Inhalt

VG München, Urteil v. 31.03.2025 – M 8 K 23.3978
Titel:

allgemeine Leistungsklage, Stellplatzablösevertrag, öffentlich-rechtlicher Vertrag, Vertragsmodell „Hellipstraße“, Rückzahlung Stellplatzablöse, öffentlich-rechtlicher Erstattungsanspruch, rechtsgrundlose Vermögensverschiebung (verneint)

Normenketten:
VwGO § 40 Abs. 1
VwGO § 43 Abs. 2
BayVwVfG Art. 54 ff.
BayBO Art. 47
Stellplatzsatzung der Landeshauptstadt München (StPlS) § 4
Schlagworte:
allgemeine Leistungsklage, Stellplatzablösevertrag, öffentlich-rechtlicher Vertrag, Vertragsmodell „Hellipstraße“, Rückzahlung Stellplatzablöse, öffentlich-rechtlicher Erstattungsanspruch, rechtsgrundlose Vermögensverschiebung (verneint)
Fundstelle:
BeckRS 2025, 17943

Tenor

I. Die Klage wird abgewiesen.
II. Die Klägerin hat die Kosten des Verfahrens zu tragen.
III. Die Kostenentscheidung ist vorläufig vollstreckbar.
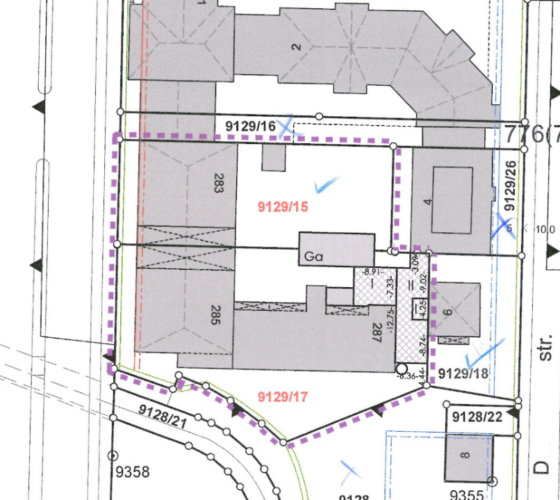
Die Klägerin darf die Vollstreckung durch Sicherheitsleistung oder Hinterlegung in Höhe des vollstreckbaren Betrags abwenden, wenn nicht die Beklagte vorher Sicherheit in gleicher Höhe leistet.

Tatbestand

1
Die Klägerin begehrt von der Beklagten die Teilrückerstattung von Stellplatzablösezahlungen nebst Zinsen.
2
Mit Bescheid vom 9. August 2019 erteilte die Beklagte der Klägerin auf deren vorherigen Antrag hin eine Baugenehmigung für die Nutzungsänderung einer Maisonettewohnung in Büro auf dem nach dem Wohnungseigentumsgesetz aufgeteilten Grundstück FlNr. … Gem. … * (dort Rückgebäude F. Straße 287). Bezüglich des Stellplatznachweises schlossen die Klägerin und die Beklagte mit entsprechenden Erklärungen vom 3. Juli 2019 und vom 11. Juli 2019 vorab einen Stellplatzablösevertrag nach dem „Modell …straße“, der u.a. folgende Vereinbarungen enthält:
„§ 1
3
Das nach dem Bauantrag vom 31.03.2019 geplante Bauvorhaben auf dem Grundstück F. Str. 287/RGB, Fl.Nr. …, Gemarkung … * löst gemäß Art. 47 BayBO i.V.m. der Stellplatzsatzung der Landeshauptstadt München einen Einstellbedarf für 4 Kraftfahrzeuge aus, wovon 0 Stellplätze gleichzeitig mit dem Bauvorhaben erstellt werden. Gegenstand des Vertrages sind somit 4 Stellplätze.
§ 2
4
(1) Der Bauherr verpflichtet sich, die notwendigen Stellplätze, die nach § 1 Gegenstand dieses Vertrags sind, bis spätestens 01.07.2021 in der Nähe seines Baugrundstücks nachzuweisen und rechtlich zu sichern (Grunddienstbarkeit zwischen den beteiligten Grundstücken und beschränkte persönliche Dienstbarkeit zugunsten der Stadt). Durch diese Verpflichtung werden etwaige bauaufsichtliche Anforderungen, Bedingungen und Auflagen vorweg ausgeräumt.
