Inhalt

VG München, Urteil v. 06.12.2021 – M 8 K 19.5689
Titel:

Vorbescheid für Neubau eines Mehrfamilienhauses im rückwärtigen Teil eines Grundstücks

Normenketten:
BayBO Art. 71
BauGB § 34 Abs. 1
Leitsätze:
1. In der Regel gilt bei einem inmitten eines Wohngebiets gelegenen Vorhaben als Bereich gegenseitiger Prägung das Straßengeviert und die gegenüberliegende Straßenseite. (Rn. 22) (redaktioneller Leitsatz)
2. Der in § 34 Abs. 1 S. 1 BauGB verwendete Parameter „Grundstücksfläche, die überbaut werden soll“ umfasst sowohl die konkrete Größe der Grundfläche der baulichen Anlage im Sinne einer absoluten Zahl als auch ihre räumliche Lage innerhalb der vorhandenen Bebauung. (Rn. 26) (redaktioneller Leitsatz)
3. Ob eine rückwärtige Bebauung eines Grundstücks zulässig ist, hängt im Wesentlichen davon ab, in welchem Umfang die den Maßstab bildenden umliegenden Grundstücke eine rückwärtige Bebauung aufweisen. Für die Annahme einer faktischen Baugrenze müssen wegen der einschränkenden Wirkung auf das Grundeigentum hinreichende Anhaltspunkte für eine städtebaulich verfestigte Situation bestehen. (Rn. 26 – 27) (redaktioneller Leitsatz)
4. Die Bebauungstiefe beschreibt die überbaubare Grundstücksfläche, anders als die faktische Baugrenze durch ein festes Maß der maximalen Entfernung von der Erschließungsstraße. Sie ist regelmäßig von der jeweiligen Erschließungsstraße aus zu bemessen. (Rn. 28) (redaktioneller Leitsatz)
5. Im Rahmen des § 34 Abs. 1 BauGB gehört zum Tatbestandsmerkmal des „Einfügens nach dem Maß der baulichen Nutzung“ bei offener Bebauung auch das Verhältnis des Gebäudes zur umliegenden Freifläche. (Rn. 33) (redaktioneller Leitsatz)
Schlagworte:
Vorbescheid: Neubau eines Mehrfamilienhauses im rückwärtigen Teil des Grundstücks, Überbaubare Grundstücksfläche (Faktische hintere Baugrenze Bebauungstiefe), Maß der baulichen Nutzung (Blockinnenbebauung kein Strukturschnitt), Vorbescheid, Neubau eines Mehrfamilienhauses im rückwärtigen Teil des Grundstücks, Überbaubare Grundstücksfläche, Faktische hintere Baugrenze, Bebauungstiefe, Maß der baulichen Nutzung, Blockinnenbebauung, Strukturschnitt, Erschließungsstraße, Freifläche
Fundstelle:
BeckRS 2021, 41757

Tenor

I. Soweit die Klage zurückgenommen wurde, wird das Verfahren eingestellt.     Im Übrigen wird die Beklagte, unter Aufhebung des Vorbescheids vom 9. Oktober 2019 nach PlanNr. ... hinsichtlich Frage 1 verpflichtet, den Vorbescheidsantrag vom 15. Juli 2019 nach PlanNr. ... hinsichtlich Frage 1 positiv zu verbescheiden.
II. Die Beklagte hat ¾, der Kläger ¼ der Kosten des Verfahrens zu tragen.
III. Die Kostenentscheidung ist für den Kläger gegen Sicherheitsleistung in Höhe des vollstreckbaren Betrags, für die Beklagte ohne Sicherheitsleistung vorläufig vollstreckbar. Der Kläger darf die Vollstreckung durch Sicherheitsleistung oder Hinterlegung in Höhe des vollstreckbaren Betrags abwenden, wenn nicht die Beklagte vorher Sicherheit in gleicher Höhe leistet.

Tatbestand

1
Der Kläger begehrt die Erteilung eines positiven Vorbescheids betreffend den Neubau eines Gebäudes mit Tiefgarage im rückwärtigen Teil des Grundstücks …allee 20, FlNr. …, Gem. … (im Folgenden: Vorhabengrundstück). Der Kläger ist Eigentümer dieses Grundstücks.
