Inhalt

VG München, Beschluss v. 02.12.2021 – M 8 SN 21.5095
Titel:

Teilweise erfolgreicher Eilantrag gegen Baugenehmigung zum Neubau von acht Stadthäusern

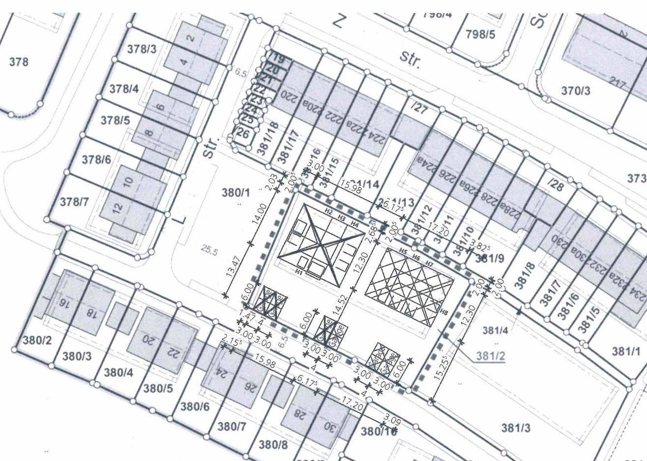
Normenketten:
VwGO § 80 Abs. 5 S. 1, § 80a Abs. 3
BayBO Art. 6, Art. 7 Abs. 1, Art. 91 Abs. 3
Leitsätze:
1. Art. 7 Abs. 1 S. 1 BayBO 1982 bestimmte, dass in Bebauungsplänen oder auf Grund von örtlichen Bauvorschriften nach Art. 91 Abs. 1 Nr. 5 und Nr. 6 BayBO 1982 andere Abstandsflächen festgelegt werden können als sich nach Art. 6 BayBO 1982 ergaben. Obschon Art. 7 Abs. 1 S. 1 BayBO 1982 dies nicht mehr ausdrücklich festlegte (so jedoch noch die Vorgängerregelung Art. 107 Abs. 4 BayBO 1974), musste es sich um Bebauungspläne nach Art. 91 Abs. 3 BayBO 1982 handeln. (Rn. 25 – 26) (redaktioneller Leitsatz)
2. Für eine abweichende Festsetzung geringerer Abstandsflächen im Bebauungsplan waren grds. besondere örtliche, planerische oder bauliche Verhältnisse erforderlich. Eine generelle, nicht vermaßte Verkürzung der Abstandsflächen für sämtliche Gebäude war unzulässig. Die allgemeine Festsetzung von Abstandsflächen, die sich bei Ausnutzung der Bebauungsplanfestsetzungen über das Maß der baulichen Nutzung ergaben, reichte nicht aus. (Rn. 32 – 34) (redaktioneller Leitsatz)
Schlagworte:
Abstandsflächenverstoß, 16-m-Privileg, Unterschreitung von 1 H vor mehr als zwei Außenwänden, Satzungsregel nach Art. 7 Abs. 1 BayBO 1982, Bebauungsplan Nr. 57al, baurechtliche Nachbarklage, Bebauungsplan
Fundstelle:
BeckRS 2021, 41724

Tenor

I. Die aufschiebende Wirkung der Klage vom 24. September 2021 (M 8 K 21.5093) gegen die der Beigeladenen erteilte Baugenehmigung vom 17. August 2021 nach PlanNr. … (Haus 5 - 8) wird angeordnet.
Im Übrigen wird der Antrag abgelehnt.
II. Die Kosten des Verfahrens werden gegeneinander aufgehoben.
Die Beigeladene trägt ihre außergerichtlichen Kosten selbst.
III. Der Streitwert wird auf EUR 5.000,-- festgesetzt.

