Titel:
			Erfolgreiche Nachbaranfechtungsklage gegen Texturgenehmigung
			Normenketten:
			BayVwVfG Art. 37 Abs. 1
			BauGB § 34 Abs. 2
			BauNVO § 4, § 15 Abs. 1 S. 2
			BayBO Art. 59 Satz 1 Nr. 1 lit. a
			BImSchG § 3, § 22 Abs. 1
			Leitsätze:
			1. Eine Baugenehmigung kann die Rechte des Nachbarn auch dann verletzen, wenn sie hinsichtlich nachbarrechtsrelevanter Fragen zu unbestimmt ist, z. B. wenn wegen Fehlens oder Unvollständigkeit der Bauvorlagen bzw. mangels konkretisierender Inhalts- oder Nebenbestimmungen Gegenstand und Umfang der Baugenehmigung nicht eindeutig festgestellt und in Folge eine Verletzung von Nachbarrechten nicht eindeutig ausgeschlossen werden kann.  (Rn. 23) (redaktioneller Leitsatz)
			2. Das Maß der gebotenen Rücksichtnahme hängt von den besonderen Umständen des Einzelfalls ab, hierbei ist zur Bestimmung der Grenze der Zumutbarkeit von Umwelteinwirkungen grundsätzlich auf die Begriffsbestimmungen und materiell-rechtlichen Maßstäbe des Immissionsschutzrechts und bei nicht immissionsschutzrechtlich genehmigungsbedürftigen Wärmepumpen zur Konkretisierung auf die Sechste Allgemeine Verwaltungsvorschrift zum Bundes-Immissionsschutzgesetz (Technische Anleitung zum Schutz gegen Lärm - TA Lärm) zurückzugreifen. (Rn. 26) (redaktioneller Leitsatz)
			Schlagworte:
			Nachbarrechtsverletzende Unbestimmtheit einer Tekturgenehmigung u.a. für „eine Wärmepumpe“ ohne Angabe des Modells und ohne Festlegung von zielorientierten Immissionsrichtwerten, Anfechtungsklage, Bauplanungsrecht, Nachbar, Baurecht, faktisches allgemeines Wohngebiet, Unbestimmtheit, Rücksichtnahmegebot, Lärmimmissionen, Wärmepumpe, Unteilbarkeit der Baugenehmigung
			Fundstelle:
			BeckRS 2021, 48313
		 
		 
		Tenor
		
			
			1. Der Bescheid des Landratsamtes ... vom 30. Juni 2020 wird aufgehoben.  
		 
		
			
			2. Der Beklagte trägt die Kosten des Verfahrens mit Ausnahme der außergerichtlichen Kosten des Beigeladenen, die dieser selbst trägt. Das Urteil ist insoweit vorläufig vollstreckbar. 
		 
		
			
			3. Der Beklagte kann die Vollstreckung durch Sicherheitsleistung oder Hinterlegung in Höhe der festgesetzten Kosten abwenden, wenn nicht der Kläger vor der Vollstreckung Sicherheit in gleicher Höhe leistet. 
		 
		Tatbestand
		
			1
			Der Kläger begehrt die Aufhebung einer dem Beigeladenen erteilten Tektur-Baugenehmigung zur Änderung von Lage und Größe der Garage, zur Errichtung einer Gabionenwand und einer Wärmepumpe im Rahmen des Neubaus einer Doppelhaushälfte.
		 
		
			2
			Der Kläger ist Wohnungs- bzw. Teileigentümer des Grundstücks mit der FlNr. … der Gemarkung … (im Folgenden stets diese). Direkt nördlich schließt sich das Grundstück des Beigeladenen mit der FlNr. … an. Nach Westen hin grenzen beide Grundstücke an die … straße. Ein Bebauungsplan für das Gebiet existiert nicht. Das auf dem Klägergrundstück befindliche Wohngebäude und die auf dem Beigeladenengrundstück errichtete Doppelhaushälfte sind jeweils grenzständig mit ihrer Giebelseite aneinandergebaut. Im Wohngebäude des Klägers befand sich ausweislich der 1993 im Baugenehmigungsverfahren eingereichten Grundrisse im Erdgeschoss an der gemeinsamen Grundstücksgrenze ein Schlaf- und ein Kinderzimmer und im Obergeschoss zwei Kinderzimmer. Die Traufseite mit den Hauseingängen zeigt jeweils zur … straße. Von der Frontseite bis zur … straße hin hat die gemeinsame Grundstücksgrenze eine Länge von 4,41 m. Unter anderem zur … straße und zum Grundstück des Klägers hin ist das Beigeladenengrundstück in seinem westlichen Teil durch eine gefüllte Gabionenwand mit einer Höhe von 1,78 m eingefriedet.
		 