5
(2) Sollte(n) der Stellplatz/die Stellplätze nicht bis zu dem im ersten Absatz festgelegten Termin nachgewiesen sein, verpflichtet sich der/die Bauherr/-in, der Stadt … unwiderruflich je Stellplatz einen Betrag von 7500,- EUR
6
(in Worten: siebentausendfünfhundert EUR),
7
also insgesamt 30000,- EUR
8
(in Worten: dreißigtausend Euro)
9
bis spätestens 01.08.2021 zur Verfügung zu stellen.
10
Die Zahlung des Ablösevertrags erfolgt unwiderruflich (…).
§ 3
11
Die Stadt … ist damit einverstanden, dass eine Einstellfläche als „in der Nähe befindlich“ gilt, wenn die tatsächliche Wegstrecke zwischen Einstellfläche und dem Baugrundstück ca. 300 m nicht überschreitet. (…)“
12
Zur Sicherung der Verpflichtung übernahm die mitunterzeichnende Bank eine selbstschuldnerische, unwiderrufliche und unbedingte Bürgschaft des Inhalts, dass sie für den Fall der Nichterfüllung einen Betrag in Höhe von 30.000,00 EUR zahlt (§ 4 des Ablösevertrags).
13
Die Baugenehmigung vom 9. August 2019, der Klägerin gegen Postzustellungsurkunde zugestellt am 13. August 2019, enthält darüber hinaus folgende Auflage Ziffer 1:
14
„Kfz-Stellplätze:
15
Für dieses Bauvorhaben ist folgende Anzahl von Stellplätzen für Kraftfahrzeuge erforderlich: 4
16
Davon werden gemäß Vertrag vom 11.07.2019 abgelöst: 4 (…)“
17
Das Grundstück FlNr. … Gem. … * ist im Bestand mit einem mehrgeschossigen Vorder- (F. Straße 285) und Rückgebäude (F. Straße 287) bebaut. Das Vordergebäude und der auf dem Nachbargrundstück FlNr. … Gem. … * (F. Straße 283) vorhandene Gebäudebestand sind an der gemeinsamen Grundstücksgrenze profilgleich aneinandergebaut. Unter den beiden Grundstücken befindet sich eine Tiefgarage, die über eine gemeinsame Zu- und Ausfahrt genutzt wird [vgl. die in den vorgelegten Behördenakten enthaltenen Bauvorlagen zu den Baugenehmigungen vom 9. August 1971 (F. Straße 285) und vom 5. Oktober 1971 (F. Straße 283) ].
18
Vergleiche folgenden Auszug aus dem (der Baugenehmigung vom 9. August 2019 nach Plan-Nr. … zugrunde liegenden) Lageplan, Maßstab 1 : 1000, der eine Darstellung des genehmigten Vorhabens und der benachbarten Bebauung enthält (aufgrund Einscannens möglicherweise nicht mehr maßstabsgetreu):
19
Unter dem 17. Februar 2020 wurde der … …gesellschaft mbH & Co. Gewerbebau KG … hinsichtlich der Grundstücke FlNr. und … Gem. … * eine Baugenehmigung für den Umbau und die Nutzungsänderung eines Bürogebäudes (Bestandsgebäude F. Straße 283 und Vordergebäude F. Straße 285) in ein Wohnhaus (65 Wohneinheiten) mit einem Büro, drei Läden und Mobilitätskonzept nach Plan-Nr. … erteilt.