Gründe

I.
1
Die Antragsteller begehren mit ihrem Antrag die Anordnung der aufschiebenden Wirkung ihrer Klage vom 24. September 2021 (M 8 K 21.5093) gegen zwei der Beigeladenen erteilte Baugenehmigungen zum Neubau von acht Stadthäusern mit sechs Garagen und zwei Stellplätzen - Haus 1-4 nach PlanNr. … und Haus 5-8 nach PlanNr. … - auf dem Grundstück …str., Fl.Nr. …, Gem. … (im Folgenden: Baugrundstück).
2
Das Baugrundstück ist gegenwärtig unbebaut. Es grenzt im Norden an einen ca. 2 m breiten Fußweg (Fl.Nr. …*) an, an den sich eine Reihenhauszeile (* …str. 220-234) anschließt. Das Grundstück der Antragsteller, …str. 226, Fl.Nr. …, ist mit einem zweigeschossigen Reihenmittelhaus mit ausgebautem Dachgeschoss bebaut, südlich des Hauses befindet sich der Hausgarten (im Folgenden: Nachbargrundstück).
3
Die Grundstücke liegen im Geltungsbereich des Bebauungsplans Nr. … der Beklagten „Stadtteil … Bauquartier Nord-Ost, … straße (südlich), …-Bogen (westlich)“ vom 6. April 1990 (im Folgenden: Bebauungsplan). Dieser setzt für die betroffenen Grundstücke unter anderem ein reines Wohngebiet mit zwei Vollgeschossen als Höchstgrenze und Baufenster durch Baugrenzen fest. Weiterhin stellt der Bebauungsplan als „Hinweis“ die vorgeschlagene Form der Baukörper dar. Der in dem Bauraum, in welchem das Bauvorhaben verwirklicht werden soll, als „vorgeschlagen“ dargestellte Baukörper weist eine Tiefe von ca. 12 m (abgegriffen) auf und erstreckt sich durchgängig von der östlichen Baugrenze bis zur westlichen Baugrenze. Er ist von der nördlichen, rückwärtigen Baugrenze um ca. 2 m (abgegriffen) abgerückt, von der südlichen um ca. 4 m (abgegriffen). § 7 des Bebauungsplans, der eine Regelung zu „Abstandsflächen“ trifft, sieht vor, dass soweit bei der Verwirklichung der vorgeschlagenen Form der Baukörper und der zugelassenen Höhenentwicklung die nach Art. 6 BayBO anfallenden Abstandsflächen die Mitte der öffentlichen Verkehrsfläche oder die vorgeschlagenen oder tatsächlichen Grundstücksgrenzen überschreiten, die sich aus dem Plan ergebenden geringeren Abstandsflächen festgesetzt werden.
4
Vgl. zur Lage der Grundstücke und ihrer Bebauung anliegenden Lageplan im Maßstab 1 : 1000, der eine Darstellung des Vorhabens (Haus 5-8, Haus 1-4 in der Planerstellung abgestrichen) enthält (nach dem Einscannen möglicherweise nicht mehr maßstabsgerecht):
5
Mit Bescheid vom 17. August 2020 erteilte die Antragsgegnerin der Beigeladenen auf den Bauantrag vom 4. Mai 2021 nach PlanNr. … mit Handeinträgen vom 16. Juli 2021 hin die Baugenehmigung zum Neubau von acht Stadthäusern mit sechs Garagen und zwei Stellplätzen - „Haus 1-4“ - sowie auf den Bauantrag vom selben Datum hin nach PlanNr. … mit Handeinträgen vom 16. Juli 2021 die bauaufsichtliche Genehmigung für „Haus 5-8“. Vorgesehen war die Errichtung von zwei Hauptbaukörpern (E+I+D) mit einer Höhenentwicklung von 9,36 m („Haus 1-4“, Firsthöhe) bzw. von 9,27 m („Haus 5-8“, Firsthöhe) und einer Dachneigung von zunächst 40° und im oberen Bereich 6°. Jeder Baukörper ist unterteilt in vier Einzelhäuser. Die Baukörper sollten mit einem Abstand von ca. 6,20 m (abgegriffen) zueinander innerhalb des Bauraums erbaut werden. Der Baukörper „Haus 1-4“ soll im Norden und Westen jeweils auf der Baugrenze verwirklicht werden, im Süden rückt er um ca. 2 m (abgegriffen) von der Baugrenze ab. Der Baukörper „Haus 5-8“ rückt im Norden ca. 1 m von der Baugrenze ab, im Süden ca. 3 m (abgegriffen). Die bauaufsichtlichen Genehmigungen enthielten neben Auflagen und Hinweisen Befreiungen wegen Überschreitung der Baugrenze durch Müllstandplätze, Lichtschächte, Eingangsvordächer und Terrassen. Ferner wurde eine Befreiung von den Festsetzungen des Bebauungsplans hinsichtlich des Standorts der Garagen und der Neigung des