2
Das Grundstück liegt im Geviert …allee, … straße, … straße und … straße. Das Grundstück liegt nicht im Geltungsbereich eines Bebauungsplans. Entlang der …-, …- und … straße ist eine straßenseitige Baulinie durch übergeleiteten Baulinienplan festgesetzt.
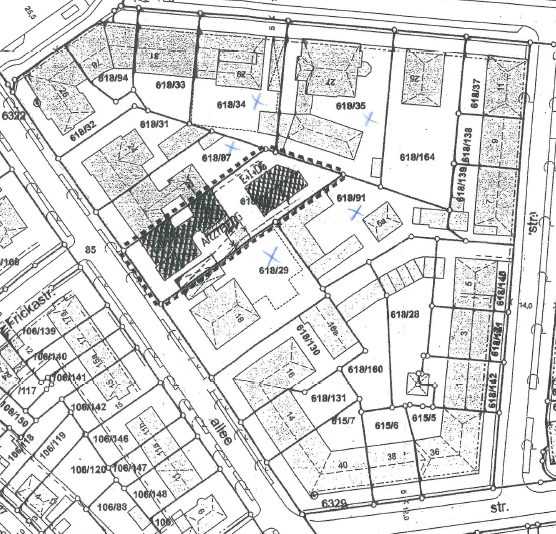
3
Vergleiche zur baulichen Situation auf dem Vorhabengrundstück sowie zur Umgebungsbebauung folgenden Lageplan im Maßstab 1:1000 (durch das Einscannen eventuell nicht mehr maßstabsgetreu), der das streitgegenständliche Vorhaben enthält:
4
Am 15. Juli 2019 stellte der Kläger einen Vorbescheidantrag nach PlanNr. … für die Errichtung eines Rückgebäudes mit Tiefgarage und baulicher Änderungen / Sanierungen am Vordergebäude, insbesondere den Anbau von Balkonen. Nach den eingereichten Plänen ist im rückwärtigen Teil des Vorhabengrundstücks ein Mehrfamilienhaus E + 1 + DG mit einer Grundfläche von 139,44 m² und einer Traufhöhe von 6,00 m und einer Firsthöhe von 9,8 m vorgesehen. Der Vorbescheidsantrag enthielt folgende Fragen:
5
Frage 1: Ist das Vorhaben hinsichtlich Art und Nutzung gem. § 34 BauGB planungsrechtlich zulässig? […]
6
Ist der Baukörper mit 9,60 m x 15,50 m Hauptabmessungen in der dargestellten Form zulässig, mit EG/ 1. OG mit ausgebautem Dach als Nachverdichtung des Grundstücks?
7
Frage 2 betraf den Anbau von sieben Balkonen am Vordergebäude.
8
Mit Vorbescheid vom 9. Oktober 2019 beantwortete die Beklagte den Vorbescheid negativ. Zu Frage 1 wurde ausgeführt, dass der Bau eines rückwärtigen Gebäudes planungsrechtlich nicht zulässig sei. Die abgefragte Bebauung füge sich nicht in die nähere Umgebung ein, welche Baukörpertiefen von maximal 30 m aufweise. Als nähere Umgebung sei das Geviert …allee, … straße, … straße und … straße anzusehen. Das Geviert werde geprägt von drei- bis viergeschossigen Gebäuden mit geneigten Dächern, welche als Sattel- und Walmdächer ausgestaltet seien. Mit der …str. 27 und dem Bestandsgebäude …allee 20/22 seien Gebäude im Geviert vorhanden, welche rückwärtige Anbauten ausbilden würden, wobei die …str. 27 mit einem eingeschossigen Rückgebäude eine maximale Baukörpertiefe von 30 m erreiche. Die dreigeschossigen Bestandsgebäude …allee 20/22 würden eine Baukörpertiefe von 26 m erreichen. Mit dem eingeschossigen Wohngebäude …allee 16a finde sich ein grenzständiges Rückgebäude im Innenbereich des Gevierts. Das Gebäude stehe im Geviert singulär als grenzständiges Rückgebäude und sei als Ausreißer zu werten, welcher nicht an der Prägung des Gevierts hinsichtlich des Maßes der Bebauung teilnehme.