		
			3
			Die Errichtung der auf dem Grundstück des Beigeladenen stehenden Doppelhaushälfte wurde mit Bescheid des Landratsamtes … vom 23. Januar 2019 genehmigt. Die diesbezüglichen Planunterlagen hat der Kläger unterschrieben. Auf diesen war die Errichtung einer zum Kläger grenzständigen Doppelhaushälfte mit Keller-, Erd-, Dachgeschoss und Spitzboden vorgesehen. Die Garage (3 x 6 m) sollte nördlich unmittelbar an den hinteren Teil der Doppelhaushälfte anschließen und grenzständig zum nördlich anliegenden Grundstück FlNr. …, also der vom Klägergrundstück abgewandten Seite, zum Liegen kommen. Die Errichtung einer Gabionenwand oder der Einbau eine Wärmepumpe waren in den Planunterlagen nicht vorgesehen, sondern als Heizung eine „Gas-Brennwertheizung nach EneV“. Gegen den Bescheid vom 23. Januar 2019 ging der Kläger nicht gerichtlich vor.
		 
		
			4
			Nachdem das Landratsamt bei einer Baukontrolle, wohl am 31. März 2020, feststellte, dass an der gemeinsamen Grundstücksgrenze zwischen Baugrundstück und klägerischem Grundstück eine Wärmepumpe errichtet wurde, deren Ausblasöffnung auf das Grundstück des Klägers gerichtet war, wurde der Beigeladene mit Telefonat vom 31. März 2020 darauf hingewiesen, dass die Wärmepumpe eventuell abstandsflächenpflichtig sei und ggf. versetzt werden müsse. Auch sei das Fundament für die Garage planabweichend gesetzt worden, weshalb das Landratsamt beabsichtige den Weiterbau diesbezüglich einzustellen. Der Beigeladene teilte mit, dass ihm eine mögliche Abstandsflächenpflicht bewusst sei, jedoch sei das bei Doppelhaushälften ein Grenzfall. Die Wärmepumpe sei so kurzfristig gesetzt worden, da der Bau habe fertig werden sollen. Die Garage solle gar nicht errichtet werden, stattdessen ein Carport. Hierfür würden Unterlagen nachgereicht, wofür der Beklagte eine Frist bis zum 24. April 2020 setzte.
		 
		
			5
			Der Kläger beschwerte sich telefonisch am 7. April 2020 und am 14. April 2020 beim Beklagten über die Wärmepumpe seines Nachbarn. Diese sei im Zuge des Neubaus der Doppelhaushälfte einen Meter neben seine Grundstücksgrenze gesetzt worden. Die Wärmepumpe sei ihm zu laut, sie höre sich an, als würde man neben einer Kühlanlage schlafen. Seine Schlafzimmer würden alle auf der Straßenseite liegen, jeweils eines im Erdgeschoss und Obergeschoss des angebauten Doppelhauses und sein eigenes im neueren Querbau. Er könne in den Teil des Hauses, welcher direkt an der neuen Doppelhaushälfte liege, aktuell keine Mieter reinlassen, da es unzumutbar wäre. Daher habe er einen Anwalt eingeschaltet und bitte um bauaufsichtliches Einschreiten.
		 
		
			6
			Mit E-Mail vom 9. April 2020 forderte der Beklagte den Beigeladenen auf, die Dimensionen, Hersteller und Typ sowie die Schalleistungspegel der Wärmepumpe zu Tag und zur Nacht mitzuteilen und weiter deren genaue Lage im Lageplan einzuzeichnen sowie den Geländeverlauf zwischen beiden Grundstücken im Grenzbereich anzugeben. In einem Telefonat vom 16. April 2020 mit dem Beigeladenen forderte der Beklagte diesen erneut auf, die bereits erbetenen Informationen möglichst kurzfristig einzureichen. Weiter wurde die problematische Lage der Wärmepumpe zu nah an der Grenze und unmittelbar an den Schlafräumen des Nachbarn besprochen. Der Beigeladene gab an, dass die Pumpe aktuell tatsächlich zu laut sei. Im Moment laufe jedoch die Aufwärmphase zum Trocknen des Estrichs. Dieses automatische Programm laufe noch ca. eine Woche, danach dürfte es leiser werden. Er erklärte, zu einer Versetzung der Pumpe um 3 m und der Errichtung einer Gabionenwand bereit zu sein und bestätigte dies mit E-Mail vom 18. April 2020 nochmals. Allerdings bestünden nicht viele Möglichkeiten, die Wärmepumpe zu versetzen, da an der Nordseite die nachbarliche Terrasse liege. Der E-Mail vom 19. April 2020 war eine Schallberechnung des Herstellers Mitsubishi Electric der Wärmepumpe vom Typ … beigefügt, die für ein reines Wohngebiet eine Überschreitung des Immissionsrichtwerts der TA Lärm im Tagbetrieb um 5,5 dB(A) und im Nachbetrieb um 3,5 dB(A) bei einem Abstand von Quelle zu Empfänger von 3 m enthielt. Die Schalleistung nach ErP war mit 59,00 dB(A) angegeben.
		 
		
			7
			Nach Abschluss der Aufheiz- und Trockenarbeiten wurde die Wärmepumpe durch den Beigeladenen vom grenznahen Standort wieder entfernt.
		 