20
Nach den vorgelegten Bauvorlagen sollte im Zuge dessen auch die gesamte, bestehende Tiefgarage [im Grundriss „Untergeschoss/Tiefgarage“ als Tiefgarage 1 (FlNr. …*) und Tiefgarage 2 (FlNr. …*) bezeichnet] umgebaut und saniert werden. Insgesamt sollen dort nach Durchführung der Baumaßnahme 75 Stellplätze vorgehalten werden, davon 37 in Tiefgarage 1 (FlNr. *) und 38 in Tiefgarage 2 (FlNr. …*). In einem „Beiblatt 1 zum Stellplatznachweis“ (Behördenakte 602- …- …, Bl. 24) wird ausgeführt, der Stellplatznachweis sei „Bestandteil des Bauantrags FlNr. … … „Umbau und Nutzungsänderung eines Bürogebäudes in Wohnungen, Umbau einer Tiefgarage““ und auch „Bestandteil des separaten Bauantrags F. str. 287 / FlSt. …: „Nutzungsänderung einer Maisonettewohnung in Büronutzung Rückgebäude““. Im Formular „Stellplatznachweis“ (Behördenakte …, Bl. 22 f.) ist auf dessen S. 2 unter „Stellplatzbedarf für sonstige Nutzungen“ die Nutzungsänderung von Maisonettewohnung in Büro mit vier Stellplätzen veranschlagt. Im Grundriss Tiefgarage sind im Bereich der Tiefgarage 2, also auf dem Grundstück FlNr.9129/17 (F. Straße 285/287), die Stellplätze mit den Ziffern 24 bis 27 durchgestrichen und mit der Angabe „Nachweis Stpl. für separaten Bauantrag Nutzungsänderung Maisonettewohnung FÜ 287“ versehen.
21
Mit Schreiben vom 7. Juli 2021, bei der Beklagten als Telefax eingegangen am selben Tag, teilte die Klägerin der Beklagten unter Bezugnahme auf die Baugenehmigung vom 9. August 2019 mit, der Nachweis der Stellplätze solle im Zuge des Erwerbs von vier Stellplätzen erfolgen. Der Erwerb verzögere sich durch Änderung der Teilungserklärung und Eigentumsverhältnisse am Grundstück noch bis Ende August; es sei davon auszugehen, dass die Stellplätze ca. Anfang August im Grundbuch umgeschrieben seien und den von der … III an die Klägerin verkauft werden könnten. Es werde daher um Fristverlängerung und Übersendung eines Musters für die Dienstbarkeit gebeten. Dem Schreiben beigefügt waren die Kopie eines Aufteilungsplans mit Kennzeichnung der Stellplätze (Lage im Bereich der Tiefgarage 2 auf dem Grundstück FlNr. …*) und ein Schreiben der … …gesellschaft mbH & Co. Gewerbebau KG III, ebenfalls vom 7. Juli 2021, in welchem diese den beabsichtigten Verkauf an die Klägerin bestätigte. Dieser erfolge, sobald das Grundbuch nach Änderung der Teilungserklärung berichtigt worden sei.
22
Unter dem 15. Juli 2021 informierte die Beklagte die Klägerin darüber, dass ein Stellplatznachweis in der Tiefgargage F. Straße 283/285 wegen der anderweitigen baurechtlichen Bindung der Stellplätze nicht möglich sei. Es werde um Mitteilung bis 16. August 2021 gebeten, ob ein Stellplatznachweis an anderer Stelle möglich sei oder um Einzahlung des Ablösebetrags gebeten.
23
Mit Schreiben vom 16. August 2021 trat die Klägerin dem entgegen und teilte zudem mit, der Notartermin werde am 31. August 2021 stattfinden. Daraufhin legte die Beklagte mit Schreiben vom 17. August 2021 nochmals ihre Rechtsauffassung dar und bat um Einzahlung der Stellplatzablöse. Dem schloss sich umfangreicher Schriftverkehr zwischen Klägerin bzw. deren zwischenzeitlich bestelltem Bevollmächtigten und Beklagter – insbesondere über die Frage der Stellplatzbelastungen in der Tiefgarage F. Straße 283, 285, 287 und die Frage der Notwendigkeit der Zahlung der Stellplatzablöse – an, auf den Bezug genommen wird.
24
Mit Schreiben vom 9. Januar 2023 nahm der Bevollmächtigte der Klägerin erneut gegenüber der Beklagten Stellung und bat – aufgrund des nach Auffassung der Klagepartei geführten Realnachweises der vier Stellplätze – um Rückgabe der Bürgschaftsurkunde. Mit Schreiben vom 26. Januar 2023 lehnte die Beklagte dies ab, teilte jedoch mit, dass in der Tiefgarage ein Realnachweis von einem Stellplatz möglich sei und forderte die Klägerin zur Vorlage von Baubeginns- und Nutzungsanzeige sowie zur Einzahlung des Ablösebetrags für drei Stellplätze auf. Nachdem der Bevollmächtigte der Klägerin mit Schriftsatz vom 16. Februar 2023 mitgeteilt hatte, dass nach Auffassung der Klagepartei kein Rechtsgrund für die Zahlung des geforderten Ablösebetrags bestehe und Baubeginns- und Nutzungsanzeigen für die Baugenehmigung vom 9. August 2021 vorgelegt worden waren, nahm die Beklagte die Bürgin in Höhe von 22.500,00 EUR in Anspruch (vgl. Anlage K 9; Valuta zum 11. April 2021).