9
Mit Schriftsatz vom 14. November 2019, am selben Tag per Telefax bei Gericht eingegangen, erhob der Kläger Klage. In der mündlichen Verhandlung wurde die Klage hinsichtlich Frage 2 des Vorbescheids zurückgenommen. Der Kläger beantragt zuletzt,
10
I. Der Vorbeschied der Beklagten vom 9. Oktober 2019 wird insoweit aufgehoben, als die Frage 1 hinsichtlich der bauplanungsrechtlichen Zulässigkeit der Errichtung eines Rückgebäudes verneint wurde.
11
II. Die Beklagte wird verpflichtet, dem Kläger einen positiven Vorbescheid zu „Frage 1“ des Vorbescheidsantrags vom 15. Juli 2019 zu erteilen.
12
Zur Begründung führten die Bevollmächtigten des Klägers aus, das Vorhaben füge sich in die nähere Umgebung ein. Die nähere Umgebung weise keine faktischen rückwärtigen Baugrenzen oder Baulinien auf. Die Bebauung im Geviert sei völlig uneinheitlich. Es liege eine Gemengelage aus unterschiedlichsten Haupt- und Nebennutzungen vor. Ein städtebaulicher Wille lasse sich nicht erkennen. Insbesondere sei nicht erkennbar, dass die Beklagte den rückwärtigen Bereich des Gevierts von Bebauung freihalten wolle, um einen durchgrünten Ruhebereich zu schaffen, nachdem sich in diesem Bereich großflächig Garagennutzungen befänden. Eine städtebauliche Linie, welche hier zur Annahme einer rückwärtigen Baugrenze oder Baulinie führen könne, sei nicht vorhanden. Jedenfalls würde das Vorhaben - wegen der Unikatsstellung des Grundstücks im Geviert - keine bodenrechtlichen Spannungen auslösen.
13
Die Beklagte beantragt,
14
die Klage abzuweisen.
15
Sie führt aus, für die Beurteilung der prägenden Umgebung bezüglich des Nutzungsmaßes und der überbaubaren Grundstücksflache sei das Geviert maßgeblich - ausgenommen des südlich blockartig bebauten Bereiches an der Ecke … straße bis … straße 5 sowie …allee 16a -, der eine eigene Bebauungsstruktur aufweise. Das Vorhaben füge sich insbesondere im Hinblick auf die überbaubare Grundstücksfläche nicht ein. Eine völlig uneinheitliche Bebauung liege nicht vor. In der … straße 27 sei ein Bestandsgebäude mit einer Bebauungstiefe von ca. 30 m vorhanden, das städtebaulich in Bezug auf die hier relevanten Hauptnutzungen den Rahmen vorgebe. Die hinteren Bereiche ab dieser Bebauungstiefe seien von Hauptnutzungen freizuhalten. Die vorhandene Bebauung in der maßgeblichen Umgebung stelle nicht nur ein Zufallsergebnis dar, da hier im rückwärtigen Bereich der Grundstücke, abgesehen von untergeordneten Nebenanlagen, ein begrünter Innenhofbereich mit Bäumen liege. Bei dem Gebäude …str. 5a handele sich hingegen aufgrund des Grundstückszuschnitts und der Lage als Hinterliegergrundstück um eine besondere Konstellation. Als Ausreißer sei das Hauptgebäude für die Prägung nicht entscheidend. Zudem stelle es keinen Bezugsfall dar. Auch die … straße 16a sei, soweit sie in die nähere Umgebung einzubeziehen sei, ein Ausreißer und würde außerdem hinsichtlich der angestrebten Bebauungstiefe keinen Bezugsfall darstellen. Die vorhandene Bebauung im hinteren Bereich sei zudem stets eingeschossig. Ein Bezugsfall für eine solch massive Bebauung sei nicht vorhanden und würde bodenrechtliche Spannungen hervorrufen. Zudem füge sich das Vorhaben hinsichtlich des Verhältnisses der Gebäude zu den nicht überbauten Freiflächen nicht ein.
16
Über die baulichen Verhältnisse auf dem streitgegenständlichen Grundstück sowie in dessen Umgebung hat das Gericht am 6. Dezember 2021 Beweis durch Einnahme eines Augenscheins erhoben. Hinsichtlich der Feststellungen dieses Augenscheins sowie der anschließenden mündlichen Verhandlung wird auf das Protokoll verwiesen.