		
			8
			Mit Eingang beim Landratsamt … am 18. Mai 2020 reichte der Beigeladene einen Antrag auf Änderung der Baugenehmigung vom 23. Januar 2019 ein, der im Nachgang noch durch weitere Unterlagen ergänzt wurde. In der Baubeschreibung ist, anders als im Rahmen des ursprünglichen Genehmigungsverfahren, keine Gasheizung mehr vorgesehen. Der Standort der Garage wurde in etwa 2 m nach Osten verschoben und an deren östlichem Ende ein zusätzlicher, sich unmittelbar anschließender Geräteraum mit 7,66 m² ergänzt. An der Grenze zur … straße sowie an der zur Straßenseite liegenden gemeinsamen Grundstücksgrenze mit dem Kläger ist nunmehr eine rechtwinklig angeordnete Gabionenwand eingezeichnet. An der Grenze zur … straße ist sie 6,38 m lang, an der Grenze zum Klägergrundstück 4,25 m, ihre Höhe beträgt 1,78 m. Der durch sie zusammen mit der Hauswand des Beigeladenen gebildete Innenraum mit der Ausfahrt Richtung Norden soll unverändert als Pkw-Stellplatz dienen. Das Fundament der Wärmepumpe schließt nun unmittelbar an die Gabionenwand zur … straße hin an. Der Abstand ihrer Außenkante zur südlich liegenden gemeinsamen Grundstücksgrenze mit dem Kläger beträgt etwa 4,2 m. Auf diesen Planunterlagen unterschrieb der Kläger nicht. Die Stadt … erteilte am 7. Mai 2020 das gemeindliche Einvernehmen mit dem Bauvorhaben.
		 
		
			9
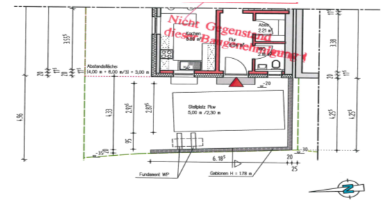
			Die Bauzeichnungen stellen sich ausschnittsweise wie folgt dar:
		 
		
		
			
			Quelle: LRA …, Bauplanmappe …, Grundriss 
		 
		
			10
			Nach einer durch Fotos dokumentierten Baukontrolle am 12. Juni 2020 hielt der Beklagte in einem Vermerk u.a. fest, dass zwischenzeitlich sämtliche Grundstücksgrenzen mit bislang ungefüllten Gabionenkörben versehen worden seien. Deren Höhe betrage 1,78 m. Die Einfriedungen, als auch der Standort der Wärmepumpe seien in der zunächst vorliegenden Planung nicht enthalten. Mit E-Mail des Beklagten vom 23. Juni 2020 an den Beigeladenen wurde die nicht maßstäbliche Plandarstellung moniert und Planzeichnungen nachgefordert.
		 
		
			11
			Mit Bescheid vom 30. Juni 2020 erteilte das Landratsamt … dem Beigeladenen „in Abänderung der mit Bescheid vom 23.01.2020 [gemeint 2019] (…) erteilten Baugenehmigung“ die bauaufsichtliche Genehmigung für die „Änderung hinsichtlich Lage der Garage, der Größe der Garage (inkl. Geräteraum), eine Gabionenwand und einer Wärmepumpe“ (Ziffer I.). In Ziffer II. folgen Auflagen, in Ziffer III. und IV. Kosten- und Gebührenregelungen. Zur Begründung führte das Landratsamt aus, dass die Baugenehmigung zu erteilen gewesen sei, da dem Vorhaben keine öffentlich-rechtlichen Vorschriften entgegenstünden, die im Baugenehmigungsverfahren zu prüfen seien.
		 
		
			12
			Gegen diesen Bescheid hat der Kläger durch seinen Prozessbevollmächtigten am 30. Juli 2020 Klage zum Verwaltungsgericht Ansbach erhoben. Zur Begründung führt er aus, dass bei gekippten und geöffneten Fenstern im unmittelbar an der Grundstücksgrenze gelegenen, derzeit ungenutzten, aber zur Vermietung vorgesehenen Schlafzimmer zur … straße hin die Wärmepumpe sowohl bei Tag als auch bei Nacht klar und deutlich zu hören sei. Die Richtwerte für ein allgemeines Wohngebiet würden nicht eingehalten. Weder die Gabionenwand noch die bauliche Einhausung der Wärmepumpe verbesserten die Lärmsituation. Nach Meinung des Klägers seien die Schallimmissionen durch die Wärmepumpe nach deren Umsituierung noch deutlicher zu hören. Zudem ströme über die Wärmepumpe Kaltluft auf das Grundstück des Klägers, da die Gabionenwand sowohl schall- als auch luftdurchlässig ausgeführt sei. Damit verletze die streitgegenständliche Wärmepumpe, gegen die sich der Kläger allein wende, das Gebot der Rücksichtnahme. Sämtliche dem Kläger bekannten Modelle arbeiteten leiser als dasjenige auf dem Grundstück des Beigeladenen. Die Wärmepumpe verursache auch am etwa einen Meter von der Grundstücksgrenze entfernten Schlafzimmerfenster des Klägers, welches in einem Abstand von 6 m Luftlinie zur Wärmepumpe liege, unzumutbaren Lärm. Der Betrieb der Pumpe überschreite zur Tag- und Nachtzeit die Werte der TA Lärm für ein allgemeines Wohngebiet. In diesem Punkt sei die Baugenehmigung auch zu unbestimmt, da der Beklagte nicht nur den Standort, sondern auch Richtwerte hätte festlegen müssen. Zudem sei weder die Marke der Anlage noch deren Produktdatenblatt mitgeteilt worden.
		 