25
Mit Schriftsatz ihres Prozessbevollmächtigten vom 9. August 2023, beim Verwaltungsgericht München eingegangen am selben Tag, ließ die Klägerin Klage erheben und beantragt
26
die Beklagte zu verpflichten, den Betrag von 22.500,00 EUR nebst Zinsen in Höhe von 9% über dem Basiszinssatz p.a. ab dem 11.04.2023 zurückzuzahlen.
27
Zur Begründung wurde – zusammengefasst – im Wesentlichen geltend gemacht, der Klägerin stehe ein Rückzahlungsanspruch in Höhe von 22.500,00 EUR zu. Die Voraussetzungen für die Inanspruchnahme der Klägerin zu einer Stellplatzablöse gem. § 2 Abs. 1 des Ablösevertrags seien nicht eingetreten, da alle vier Stellplätze bis zum Termin am 1. Juli 2021 im Rahmen des Stellplatznachweises der Baugenehmigung vom 17. Februar 2020 in der Tiefgarage auf dem Baugrundstück real nachgewiesen worden seien. Auf S. 2 des im Baugenehmigungsverfahren vorgelegten Formblatts „Stellplatznachweis“ sei in Ziffer 3 Nr. 5 der Realnachweis von vier Stellplätzen (NÄ FÜ287) aufgeführt; vier real in der Tiefgarage vorhandene Stellplätze seien der Nutzungsänderung der Maisonettewohnung in Büronutzung zugeordnet. Der Stellplatznachweis mit den real nachgewiesenen vier Stellplätzen für die Baugenehmigung vom 9. August 2019 sei nicht abgeändert bzw. von der Beklagten korrigiert worden und Teil der bestandskräftigen Baugenehmigung vom 17. Februar 2020. Dem Schreiben der Klägerin vom 7. Juli 2021 an die Beklagte lasse sich nicht entnehmen, dass die Klägerin selbst davon ausgehe, dass der Nachweis nicht erbracht sei. Vielmehr werde dort ausgeführt, die Stellplätze 17, 18, 45 und 46 (Zählweise offenkundig nach vorgelegter Kopie des Aufteilungsplans, Behördenakte …, Bl. 3; diese entsprechen hinsichtlich der Lage den Stellplätzen Ziffern 24 bis 27 aus dem Grundriss Tiefgarage zur Baugenehmigung vom 17. Februar 2020) könnten an die Klägerin verkauft werden. Aus dem beigefügten Schreiben der … …gesellschaft mbH & Co. Gewerbebau KG III nebst Lageplan der Tiefgarage gehe eindeutig hervor, dass es sich um real existierende und insoweit nachgewiesene Stellplätze handle, die sich auf dem Baugrundstück befänden. Dass das Teileigentum von der Klägerin von der Muttergesellschaft erworben werden solle, spiele für den Nachweis keine Rolle. Wegen der sukzessiven Umbaubaumaßnahmen auf dem Baugrundstück sei gerade keine herkömmliche Stellplatzablöse, sondern ein Vertrag nach dem Modell „Auen straße“ gewählt worden, mit dem der Klägerin der Realnachweis eröffnet worden sei.
28
Ein Realnachweis sei gemäß Ablösevertrag auch möglich. Davon gehe auch die Beklagte aus, indem sie für einen der Stellplätze den Realnachweis in der Tiefgarage anerkannt habe. Eine Verpflichtung zur Bewilligung von entsprechenden Grunddienstbarkeiten für Stellplätze auf Nachbargrundstücken gebe es nicht. Die in § 2 Abs. 1 des Ablösevertrags insoweit enthaltene Verpflichtung sei unwirksam, da diese nicht durch Verwaltungsakt angeordnet werden könne. Da die vier Stellplätze auf dem Grundstück vorhanden seien, mithin kein Nachweis auf dem Nachbargrundstück erfolge, habe es auch keiner dinglichen Sicherung bedurft. Zudem stelle § 2 Abs. 2 Satz 1 des Vertrags hinsichtlich der Zahlungspflicht nur auf einen Nachweis bis zu dem in § 2 Abs. 1 festgelegten Termin ab, ohne zu bestimmen, wie der Nachweis zu erfolgen habe.