17
Wegen der weiteren Einzelheiten des Sachverhalts und dem weiteren Vorbringen der Beteiligten wird auf die Gerichts- und die vorgelegten Behördenakten verwiesen.

Entscheidungsgründe

18
1. Soweit die Klage nicht aufrechterhalten wurde, war das Verfahren gemäß § 92 Abs. 3 Verwaltungsgerichtsordnung (VwGO) einzustellen. Da die Klage nur teilweise zurückgenommen wurde, war kein gesonderter Einstellungsbeschluss zu erlassen. Vielmehr konnte die Entscheidung über die Verfahrenseinstellung gemäß § 92 Abs. 3 Satz 1 VwGO und die Kostentragung gemäß § 155 Abs. 2 VwGO zusammen mit der Sachentscheidung über den nicht zurückgenommenen Teil der Klage im Urteil getroffen werden (vgl. BVerwG, U.v. 6.2.1963 - V C 24/61 - NJW 1963, 923).
19
2. Im Übrigen ist die Klage zulässig und hat auch in der Sache Erfolg. Der Kläger hat einen Anspruch auf positive Beantwortung von Frage 1 des Vorbescheids gem. Art. 71 Satz 4, 68 Abs. 1 Satz 1 Halbs. 1 Bayerische Bauordnung (BayBO), da das Vorhaben soweit abgefragt bauplanungsrechtlich zulässig ist (vgl. § 113 Abs. 5 Satz 1 VwGO).
20
Auf Antrag des Bauherrn ist schon vor Einreichung des Bauantrags zu einzelnen Fragen des Bauvorhabens ein Vorbescheid zu erteilen (Art. 71 Satz 1 BayBO). Gem. Art. 71 Satz 4 i.V.m. 68 Abs. 1 Satz 1 Halbs. 1 BayBO ist ein positiver Vorbescheid zu erteilen, wenn dem Bauvorhaben, soweit seine Zulässigkeit abgefragt wurde, keine öffentlich-rechtlichen Vorschriften entgegenstehen, die im bauaufsichtlichen Genehmigungsverfahren zu prüfen sind. Insoweit stellt der Vorbescheid als feststellender Verwaltungsakt die Vereinbarkeit des Vorhabens mit öffentlichen-rechtlichen Vorschriften, die Gegenstand der Vorbescheidsfragen sind, fest und entfaltet während seiner Geltungsdauer (vgl. Art. 71 Satz 2, 3 BayBO) Bindungswirkung.
21
Die bauplanungsrechtliche Zulässigkeit richtet sich vorliegend nach § 34 Abs. 1 BauGB. Gem. § 34 Abs. 1 Satz 1 BauGB ist ein Vorhaben innerhalb eines im Zusammenhang bebauten Ortsteils nur zulässig, wenn es sich nach Art und Maß der baulichen Nutzung, der Bauweise und der Grundstücksfläche, die überbaut werden soll, in die Eigenart der näheren Umgebung einfügt und die Erschließung gesichert ist.
22
2.1. Maßgeblicher Beurteilungsrahmen für das Vorhaben ist die Eigenart der näheren Umgebung. Berücksichtigt werden muss die Umgebung zum einen insoweit, als sich die Ausführung des Vorhabens auf sie auswirken kann, und zum anderen insoweit, als die Umgebung ihrerseits den bodenrechtlichen Charakter des Baugrundstücks prägt oder doch beeinflusst. Welcher Bereich als „nähere Umgebung“ anzusehen ist, hängt davon ab, inwieweit sich einerseits das geplante Vorhaben auf die benachbarte Bebauung und andererseits sich diese Bebauung auf das Baugrundstück prägend auswirken (BayVGH, U. v. 18.7.2013 - 14 B 11.1238 - juris Rn. 19 m.w.N.). Daraus folgt, dass nicht nur die unmittelbare Nachbarschaft des Baugrundstücks zu berücksichtigen ist, sondern auch die Bebauung der Umgebung insoweit berücksichtigt werden muss, als auch diese noch prägend auf das Baugrundstück wirkt (Ernst/Zinkahn/Bielenberg/Krautzberger, BauGB, Stand: Mai 2021, § 34 Rn. 36). Wie weit diese wechselseitige Prägung reicht, ist eine Frage des Einzelfalls. Die Grenzen der näheren Umgebung lassen sich nicht schematisch festlegen, sondern sind nach der städtebaulichen Situation zu bestimmen, in die das für die Bebauung vorgesehene Grundstück eingebettet ist. In der Regel gilt bei einem inmitten eines Wohngebiets gelegenen Vorhaben als Bereich gegenseitiger Prägung das Straßengeviert und die gegenüberliegende Straßenseite (BayVGH, B.v. 27.9.2010 - 2 ZB 08.2775 - juris Rn. 4; U.v. 10.7.1998 - 2 B 96.2819 - juris Rn. 25; U.v. 18.7.2013 - 14 B 11.1238 - juris Rn. 19).