		
		
			
			den Baugenehmigungsbescheid des Landratsamtes … vom 30. Juni 2020 aufzuheben.
		 
		
			14
			Der Beklagte beantragt,
		 
		
		
			15
			Zur Begründung führt er aus, dass das konkrete Modell der Wärmepumpe nicht vom Regelungsgehalt der Baugenehmigung umfasst sei, da dieses bereits nicht in den Bauvorlagen enthalten gewesen sei. Im Übrigen beurteile sich die Zulässigkeit der Änderungsvorhaben nach § 34 BauGB, es handele sich bei der näheren Umgebung um ein faktisches allgemeines Wohngebiet. In diesem seien Wohngebäude einschließlich haustechnischer Anlagen zur Wärmeerzeugung allgemein zulässig. Eine Verletzung des in § 15 Abs. 1 Satz 2 BauNVO verankerten Rücksichtnahmegebots liege nicht vor. Die strikte Anwendung der TA-Lärm würde den Umständen des Einzelfalles nicht gerecht werden. Das Wärmepumpenfundament sei gemäß den genehmigten Plänen auf der straßenzugewandten Seite positioniert. Hierdurch würden die besonders schützenswerten rückwärtigen Grundstücksbereiche geschont. Gleichzeitig sei der Abstand des dargestellten Wärmepumpenfundaments zur südlichen als auch zur nördlichen Grundstücksgrenze ungefähr gleich. Dessen Positionierung sei auch mit Blick auf die übrigen Nachbarn durchaus mit Rücksichtnahme erfolgt, indem unter Beachtung des ungünstigen Grundstückszuschnitts und unter Berücksichtigung der besonders schützenswerten rückwärtigen Grundstücksbereiche größtmögliche Abstände erreicht würden. Das klägerische und das Wohnhaus des Beigeladenen bildeten ein Doppelhaus. Aus dem Verzicht auf seitliche Grenzabstände an der gemeinsamen Grundstücksgrenze resultiere eine enge Wechselbeziehung, die jeden Grundstückseigentümer zugleich begünstige und belaste. Einerseits werde durch die Möglichkeit des Grenzanbaus die bauliche Nutzbarkeit erhöht, andererseits werde dieser Vorteil mit einem Verlust von Freiflächen, die dem Wohnfrieden dienten, erkauft. Es könne dem Bauherrn nicht zur Last gelegt werden, dass das klägerische Wohngebäude die Abstandsflächen nicht einhalte und damit selbst dazu beitrage, den Abstand zu möglichen Lärmquellen zu verringern. Die im Rahmen des Gebots der Rücksichtnahme vorzunehmende Interessenabwägung für die Positionierung des Wärmepumpenfundaments falle damit, unabhängig von einer schematischen Betrachtung nach TA Lärm, aus öffentlich-rechtlicher Sicht zugunsten des Bauherren aus. Schließlich werde der Kläger durch die erteilte Genehmigung nicht gehindert, dem Vorhaben gegebenenfalls entgegenstehende private Rechte vor den ordentlichen Gerichten geltend zu machen. Es sei nicht angezeigt, diesen Grundsatz des Nebeneinanders des öffentlichen und privaten Rechts dadurch auszuhöhlen, indem über das Gebot der Rücksichtnahme privatrechtliche Ansprüche in das Prüfprogramm des vereinfachten Baugenehmigungsverfahrens hineingezogen würden. Insofern sei aus Sicht des Landratsamtes auch keine weitere Konkretisierung der Baugenehmigung nötig gewesen. Der Gesetzgeber habe Wärmepumpen nämlich als sonstige Anlage der technischen Gebäudeausrüstung nach Art. 57 Abs. 1 Nr. 2 Buchst. a BayBO verfahrensfrei gestellt und dadurch grundsätzlich zum Ausdruck gebracht, dass er solchen Anlagen nur eine untergeordnete Bedeutung zumesse.
		 
		
			16
			Der Beigeladene stellt keinen Antrag.
		 
		
			17
			Wegen der weiteren Einzelheiten des Sach- und Streitstandes wird auf die Gerichtsakte sowie die Behördenakten Bezug genommen. Hinsichtlich des Verlaufs der mündlichen Verhandlung mit Augenscheinseinnahme am 28. Oktober 2021 wird auf das Sitzungsprotokoll sowie die gefertigten Lichtbilder verwiesen.
		 