29
Die Auffassung der Beklagten, dass weitere drei Stellplätze nicht durch Realnachweis, sondern nur durch Zahlung eines Ablösebetrags i.H.v. 22.500,00 EUR nachgewiesen werden könnten, sei unzutreffend und verkenne den bestandskräftigen und inhaltlich zutreffenden Stellplatznachweis aus der Baugenehmigung vom 17. Februar 2020. Dieser sei – was in den vorgelegten Klagebegründungen näher ausgeführt wird – auch inhaltlich zutreffend. Der Bauherr habe von einem ordnungsgemäßen (Gesamt-)Stellplatznachweis ausgehen müssen, der einen Gesamtbedarf von 74 erforderlichen Stellplätzen ausgewiesen habe, wobei insgesamt 75 nachgewiesen worden seien. Der Stellplatznachweis für mehrere Bauvorhaben (Bauzeit in den Jahren 2018 – 2023) sei in Abstimmung mit der Beklagten in der maßgeblichen Tiefgarage geführt worden, die ursprünglich 92 Stellplätze aufgewiesen habe. Im Rahmen der erst später erfolgten Sanierung seien Duplex-Parker im Vertrauen auf die Baugenehmigung vom 17. Februar 2020 zurückgebaut und PKW-Stellplätze zu Fahrradstellplätzen umgewandelt worden, sodass sich die Zahl auf 75 PKW-Stellplätze reduziert habe. Diese finale Gesamtberechnung sei im Rahmen des Stellplatznachweis der Baugenehmigung vom 17. Februar 2020 verbeschieden und dem vorliegenden Bauvorhaben vier Stellplätze real zugeordnet worden. Die Klägerin habe mittlerweile auch Teileigentum an diesen vier Tiefgaragenstellplätzen erworben. Die Maßnahmen seien zudem intensiv mit dem Mobilitätsreferat der Beklagten besprochen und abgestimmt worden.
30
Die Beklagte beantragt
31
Klageabweisung.
32
Der Klägerin stehe der geltend gemachte Rückforderungsanspruch nicht zu. Der Ablösebetrag sei nicht rechtsgrundlos vereinnahmt worden. Wie ihrem Schreiben an die Beklagte vom 7. Juli 2021 entnommen werden könne, sei die Klägerin selbst davon ausgegangen, dass der Stellplatznachweis zum vertraglich festgesetzten Fristende am 1. Juli 2021 nicht erbracht gewesen sei. Es bestehe auch kein Anspruch auf Rückzahlung des geleisteten Ablösebetrags in Höhe von 22.500,00 EUR, da der geschlossene Stellplatzablösevertrag weder unwirksam noch sonst entfallen sei und damit den Rechtsgrund für die Leistung darstelle. Die Klägerin habe die erforderlichen Stellplätze nicht nachwiesen. In der Tiefgarage habe für das hiesige Vorhaben nur ein Stellplatz nachgewiesen werden können. Der Vortrag der Klägerin, sie habe der Beklagten im Verfahren der Baugenehmigung vom 17. Februar 2020 einen Stellplatznachweis mitsamt Mobilitätskonzept vorgelegt und diese seien in der Baugenehmigung aufgenommen worden, verfange nicht; diese Baugenehmigung enthalte keine Aussage über den Stellplatznachweis anderer Vorhaben. Die Voraussetzungen des § 2 Abs. 2 des Stellplatzablösevertrags seien erfüllt gewesen, der Betrag sei in Höhe von 22.500,00 EUR fällig geworden. Darüber hinaus stelle die in der Baugenehmigung enthaltene Nebenbestimmung hinsichtlich der Kfz-Stellplätze einen selbständigen Rechtsgrund für die Zahlungspflicht dar.
33
Zu den weiteren Einzelheiten wird auf das Protokoll über die mündliche Verhandlung vom 31. März 2025, das schriftsätzliche Vorbringen der Beteiligten sowie die vorgelegten Behördenakten und die Gerichtsakte Bezug genommen.