23
Dabei ist die nähere Umgebung für jedes der in § 34 Abs. 1 Satz 1 BauGB aufgeführten Zulässigkeitsmerkmale gesondert zu ermitteln, weil die prägende Wirkung der jeweils maßgeblichen Umstände unterschiedlich weit reichen kann (BVerwG, B.v. 6.11.1997 - 4 B 172.97, NVwZ-RR 1998, 539; BayVGH, U.v. 18.7.2013 - 14 B 11.1238 - juris Rn. 19). Bei den Kriterien Nutzungsmaß und überbaubare Grundstücksfläche ist der maßgebliche Bereich in der Regel enger zu begrenzen als bei der Nutzungsart (BayVGH, B v. 16.12.2009 - 1 CS 09.1774 - juris Rn. 21 m.w.N.).
24
2.2. Dies zugrunde gelegt, stellt das Gebiet, das durch die …-, …-, und … straße sowie die …allee begrenzt wird, die maßgebliche nähere Umgebung dar. Hier befinden sich auf unterschiedlich großen Grundstücken in Kubatur und Höhenentwicklung ähnliche, bis zu viergeschossige Wohnhäuser mit vereinzelt gewerblichen Nutzungen in den Erdgeschossen bzw. in den Rückgebäuden in offener und geschlossener Bauweise. Entgegen der Ansicht der Beklagten gehört auch der südlich blockartig bebaute Bereich von der Ecke …allee 16a bis … straße 5 angesichts der unmittelbaren Nähe zum Vorhabengrundstück zur maßgeblichen Umgebung. Im Rahmen des gerichtlichen Augenscheins konnte keine Zäsur festgestellt werden. Insbesondere kann nicht davon ausgegangen werden, dass der nordwestliche Bereich des Gebiets sich durch eine abweichende, aufgelockerte Bebauung abhebt. Vielmehr ist auch in diesem Bereich eine geschlossene Blockrandbebauung (* … straße 29 bis …allee 26) vorhanden und rückwärtige Bebauung zu verzeichnen (* …str. 27, …str. 5a).
25
2.3. Das streitgegenständliche Vorhaben fügt sich hinsichtlich der überbaubaren Grundstücksfläche in die nähere Umgebung ein. Entgegen der Ansicht der Beklagten ergeben sich keine rückwärtige, faktische Baugrenze oder prägende Bebauungstiefe, die der positiven Beantwortung der Vorbescheidsfrage entgegenstehen.
26
2.3.1. Der in § 34 Abs. 1 Satz 1 BauGB verwendete Parameter „Grundstücksfläche, die überbaut werden soll“ umfasst sowohl die konkrete Größe der Grundfläche der baulichen Anlage im Sinne einer absoluten Zahl als auch ihre räumliche Lage innerhalb der vorhandenen Bebauung (vgl. BVerwG, U.v. 15.4.1987 - 4 B 60/87 - juris Rn. 2; B.v. 16.6.2009 - 4 B 50/08 - juris Rn. 4). Damit werden an das zweite Tatbestandsmerkmal des Parameters „Grundstücksfläche, die überbaut werden soll“ Anforderungen an die räumliche Lage des Baukörpers auf dem Grundstück gestellt, bei denen zu prüfen ist, ob sich aus der als Vergleichsmaßstab heranzuziehenden Umgebungsbebauung Beschränkungen in Form von faktischen Baulinien / Baugrenzen entnehmen lassen, welche bei einer Realisierung des Bauvorhabens beachtet werden müssen. Ob eine rückwärtige Bebauung eines Grundstücks zulässig ist, hängt im Wesentlichen davon ab, in welchem Umfang die den Maßstab bildenden umliegenden Grundstücke eine rückwärtige Bebauung aufweisen (BVerwG, B.v. 12.8.2019 - 4 B 1/19 - juris Rn. 6).