		Entscheidungsgründe
		
			18
			Klagegegenstand ist ausschließlich der Bescheid des Beklagten vom 30. Juni 2020 in Form einer Tekturgenehmigung zur ursprünglichen Baugenehmigung vom 23. Januar 2019. Die Ausgangsbaugenehmigung wurde seitens des Klägers nicht gerichtlich angegriffen.
		 
		
			19
			1. Die zulässige Klage ist begründet.
		 
		
			20
			Der Baugenehmigungsbescheid vom 30. Juni 2020 ist rechtswidrig, verletzt den Kläger in seinen Rechten und ist damit aufzuheben, § 113 Abs. 1 Satz 1 VwGO.
		 
		
			21
			a) Eine Anfechtungsklage hat nach § 113 Abs. 1 Satz 1 VwGO dann Erfolg, wenn die angefochtene Baugenehmigung rechtswidrig ist und den Kläger in seinen Rechten verletzt. Dafür genügt bei der Drittanfechtungsklage nicht die objektive Verletzung einer Rechtsnorm. Die Rechtsverletzung muss sich aus einer Norm ergeben, die zumindest auch dem Schutz des Nachbarn dient (Schutznormtheorie, s. BayVGH, B.v. 23.6.2017 - 15 ZB 16.920 - BayVBl 2018, 596 Rn. 8). Zudem müssen die als verletzt gerügten Normen Teil des Prüfprogramms im Baugenehmigungsverfahren sein, Art. 68 Abs. 1 Satz 1 BayBO (Dirnberger in Busse/Kraus, BayBO, 141. EL März 2021, Art. 66 Rn. 537).
		 
		
			22
			Diese Voraussetzungen erfüllt der Bescheid des Beklagten vom 30. Juni 2020, weil er in Bezug auf eine nachbarschützende Vorschrift nicht hinreichend bestimmt im Sinne des Art. 37 Abs. 1 BayVwVfG ist.
		 
		
			23
			b) Eine Baugenehmigung kann die Rechte des Nachbarn auch dann verletzen, wenn sie entgegen Art. 37 Abs. 1 BayVwVfG hinsichtlich nachbarrechtsrelevanter Fragen zu unbestimmt ist. Unbestimmtheit in diesem Sinne liegt unter anderem dann vor, wenn wegen Fehlens oder Unvollständigkeit der Bauvorlagen bzw. mangels konkretisierender Inhalts- oder Nebenbestimmungen Gegenstand und Umfang der Baugenehmigung nicht eindeutig festgestellt und in Folge eine Verletzung von Nachbarrechten nicht eindeutig ausgeschlossen werden kann (BayVGH, B.v. 23.2.2021 - 15 CS 21.403 - juris Rn. 69; B.v. 30.7.2019 - 15 CS 19.1227 - juris Rn. 16 m.w.N.; Reidt in Battis/Krautzberger/Löhr, BauGB, 15. Aufl. 2022, Vorbm. zu §§ 29-38 Rn. 35 m.w.N.). Maßgeblich für den Rechtsschutz des Nachbarn ist dabei, dass er feststellen können muss, ob und in welchem Umfang er durch das Bauvorhaben betroffen ist (BayVGH, B.v. 5.7.2017 - 9 CS 17.603 - juris Rn. 13).
		 
		
			24
			Aus der Baugenehmigung vom 30. Juni 2020 geht nicht im obigen Sinne bestimmt genug hervor, inwieweit der Kläger im Gebot der Rücksichtnahme, welches Teil der gemäß Art. 59 Satz 1 Nr. 1 Buchst. a BayBO vorzunehmenden bauplanungsrechtlichen Prüfung ist, durch mögliche Lärmimmissionen hervorgerufen durch die Wärmepumpe betroffen ist.
		 
		
			25
			aa) Das bauplanungsrechtliche Rücksichtnahmegebot findet seine rechtliche Grundlage vorliegend in § 34 Abs. 2 BauGB i.V.m. § 4 BauNVO und § 15 Abs. 1 Satz 2 BauNVO, da sich Kläger- und Beigeladenengrundstück nach Aktenlage sowie den übereinstimmenden Angaben von Kläger und Beklagtem in einem faktischen allgemeinen Wohngebiet befinden.
		 