oberen Dachbereichs gewährt. Für „Haus 1-4“ wurde überdies eine Befreiung von der zulässigen Geschossflächenzahl erteilt. Ferner wurden umfangreiche Nachbarwürdigungen aufgrund der (u.a. auch von den Antragstellern) bereits im Baugenehmigungsverfahren vorgebrachten Einwände der Nachbarschaft angestellt. Unter anderem wurde ausgeführt, dass der Baukörper „Haus 1-4“ die erforderlichen Abstandsflächen einhalte. Nach Norden könne das 16 m-Privileg zur Wegmitte in Anspruch genommen werden. Hinsichtlich „Haus 5-8“ wurde ausgeführt, dass entsprechend § 7 des Bebauungsplans die Abstandsflächen bis zu den Grundstücksgrenzen und zur Mitte des Weges verkürzt würden, da die zulässige Höhenentwicklung und die festgesetzten Baugrenzen durch den Baukörper eingehalten würden. Die in § 7 des Bebauungsplans genannte „vorgeschlagene Form der Baukörper“ sei dementsprechend zu verstehen. Eine Übernahme der im Bebauungsplan als Hinweis dargestellten Häuserzeile über die gesamte Breite des Bauraums sei für die Verringerung der Abstandsfläche nicht erforderlich.
6
Jeweils mit einfachem Brief, datiert auf den 19. August 2021, wurden den Antragstellern die streitgegenständlichen Baugenehmigungen übermittelt. Das Anschreiben enthielt den Hinweis, dass die Schreiben rein informativ seien und ausschließlich die Fristen der öffentlichen Bekanntmachung gelten würden. Die Baugenehmigungen wurden im Amtsblatt der Antragsgegnerin Nr. 24 vom 30. August 2021 (B 1207 B) veröffentlicht.
7
Mit Schreiben vom 23. September 2021, bei Gericht eingegangen am 24. September 2021, erhoben die Antragsteller Klage zum Bayerischen Verwaltungsgericht München (M 8 K 21.5093) mit dem Antrag „auf Widerruf der oben genannten Baugenehmigung für die beiden zusammenhängenden Baumaßnahmen.“ Über die Klage ist bisher noch nicht entschieden worden.
8
Gleichzeitig stellen sie einen Antrag
9
auf Anordnung der aufschiebenden Wirkung (nach § 80 Abs. 5 Satz 1 VwGO) für die beiden zusammenhängenden Baumaßnahmen.
10
Zur Begründung wird im Wesentlichen ausgeführt, dass durch das Vorhaben eine weitaus dichtere Bebauung gegenüber der nachbarschaftlichen Bebauung ermöglicht werde, was zu einer erdrückenden Wirkung auf die gesamte umliegende Nachbarschaft führen werde. Die erteilten Ausnahmegenehmigungen für zwei zusätzliche Stellplätze seien nicht zulässig, da der Bebauungsplan diese nicht vorsehe. Ferner würden die Abstandsflächen von Haus 5-8 nach Art. 6 Abs. 5a BayBO zu den Flurstücken … bis zur Wegmitte (Fl.Nr. …*) nicht eingehalten. § 7 des Bebauungsplans entspreche nicht dem Bestimmtheitsgrundsatz, da die festgesetzte Abstandsfläche nicht eindeutig zum Ausdruck komme. Die Höhenentwicklung sei im Bebauungsplan nirgendwo hinreichend bestimmt. Ferner greife § 7 des Bebauungsplans nur, wenn die im Bebauungsplan vorgeschlagene Form der Baukörper verwirklicht werde. Die von dem Vorhaben ausgehende Verschattung verstoße gegen das Rücksichtnahmegebot, ebenso der künftige, durch das Bauvorhaben ausgelöste Mangel an öffentlichen Parkplätzen. Im Bebauungsplan seien keine Ausnahmen und Befreiungen für die Überbauung der nördlichen Baugrenze durch Vordächer und Lichtschächte vorgesehen. Die Vorhaben müsste die festgelegte Baugrenze einhalten. Es fehlten Zufahrtswege und Aufstellflächen für die Feuerwehr und Rettungsfahrzeuge. Im Brandfall gäbe es keine Aufstellmöglichkeiten von Rettungsleitern zur Südseite der 15 Reihenhäuser. Die Vorhaben würden die im Bebauungsplan festgesetzte Grund- und Geschossflächenzahl nicht einhalten, dies verstieße gegen das Gebot der Rücksichtnahme. Ferner würden die zulässigen Garagen- und Stellplatzgrößen nach § 21a Abs. 3 Halbsatz 1 BauNVO 1990 nicht eingehalten.
11
Die Antragsgegnerin beantragt,
12
die Eilanträge abzulehnen.
13