27
Für die Annahme einer faktischen Baugrenze müssen wegen der einschränkenden Wirkung auf das Grundeigentum hinreichende Anhaltspunkte für eine städtebaulich verfestigte Situation bestehen. Die tatsächlich vorhandene Bebauung und die daraus entstehende Baugrenze zu einer nicht überbaubaren Grundstücksfläche darf kein bloßes „Zufallsprodukt“ ohne eigenen städtebaulichen Aussagewert sein (vgl. BayVGH, B.v. 3.3.2016 - 15 ZB 14.1542 - juris Rn. 12 m.w.N.). Bei einer unterschiedlichen Bebauung ohne gemeinsame vordere oder hintere Gebäudeflucht kann eine faktische vordere bzw. rückwärtige Baugrenze nicht angenommen werden (vgl. BayVGH, B.v. 9.9.2013 - 2 ZB 12.1544 - juris Rn. 8).
28
Die Bebauungstiefe beschreibt die überbaubare Grundstücksfläche, anders als die faktische Baugrenze durch ein festes Maß der maximalen Entfernung von der Erschließungsstraße. Sie ist regelmäßig von der jeweiligen Erschließungsstraße aus zu bemessen (vgl. BVerwG, B.v. 12.8.2019 - 4 B 1.19 - juris Rn. 6; B.v. 16.6.2009 - 4 B 50/08 - juris Rn. 4; VG München, U.v. 3.7.2017 - M 8 K 16.3153 - juris Rn. 60; B.v. 6.4.2017 - M 8 SN 17.676 - juris Rn. 93).
29
2.3.2. In der hier maßgeblichen näheren Umgebung besteht keine Bebauung, aus der sich eine verfestigte städtebauliche Ordnung im Hinblick auf die faktisch überbaubare Grundstücksfläche ergibt.
30
Die Kammer kann unter Berücksichtigung der beim Augenschein gewonnen Erkenntnisse und unter Heranziehung des amtlichen Lageplans bzw. Luftbilds keine faktische Baugrenze oder faktische Bebauungstiefe erkennen. Die Gebäude im Geviert weisen zwar eine relativ einheitliche vordere, jedoch keine gemeinsame rückwärtige Gebäudeflucht auf. Die maßstabbildende Umgebung verfügt in Gestalt der Rückgebäude auf den Grundstücken … straße 27, …allee 16a und … straße 5a über eine erhebliche Blockinnenbebauung. Eine einheitliche Gebäudeflucht ist entlang der …allee auf der Gebäuderückseite auch wegen erheblicher Vor- und Rücksprünge der Gebäude …alle 20, 22 sowie der …allee 24, 18 und 16 nicht zu erkennen. Der besondere Zuschnitt des maßgeblichen Gebiets bedingt, dass die Grundstücke in der Mitte des Gevierts deutlich tiefer sind als die Grundstücke an der Ecke …allee/ … straße bzw. entlang der …- und … straße. Eine Einheitlichkeit der Bebauung lässt sich nicht erkennen. Vielmehr wird der Bauraum, der durch die besonderen Grundstückszuschnitte entsteht, in weiten Teilen ausgeschöpft. Ein (beplanzter bzw. begrünter) innerer Ruhebereich, der erkennbar von Bebauung freizuhalten ist, existiert nicht. Eine definierbare und formulierbare Regel lässt sich aus der Umgebungsbebauung nicht ableiten (vgl. BayVGH, U.v. 26.10.2021 - 15 B 19.2130 -, juris Rn. 54), vielmehr zeichnet sich die tatsächlich vorhandene Bebauung dadurch aus, dass eine Struktur nicht ablesbar ist.