		
			26
			Nach § 15 Abs. 1 Satz 2 BauNVO sind die in den §§ 2-14 BauNVO aufgeführten baulichen Anlagen im Einzelfall unzulässig, wenn von ihnen Belästigungen oder Störungen ausgehen können, die nach der Eigenart des Baugebiets unzumutbar sind. Im Allgemeinen gilt, dass das Maß der gebotenen Rücksichtnahme von den besonderen Umständen des Einzelfalls abhängt. Je empfindlicher und schutzwürdiger die Stellung desjenigen ist, dem das Rücksichtnahmegebot im gegebenen Zusammenhang zu Gute kommt, desto mehr kann er an Rücksichtnahme verlangen. Je verständlicher und unabweisbarer die mit dem Vorhaben verfolgten Interessen sind, umso weniger braucht derjenige, der das Vorhaben verwirklichen will, Rücksicht zu nehmen. Abzustellen ist darauf, was einerseits dem Rücksichtnahmebegünstigten und andererseits dem Rücksichtnahmeverpflichteten nach Lage der Dinge zuzumuten ist (BayVGH, B.v. 20.3.2018 - 15 CS 17.2523 - juris Rn. 25). Dabei sind bei störenden Nutzungen auch die Anforderungen des § 22 Abs. 1 BImSchG für nicht immissionsschutzrechtlich genehmigungsbedürftige Anlagen zu beachten, also dass schädliche Umwelteinwirkungen im Sinne des § 3 Abs. 1 BImSchG verhindert werden, die nach dem Stand der Technik vermeidbar sind (§ 22 Abs. 1 Satz 1 Nr. 1 BImSchG) bzw. dass nach dem Stand der Technik unvermeidbare schädliche Umwelteinwirkungen auf ein Mindestmaß beschränkt werden (§ 22 Abs. 1 Satz 1 Nr. 2 BImSchG). Zur Bestimmung der Grenze der Zumutbarkeit von Umwelteinwirkungen ist grundsätzlich auf die Begriffsbestimmungen und materiell-rechtlichen Maßstäbe des Immissionsschutzrechts zurückzugreifen (BayVGH, B.v. 4.8.2008 - 1 CS 07.2770 - juris Rn. 21; Wolf in Busse/Kraus, BayBO, 141. EL März 2021, Art. 59 Rn. 54 f.). Im Falle von nicht immissionsschutzrechtlich genehmigungsbedürftigen Wärmepumpen ist zur Konkretisierung auf die Sechste Allgemeine Verwaltungsvorschrift zum Bundes-Immissionsschutzgesetz (Technische Anleitung zum Schutz gegen Lärm - TA Lärm) zurückzugreifen (so etwa SächsOVG, U.v. 20.8.2020 - 1 A 1194/17 - juris; VGH BW, B.v. 30.1.2019 - 5 S 1913/18 - juris Rn. 57).
		 