Entscheidungsgründe

34
Die zulässige allgemeine Leistungsklage hat in der Sache keinen Erfolg, da der Klägerin der geltend gemachte Zahlungsanspruch nicht zusteht.
35
1. Die Klage ist zulässig. Ein Stellplatzablösevertrag ist ein öffentlich-rechtlicher Vertrag im Sinne der Art. 54 ff. BayVwVfG, weshalb bei Streitigkeiten hieraus der Verwaltungsrechtsweg gemäß § 40 Abs. 1 VwGO eröffnet ist (BVerwG, U.v. 13.7.1979 – 4 C 67/76 – NJW 1980, 1294, juris Rn. 36; BayVGH, U.v. 11.3.2004 – 2 BV 02.3044 – VGHE BY 57, 103, juris Ls 1, Rn. 15; VG München, U.v. 23.3.2015 – M 8 K 13.5773 – juris Rn. 12; Gruber in: BeckOK BauordnungsR Bayern, Art. 47 Rn. 106). Richtige Klageart ist vorliegend die von der Klägerin gewählte, in § 43 Abs. 2 VwGO genannte allgemeine Leistungsklage.
36
2. Die Klage ist jedoch unbegründet. Die Klägerin hat keinen Anspruch auf Rückzahlung des Teilbetrags in Höhe von 22.500,00 EUR für drei Stellplätze und damit auch keinen Anspruch auf Zahlung von Zinsen.
37
Die Voraussetzungen des insoweit maßgeblichen öffentlich-rechtlichen Erstattungsanspruchs, die denen des zivilrechtlichen Bereicherungsrechts entsprechen, liegen nicht vor (vgl. zum öffentlich-rechtlichen Erstattungsanspruch und seinen Voraussetzungen: BVerwG, U.v. 12.3.1985 – 7 C 48. 82 – BVerwGE 71, 85, juris Rn. 12 f. m.w.N.; U.v. 16.5.2000 – 4 C 4/99 – BVerwGE 111, 162, juris; BayVGH, U.v. 29.1.2004 – 2 B 02.1445 – BayVBl 2004, 564, juris Rn. 16; U.v. 11.3.2004 – 2 BV 02.3044 – VGH BY 57, 103, juris Rn. 15; SächsOVG, U.v. 11.4.2019 – 1 A 206/18 – SächsVBl 2019, 284, juris Rn. 28 f; U.v. 18.8.2011 – 1 A 335/09 – juris Rn. 32; OVG NW, U.v. 5.9.1996 – 7 A 958/94 – juris Rn. 4 f.; Gruber in: BeckOK BauordnungsR, 32. Edition 1.2.2025, Art. 47 Rn. 125; Würfel in: Busse/Kraus, Bayerische Bauordnung, 157. EL Januar 2025, Art. 47 Rn. 338 mwN; Molodovsky in: Molodovsky/Famers/Waldmann, Bayerische Bauordung, Update 01/2025, Art. 47 Rn. 101).
38
Der Erstattungsanspruch setzt voraus, dass eine Leistung ohne rechtlichen Grund erlangt wurde, der Rechtsgrund später weggefallen oder der bezweckte Erfolg nicht eingetreten ist (vgl. SächsOVG, U.v. 11.4.2019 – 1 A 206/18 – SächsVBl 2019, 284, juris Rn. 29). An einer rechtsgrundlosen Vermögensverschiebung fehlt es jedoch im vorliegenden Fall.
39
Rechtsgrundlage für die Zahlung der Stellplatzablöse ist der zwischen den Parteien geschlossene Ablösevertrag vom 3. Juli 2019/11. Juli 2019, der seinerseits seine Rechtsgrundlage in Art. 47 Abs. 3 Nr. 3 BayBO und § 4 Abs. 2 bis 4 StPlS findet. Gründe für die Unwirksamkeit oder Nichtigkeit des Ablösevertrags (Art. 59 BayVwVfG) sind nicht ersichtlich.
40
Der Anspruch auf Zahlung der Stellplatzablöse ist entstanden, da die Klägerin die Stellplätze nicht bis zu dem im Ablösevertrag vereinbarten Termin – nämlich dem 1. Juli 2021 – auf einem geeigneten Grundstück in der Nähe ihres Baugrundstücks nachgewiesen hat.
