Häuser deckungsgleich errichtet werden müssen (vgl. BayVGH, U.v. 11.12.2014 – 2 BV 13.789 – juris Rn. 27; VG München, U.v. 26.6.2017 – M 8 K 16.2634 – juris Rn. 36). Ein Doppelhaus im Sinne eines einheitlichen Baukörpers setzt nicht voraus, dass die Dachflächen auf beiden Hälften dasselbe Niveau aufweisen. Ein in wechselseitig verträglicher und abgestimmter Weise aneinandergebautes Gebäude kann auch bei unterschiedlichen Gebäudehöhe der Gebäudeaußenwände vorliegen. Die durch die Anbringung einer Dämmung verursachte geringe Dachanhebung berührt das Erscheinungsbild des Gesamtbaukörpers kaum (vgl. VG München, B.v. 3.9.2020 – M 8 SN 20.3420 – n.v., Beschlussumdruck Rn. 32 unter Verweis auf BayVGH, B.v. 25.7.2019 – 1 CS 19.821 – juris Rn. 13 m.w.N.). Auch mit dem Einwand, die Bestandsgebäude B* …straße 33 und 35 seien hinsichtlich der Gebäudelängen und Anbauten nicht vollständig symmetrisch ausgestaltet, vermag der Bevollmächtigte der Klägerin nicht durchzudringen. Diese Umstände führen vorliegend nicht dazu, dass die beiden Gebäude nicht mehr als bauliche Einheit in Erscheinung träten, zumal der Unterschied in den Gebäudelängen – ohne Berücksichtigung der Anbauten – mit rd. 1,90 m nicht als gravierend anzusehen ist.
26
1.2. Das geplante Vorhaben hingegen führte zum Verlust des bestehenden Doppelhauscharakters und verstößt daher gegen das bauplanungsrechtliche Gebot der Rücksichtnahme. Es ist mit den oben dargestellten Grundsätzen der sogenannten „Doppelhausrechtsprechung“ des Bundesverwaltungsgerichts nicht vereinbar.
27
Im Fall der Errichtung des von der Klägerin geplanten Doppelhauses 1 liegt kein aus den beiden Haushälften auf dem Vorhaben- und dem Nachbargrundstück B* …straße 35 gebildeter einheitlicher Baukörper mehr vor. Das nachbarliche Austauschverhältnis würde aus dem Gleichgewicht gebracht, eine harmonische Beziehung der Gebäude zueinander bestünde nicht mehr, da die streitgegenständliche Planung eine Abstimmung mit dem Gebäude auf dem Nachbargrundstück Buchauer straße 35 vermissen lässt.
28
Das streitgegenständliche Vorhaben schließt zwar mit dem Garagengebäude auf einer Länge von 4 m zunächst profilgleich und mit identischer Trauf- und Firsthöhe an die Gebäudeflucht der eingeschossigen Bestandsbebauung B* …straße 35 an. Das sich in östlicher Richtung sodann anschließende Hauptgebäude springt jedoch auf seiner Südseite um ca. 1 m, auf seiner Nordseite um etwa 2,5 m (jeweils abgegriffen) vor die Gebäudeaußenwand des Nachbargebäudes B* …straße 35. Auch wenn bei einer Doppelhausbebauung grundsätzlich auch ein Versatz zulässig ist, überschreitet die geplante Bebauung das im vorliegenden Fall nach Gesamtwürdigung aller Umstände des Einzelfalles das gebotene Maß an Rücksichtnahme. Das Vorhaben soll zweigeschossig zuzüglich Satteldach sowie einer Wand- bzw. Firsthöhe von „ca. 6 m“ bzw. „ca. 10 m“ ausgeführt werden. Doppelgarage und Hauptbaukörper des Vorhabens weisen zusammen eine Grundfläche 165,37 m² auf, wohingegen die Grundfläche des Hauptgebäudes auf dem angrenzenden Grundstück etwa 98,4 m², bei Einrechnung der Garage 126,07 m² beträgt. Vorliegend entstünde mithin ein Baukörper, der in seiner Dimension und seinem Volumen dazu führte, dass ein Zusammenhang mit der benachbarten Doppelhaushälfte nicht mehr erkennbar wäre; es würde der Eindruck eines einseitigen Grenzanbaus hervorgerufen werden. Hinzu kommt, dass der geplante Hauptbaukörper seinerseits aus zwei Doppelhaushälften bestehen soll und daher selbst als „Doppelhaus“ in Erscheinung tritt. Der bei Realisierung des Vorhabens entstehende Gesamtbaukörper wirkte damit nicht mehr als eine von den einzelnen Gebäuden gebildete Einheit; vielmehr entstünden mehrere, selbständige Baukörper.
29
2. Die Kostenentscheidung folgt aus § 154 Abs. 1 VwGO.
30
Die Entscheidung über die vorläufige Vollstreckbarkeit beruht auf § 167 VwGO i.V.m. §§ 708 ff. Zivilprozessordnung – ZPO.