		
			27
			bb) Diesen Maßstab zugrunde gelegt ist die streitgegenständliche (Tektur-)Baugenehmigung entgegen Art. 37 Abs. 1 BayVwVfG zu unbestimmt, weil der Kläger aus ihr nicht entnehmen kann, ob durch die genehmigte Wärmepumpe schädliche Umwelteinwirkungen im Sinne des § 3 Abs. 1 BImSchG in Form von Geräuschimmissionen an seinem Wohnhaus zu erwarten sind, wenn ja, in welchem Maße und in Folge dessen, ob er im Gebot der Rücksichtnahme verletzt ist. Im Bescheid des Beklagten vom 30. Juni 2020 wird in Abänderung des Bescheides vom 23. Januar 2019, mit dem ursprünglich die Errichtung der Doppelhaushälfte mit einer Gas-Brennwertheizung genehmigt wurde, unter anderem lediglich „eine Wärmepumpe“ genehmigt. In den Tenorpunkten I. und II. sind weder Angaben zu den Kenngrößen der Anlage - wie etwa Konstruktionsmerkmale, maximale Schallleistungspegel, Tonhaltigkeit, Betriebszeiten - noch zielorientierte Festlegungen zum Lärmschutz enthalten (vgl. VG Würzburg, B.v. 25.9.2020 - W 5 S 20.1135 - juris Rn. 31 ff.; s.a. BayVGH, B.v. 18.10.2017 - 9 CS 16.883 - juris Rn. 26). Auch den in Bezug genommenen Bauvorlagen lassen sich bis auf die Situierung des Sockels der Wärmepumpe auf dem Vorhabengrundstück und damit auch den Abstand zum klägerischen Grundstück keine genaueren Angaben zur Wärmepumpe entnehmen. Das außerhalb und vor Beginn des Tekturgenehmigungsverfahrens seitens des Beigeladenen übersandte Datenblatt für eine von ihm zum Zwecke der Estrichtrocknung aufgestellten Wärmepumpe bleibt insoweit außer Betracht, da von diesem in der Baugenehmigung vom 30. Juni 2020 nicht einmal andeutungsweise die Rede ist. Angesichts der großen Bandbreite an verfügbaren Wärmepumpen auf dem Markt kann der Kläger allein aus der Position des gut 4 m von der gemeinsamen Grundstücksgrenze entfernten Sockels der Wärmepumpe nicht aus der Genehmigung ersehen, ob und inwieweit ihn diesbezügliche, die Grenze des Rücksichtnahmegebots überschreitende Lärmimmissionen treffen. Jedenfalls in der vorliegenden Konstellation einer Tekturgenehmigung, die den Wechsel von einer vormals genehmigten Gas-Brennwertheizung zu einer Wärmepumpe abdeckt und bei der die zu genehmigende Wärmepumpe naheliegender weise schon aufgestellt und in Betrieb war, wäre es zum einen erforderlich gewesen, den Typ und die maßgeblichen Kenngrößen der Wärmepumpe zum Genehmigungsgegenstand zu machen und den Bauherrn bei fehlenden Angaben im Bauantrag insoweit gemäß Art. 65 Abs. 2 Satz 1 BayBO zur Nachbesserung aufzufordern (VG Würzburg a.a.O. Rn. 33). Anders als etwa bei einem Neubauvorhaben oder einer umfangreichen Sanierung, bei der unter Umständen anfangs die konkret einzusetzende Wärmepumpe noch nicht feststeht, ergeben sich bei einem derart eng begrenzten Tekturgenehmigungsverfahren auch keine praktischen Probleme hinsichtlich der Angabe eines bestimmten Modells, da dem Bauherrn bekannt gewesen sein dürfte, welche Wärmepumpe konkret auf dem Vorhabengrundstück zum Einsatz kommen soll (hier wohl die, die er bereits zuvor ohne Genehmigung betrieben hatte). Zum anderen wäre - soweit nicht immissionsschutzfachlich anhand des Typs und der Positionierung der Wärmepumpe eine Einhaltung des einschlägigen Immissionsrichtwertes der TA Lärm zugunsten des Nachbarn sicher feststeht, was hier nicht der Fall ist - die für den Nachbarn maßgebende Zumutbarkeitsgrenze, etwa durch zielorientierte Immissionsrichtwerte nach Nr. 6 der TA Lärm festzusetzen gewesen (vgl. VG Würzburg a.a.O. Rn. 33). Ob deren Einhaltung anhand der Beschaffenheit der Wärmepumpe, ihrer Situierung und ggf. einer nach Maßgabe der Nr. 4.2 Buchst. c, Nr. 3.2.1 Abs. 2 TA Lärm aufgrund konkreter Anhaltspunkte absehbaren Vorbelastungswirkung gewährleistet ist bzw., falls im regelmäßigen Betrieb der Anlage mit einer Überschreitung der Immissionsrichtwerte zu rechnen ist, die genehmigte Nutzung schon in der Baugenehmigung durch konkrete Regelungen einzuschränken ist, ist nicht mehr Frage der Bestimmtheit des Bescheids, sondern dessen materieller Rechtmäßigkeit (VGH BW, B.v. 30.1.2019 - 5 S 1913/18 - juris Rn. 38). Alternativ denkbar wäre auf Basis des Leitfadens für die Verbesserung des Schutzes gegen Lärm bei stationären Geräten der Bund/Länder-Arbeitsgemeinschaft für Immissionsschutz (LAI) vom 28. August 2013, aktualisiert durch Beschluss vom 24. März 2020, bei gegebener Entfernung der Wärmepumpe zum nächsten Immissionsort je nach Gebietscharakter einen zulässigen Emissions- und Schalleistungspegel festzusetzen (S. 7 ff. des Leitfadens, der allerdings nicht für die Beurteilung von Anlagen, die tieffrequente tonale Geräusche abgeben geeignet ist, insofern müsste dann Nr. 7.3, Nr. A.1.5. des Anhangs der TA Lärm herangezogen werden). An diesem Ergebnis vermag auch die grundsätzliche Verfahrensfreiheit von Wärmepumpen als sonstige Anlagen der technischen Gebäudeausrüstung nach Art. 57 Abs. 1 Nr. 2 Buchst. b BayBO (Lechner/Busse in Busse/Kraus, BayBO, 143. EL Juli 2021, Art. 57 Rn. 154) nichts zu ändern, da auch bei Verfahrensfreiheit gemäß Art. 55 Abs. 2 BayBO die öffentlich-rechtlichen Vorschriften, insbesondere das Bauplanungs- und das Bauordnungsrecht einzuhalten sind (Lechner/Busse a.a.O. Rn. 18 ff.).
		 
		
			28
			Soweit der Beklagte zur Wahrung des Rücksichtnahmegebotes und damit mittelbar zur Bestimmtheit des streitgegenständlichen Bescheids anbringt, dass die Positionierung des Wärmepumpenfundaments auf der straßenzugewandten Seite und mit etwa gleichem Abstand sowohl zur südlichen als auch nördlichen Grundstücksgrenze erfolgt sei, wird dies nicht in Abrede gestellt, gleichwohl reicht es nicht dafür aus, dass der Kläger die Art und Weise seiner immissionsmäßigen Betroffenheit bzw. Nichtbetroffenheit feststellen kann. Schließlich vermag auch der zutreffende Hinweis des Beklagten, dass Kläger und Beigeladener wechselseitig auf die Einhaltung der seitlichen Abstandsflächen bei der Errichtung der Doppelhaushälften verzichtet hätten, eine Verletzung des Rücksichtnahmegebots nicht auszuschließen bzw. es dem Kläger mit Blick auf § 242 BGB zu untersagen, sich auf dieses mit Blick auf ihn treffende Immissionen zu berufen. Aus einem wechselseitigen Verzicht auf die Abstandsflächen bei der Errichtung von Doppelhaushälften kann nicht gefolgert werden, dass jeweils auch auf die Einhaltung des Rücksichtnahmegebots hinsichtlich Geräuschimmissionen verzichtet wird. Daraus kann sich nur eine - für die Frage der Bestimmtheit allerdings noch nicht relevante - verminderte Schutzwürdigkeit im Rahmen der inhaltlichen Prüfung des Rücksichtnahmegebots ergeben.
		 