41
Gem. § 2 Abs. 1 des zwischen den Beteiligten geschlossenen Stellplatzablösevertrags war die Klägerin verpflichtet, die notwendigen Stellplätze, die nach § 1 Gegenstand des Vertrags sind, bis spätestens 1. Juli 2021 in der Nähe ihres Baugrundstücks nachzuweisen und rechtlich zu sichern (Grunddienstbarkeit zwischen den beteiligten Grundstücken und beschränkte persönliche Dienstbarkeit zugunsten der Stadt). § 3 enthält sodann eine Konkretisierung dessen, was noch als „in der Nähe“ gelten solle. Sollte(n) der Stellplatz/die Stellplätze nicht bis zu dem festgelegten Termin nachgewiesen sein, verpflichtete sich die Klägerin, der Beklagten unwiderruflich je Stellplatz einen Betrag von 7.500,00 EUR bis spätestens 1. August 2021 zur Verfügung zu stellen (§ 2 Abs. 2 Satz 1 Stellplatzablösevertrag).
42
Der geschlossene Vertrag regelt mithin einerseits, bis wann die Realherstellung nachzuweisen ist, sowie andererseits, wie der Realnachweis anstelle der Ablöse zu führen ist. Der Zahlungsanspruch der Beklagten auf Leistung der streitgegenständlichen Stellplatzablöse entsteht schon bei Fehlen einer der beiden Voraussetzungen. Die Klägerin hat indes keine der beiden Voraussetzungen erfüllt. Sie hat zum einen die vereinbarte Frist nicht eingehalten und zum anderen bis zum heutigen Tag die vereinbarte Art des Nachweises weder schlüssig behauptet oder gar nachgewiesen.
43
2.1. Die Klägerin hat nicht bis zum 1. Juli 2021 nachgewiesen, über vier Stellplätze in der Tiefgarage verfügungsberechtigt zu sein. Das folgt schon aus den eigenen Einlassungen der Klägerin. Sie hat in den Schreiben an die Beklagte vom 7. Juli 2021 und 16. August 2021 ausdrücklich ausgeführt, dass ein geplanter Erwerb der Stellplätze nicht stattgefunden habe und um Verlängerung der Frist gebeten. Eine Verlängerung der Frist durch die Beklagte ist nicht erfolgt (vgl. dazu insbesondere die Schreiben der Klägerin vom 7. Juli 2021 und 16. August 2021 an die Beklagte (Behördenakten Az. 603-3.2-2019-17607-23, Bl. 2 ff. sowie Bl. 10 f.).
44
2.2. Unabhängig davon und selbstständig tragend ist der Zahlungsanspruch neben dem Fristablauf auch deshalb entstanden, weil die Klägerin das „Wie“ der Stellplatzablöse nicht vertragsgemäß durch Herstellung und Sicherung der Stellplätze in der Nähe des Baugrundstücks umgesetzt hat.
45
Die in der Vertragsklausel § 2 Abs. 1 des Ablösevertrags enthaltene Formulierung „in der Nähe seines Baugrundstücks“ ist nach Art. 62 Satz 2 BayVwVfG i.V.m. §§ 133, 157 BGB bei der gebotenen objektiven Betrachtungsweise dahingehend auszulegen, dass die vorgesehene Möglichkeit der Realherstellung ausschließlich auf anderen Grundstücke als dem Baugrundstück erfolgen soll – freilich unter der weiteren Prämisse, dass sie in dessen Nähe liegen. Die Realherstellung auf dem Baugrundstück selbst soll gerade nicht erfasst sein (vgl. zur Auslegung von Willenserklärungen und Verträgen, auch im öffentlichen Recht: Kopp/Ramsauer, VwVfG, 25. Auflage 2024, § 62 Rn. 12; vgl. ferner: BayVGH, U.v. 21.3.2019 – 13 A 18.1859 – juris Rn. 36 f.; vgl. ferner: BayVGH, B.v. 14.6.2013 – 10 C 13.710 – juris Rn. 5 unter Hinweis auf BVerwG, U.v. 18.12.2007 – 6 C 47.06 – NVwZ 2008, 571, juris Rn. 29 für Verwaltungsakte; U.v. 27.8.2008 – 6 C 32.07 – NJW 2009, 162, juris Rn. 23 für Prozesshandlungen; B.v. 22.9.2011 – 6 B 19.11 – Buchholz 421.2 Hochschulrecht Nr. 76, juris Os, Rn. 6 für öffentlich-rechtliche Willenserklärungen).