31
2.4. Das streitgegenständliche Vorhaben fügt sich auch hinsichtlich des Maßes der baulichen Nutzung in die nähere Umgebung ein.
32
Die für die Beurteilung des Maßes der Nutzung maßgebliche nähere Umgebung ist vorliegend nicht auf das Blockinnere beschränkt. Es liegt kein klarer Strukturschnitt zwischen der Blockaußen- und Blockinnenbebauung dergestalt vor, dass - abweichend von den Ausführungen zur Bestimmung der näheren Umgebung (vgl. oben) - die nähere Umgebung hinsichtlich der Frage nach dem Einfügen nach dem Maß der baulichen Nutzung (ausnahmsweise) auf den Blockinnenbereich zu begrenzen ist. Vorliegend treffen keine unterschiedlichen Bau- und Nutzungsstrukturen im Blockinnen- und Blockaußenbereich aufeinander. Der Annahme eines Strukturschnitts steht schon entgegen, dass insbesondere das Vordergebäude auf dem Vorhabengrundstück und der …allee 22 tief in das Geviertsinnere hineinragt. Auch das Rückgebäude … straße 27 bleibt in seiner Kubatur, insbesondere seiner Grundfläche, nicht erheblich hinter der Blockrandbebauung zurück. Dieser Eindruck wird dadurch verstärkt, dass das Rückgebäude der … straße 27 mit dem Vordergebäude baulich verbunden ist. Ein klarer Schnitt zwischen Vorder- und Rückgebäude besteht nicht. In diesen maßgebenden Rahmen fügt sich das streitgegenständliche Vorhaben (E + 1 + DG) in seiner Geschossigkeit bzw. Höhenentwicklung ein.
33
Im Rahmen des § 34 Abs. 1 BauGB gehört zum Tatbestandsmerkmal des „Einfügens nach dem Maß der baulichen Nutzung“ bei offener Bebauung auch das Verhältnis des Gebäudes zur umliegenden Freifläche (BVerwG, B.v. 14.3.2013 - 4 B 49/12 - juris; B.v. 3.4.2014 - 4 B 12/14 -juris Rn. 3 m.w.N.; BVerwG, U. v. 8.12.2016 - 4 C 7/15 - juris Ls. 2). Selbst wenn man die Rechtsprechung des Bundesverwaltungsgerichts dahin auslegen würde, dass der Maßbestimmungsfaktor „Verhältnis von bebauter zu unbebauter Fläche“ nicht nur heranzuziehen ist, wenn das maßgebliche Gebiet ausschließlich durch offene Bauweise geprägt wird, sondern auch wenn wie hier sowohl offene als auch geschlossene Bauweise zulässig ist, würde sich das streitgegenständliche Bauvorhaben auch nach dem Verhältnis von bebauter zu unbebauter Fläche in die Eigenart der näheren Umgebung einfügen. Um zu ermitteln, ob eine vergleichbare Dichtestruktur vorliegt, sind insbesondere auch die Abstände der Gebäude zueinander heranzuziehen (vgl. VG München, U.v. 9.11.2020 - M 8 K 20.2917 - juris), zumal hier angesichts unterschiedlicher Grundstückszuschnitte kein Vergleich anhand einer Maßzahl erfolgen kann. Sowohl das Gebäude … straße 27, als auch das Gebäude …allee 18 weisen dabei deutlich kürzere Gebäudeabstände zur benachbarten Bebauung als das streitgegenständliche Bauvorhaben auf (ca. 9 - 13m zu jeweils zwei Seiten). Unberücksichtigt bleiben insoweit Nebengebäude (BVerwG, U.v. 8.12.2016 - 4 C 7/15 - juris).
34
2.5. Hinsichtlich der Art der baulichen Nutzung fügt sich das Vorhaben unproblematisch in die durch Wohnnutzung geprägte nähere Umgebung ein.
35
3. Soweit das Verfahren eingestellt wurde, beruht Kostenentscheidung auf § 155 Abs. 2 VwGO. Im Übrigen beruht sie auf § 154 Abs. 1 VwGO.
Die Entscheidung über die vorläufige Vollstreckbarkeit der Kostenentscheidung folgt aus § 167 VwGO i.V.m. §§ 708 ff. Zivilprozessordnung (ZPO)