		
			29
			Nach alldem ist es angesichts eines Abstands des Betonsockels der Wärmepumpe von der gemeinsamen Grundstücksgrenze auf den Bauvorlagen von etwa 4,2 m trotz der das Vorhabengrundstück einfriedenden Gabionenwand auch nicht im Sinne der Rechtsprechung des Bayerischen Verwaltungsgerichtshofs eindeutig ausgeschlossen, dass der Kläger im Gebot der Rücksichtnahme verletzt ist (BayVGH, B.v. 23.2.2021 - 15 CS 21.403 - juris Rn. 69). Das Gericht hat sich beim Ortstermin davon überzeugt, dass das Geräusch der bereits betriebenen Wärmepumpe auch vor dem nächstgelegenen Fenster im Erdgeschoss des klägerischen Wohngebäudes wahrnehmbar ist, insofern eine Betroffenheit des Klägers im Gebot der Rücksichtnahme durch Geräuschimmissionen mindestens möglich erscheint.
		 
		
			30
			c) Die Baugenehmigung vom 30. Juni 2020 ist wegen nachbarrechtsrelevanter Unbestimmtheit rechtswidrig und damit insgesamt aufzuheben. Lediglich eine Teilaufhebung kommt nicht in Betracht, da eine Baugenehmigung im Grundsatz unteilbar ist. Ausnahmsweise, wenn das Bauvorhaben in dem Umfang, in dem es keine nachbarschützenden Vorschriften verletzt, genehmigungsfähig und vom Antragsteller auch so gewollt ist, ist auch eine teilweise Aufhebung möglich. Hierfür genügt allerdings nicht, dass der Rest der Genehmigung für sich genommen rechtmäßig wäre (Wolff in Sodan/Ziekow, VwGO, 5. Aufl. 2018, § 113 Rn. 163). Hinsichtlich des streitgegenständlichen Bescheides liegt es nahe, dass zumindest die genehmigte Wärmepumpe und die Einfriedung des Vorhabengrundstücks durch die Gabionenwand dergestalt in einem Zusammenhang stehen, dass letztere auch dem Schutz des Nachbarn und Klägers vor Geräuscheinwirkungen durch die sich innerhalb des durch die Gabionenwand gebildeten Rechtecks stehende Wärmepumpe dient. Insofern kann nicht sicher davon ausgegangen werden, dass der Beigeladene die Gabionenwand auch gewollt hätte, wenn er von der Rechtswidrigkeit der Genehmigung der Wärmepumpe ausgegangen wäre. Dann nämlich wäre er auf den Stand der ursprünglichen Baugenehmigung für den Neubau einer Doppelhaushälfte mit einer weniger immissionsträchtigen Gasheizung zurückgeworfen. Dies zugrunde gelegt würden quantitativ etwa 2/3 der Baugenehmigung wegfallen und es bliebe eine Genehmigung für die Versetzung und größenmäßige Veränderung der Garage. Da keine entsprechende Äußerung des Beigeladenen, der Bauträger ist, vorliegt, kann nicht davon ausgegangen werden, dass er bei einer Reihe von einheitlich zur (Tektur-)Genehmigung gestellten baulichen Veränderungen, die die ursprünglich mit Bescheid vom 23. Januar 2019 genehmigte Errichtung einer Doppelhaushälfte modifizieren, nur diesen Genehmigungstorso isoliert erhalten wollen würde. Vielmehr liegt auch wegen der bereits vor Erteilung der Baugenehmigung vom 30. Juni 2020 erfolgten Errichtung der Gabionenwand und dem Betrieb der Wärmepumpe (Baukontrolle vom 10. Juni 2020) nahe, dass dem Beigeladenen an einer einheitlichen Legalisierung des von ihm gewünschten Endzustandes des Vorhabens gelegen ist.
		 
		
			31
			2. Die Kostenentscheidung folgt aus § 161 Abs. 1, § 154 Abs. 1, Abs. 3 VwGO. Dem Beigeladenen waren keine Kosten aufzuerlegen, da er keinen Antrag gestellt hat und somit kein Prozessrisiko eingegangen ist. Seine außergerichtlichen Kosten hat er selbst zu tragen, da er ebenfalls unterlegen ist, § 162 Abs. 3 VwGO.
		 
		
			32
			Der Ausspruch zur vorläufigen Vollstreckbarkeit basiert auf § 167 Satz 1 VwGO i.V.m. §§ 708 Nr. 11, 711 ZPO.