46
Das Gesetz und die Stellplatzsatzung der Beklagten sehen für die Erfüllung der Stellplatzpflicht im Wege der Realherstellung zwei Möglichkeiten vor: zum einen die Herstellung auf dem Baugrundstück selbst (Art. 47 Abs. 3 Nr. 1 BayBO bzw. § 4 Satz 1 Alt. 1 StPlS), zum anderen auf einem geeigneten Grundstück in der Nähe des Bugrundstücks, wenn dessen Benutzung für diesen Zweck gegenüber dem Rechtsträger der Bauaufsichtsbehörde rechtlich gesichert ist (Art. 47 Abs. 3 Nr. 2 BayBO, § 4 Abs. 1 Satz 1 Alt. 2 StPlS).
47
Der Wortlaut des § 2 Abs. 1 des Ablösevertrags („in der Nähe seines Baugrundstücks“) ist ersichtlich dem Wortlaut des Gesetzes – Art. 47 Abs. 3 Nr. 2 BayBO in der im Zeitpunkt des Vertragsschlusses gültigen Fassung vom 26. März 2019 – und der Stellplatzsatzung der Beklagten (§ 4 Abs. 1 Satz 1 Alt. 2 StPlS), beides die Herstellung auf einem anderen Grundstück betreffend, entlehnt. Art. 47 BayBO und die Stellplatzsatzung der Beklagten werden in der Präambel des Vertrags darüber hinaus explizit in Bezug genommen. Angesichts dessen kann die in Rede stehende Vertragsklausel des Ablösevertrags bei verständiger, objektiver Auslegung nur so verstanden werden, dass sie sich nicht auf die Realherstellung auf dem Baugrundstück selbst bezieht mit der Folge, dass eine solche daher nicht als vertragsgemäß anzusehen ist. Der vertraglich vereinbarte Stellplatznachweis ist nur dann geführt, wenn ein Stellplatz auf einem anderen als dem Baugrundstück, jedoch in dessen Nähe, tatsächlich hergestellt ist und dessen Benutzung für diesen Zweck gegenüber dem Rechtsträger der Bauaufsichtsbehörde rechtlich gesichert ist.
48
Der Einwand der des Prozessbevollmächtigten der Klägerin in der mündlichen Verhandlung am 31. März 2025, in den Verhandlungen mit der Beklagten sei klar gewesen, dass die im Rahmen der Baugenehmigung vom 9. August 2019 erforderlichen Stellplätze im Rahmen der nachfolgenden Baugenehmigung, die am 17. Februar 2020 erteilt worden sei, nachwiesen werden könnten, führt schon deswegen nicht zum Erfolg, weil dies im Wortlaut des Stellplatzablösevertrags, den die Klägerin mit der Beklagten geschlossen hat und der im vorgenannten Sinne auszulegen ist, keinen Niederschlag gefunden hat.
49
2.3. Die von der Klägerin behauptete – zwischen den Parteien streitige – nach Erteilung der Baugenehmigung erfolgte Herstellung bzw. Anrechnung von Stellplätzen auf dem Baugrundstück (Stellplätze 17, 18, 45 und 46) ist nicht entscheidungserheblich. Der Stellplatzablösevertrag sieht ausschließlich einen (zeitlich befristet möglichen) Nachweis in der Nähe des Baugrundstücks oder die Zahlung einer Stellplatzablöse vor. Die spätere Herstellung / Anrechnung von Stellplätzen auf dem Baugrundstück ist weder vorgesehen noch geeignet, den Anspruch der Beklagten auf Zahlung der Stellplatzablöse entfallen zu lassen. Die Baugenehmigung vom 9. August 2019 sieht dementsprechend ausschließlich den Stellplatznachweis durch den Stellplatzablösevertrag vom 11. Juli 2019 vor.
50
3. Die Kostenentscheidung folgt aus § 154 Abs. 1 VwGO.
51
Die Entscheidung über die vorläufige Vollstreckbarkeit beruht auf § 167 VwGO i.V.m. §§ 708 ff. Zivilprozessordnung – ZPO.