Die Rechtsbehelfe versprächen in der Hauptsache kein Erfolg. Die angefochtenen Baugenehmigungen verletzten die Nachbarn nicht in ihren Rechten.
14
Die Beigeladene äußerte sich in der Sache nicht.
15
Wegen der weiteren Einzelheiten des Sachverhalts wird auf die Gerichts- und die vorgelegten Behördenakten, auch im Verfahren der Hauptsache (M 8 K 21.5093) verwiesen.
II.
16
Der Antrag war nach dem erkennbaren Begehren der Antragsteller dahingehend auszulegen, dass die Anordnung der aufschiebenden Wirkung ihrer Anfechtungsklage vom 24. September 2021 (M 8 K 21.5093) gegen die der Beigeladenen erteilten Baugenehmigungen vom 17. August 2021 für Haus 1-4 (PlanNr. …*) und Haus 5-8 (PlanNr. …*) begehrt wird, § 122 Abs. 1 iVm § 88 VwGO.
17
Der so verstandene Antrag gemäß § 80a Abs. 3, Abs. 1 Nr. 2 i.V.m. § 80 Abs. 5 Satz 1 Alt. 1 VwGO ist zulässig, jedoch nur teilweise begründet. Nach der im vorliegenden Verfahren des einstweiligen Rechtsschutzes gebotenen, aber auch ausreichenden summarischen Prüfung ist eine für den Erfolg der Anfechtungsklage erforderliche Verletzung von Rechten der Antragsteller, die zum Prüfungsumfang des vereinfachten Baugenehmigungsverfahrens gehören (§ 113 Abs. 1 Satz 1 VwGO, Art. 59 Satz 1 BayBO), nur hinsichtlich der Baugenehmigung für Haus 5-8 gegeben, so dass das Suspensivinteresse der Antragsteller gegenüber dem Interesse an der Vollziehung der Baugenehmigung insoweit überwiegt (2.). Hinsichtlich der Baugenehmigung für Haus 1-4 wird die in der Hauptsache erhobene Anfechtungsklage dagegen voraussichtlich ohne Erfolg sein, da diese angefochtene Baugenehmigung bei summarischer Prüfung keine solchen nachbarschützenden Vorschriften verletzt und insoweit das private Interesse der Antragsteller an der Anordnung der aufschiebenden Wirkung ihrer Anfechtungsklage gegen die erteilte Baugenehmigung gegenüber dem kraft Gesetzes zugrunde gelegten Interesse der Beigeladenen an der sofortigen Vollziehung der Baugenehmigung nachrangig ist (3).
18
1. Nach §212 a Abs. 1 BauGB hat die Anfechtungsklage eines Dritten gegen die bauaufsichtliche Zulassung eines Vorhabens keine aufschiebende Wirkung. Legt ein Dritter gegen die einem anderen erteilte und diesen begünstigende Baugenehmigung eine Anfechtungsklage ein, so kann das Gericht auf Antrag gemäß §80a Abs. 3 Satz 2 VwGO in entsprechender Anwendung von §80 Abs. 5 Satz 1 VwGO die bundesgesetzlich gemäß §212a Abs. 1 BauGB ausgeschlossene aufschiebende Wirkung der Anfechtungsklage ganz oder teilweise anordnen. Hierbei trifft das Gericht eine eigene Ermessensentscheidung darüber, welche Interessen höher zu bewerten sind - die für einen sofortigen Vollzug des angefochtenen Verwaltungsakts oder die für die Anordnung der aufschiebenden Wirkung streitenden. Im Rahmen dieser Interessenabwägung sind auch die Erfolgsaussichten des Rechtsbehelfs in der Hauptsache als wesentliches, aber nicht alleiniges Indiz zu berücksichtigen.
19
Bei der Beurteilung der Erfolgsaussichten ist hier zu berücksichtigen, dass sich Dritte gegen eine Baugenehmigung nur dann mit Aussicht auf Erfolg zur Wehr setzen können, wenn die angefochtene Baugenehmigung rechtswidrig ist und diese Rechtswidrigkeit zumindest auch auf der Verletzung von Normen beruht, die gerade auch dem Schutz des betreffenden Nachbarn zu dienen bestimmt sind (BayVGH, B.v. 24.3.2009 - 14 CS 08.3017 - juris Rn. 20). Es genügt daher nicht, wenn die Baugenehmigung gegen Rechtsvorschriften des öffentlichen Rechts verstößt, die nicht - auch nicht teilweise - dem Schutz der Eigentümer benachbarter Grundstücke zu dienen bestimmt sind. Hinzu kommt, dass ein Nachbar eine Baugenehmigung nur dann mit Erfolg anfechten kann, wenn die Genehmigung rechtswidrig ist und die Rechtswidrigkeit sich aus einer Verletzung von Vorschriften ergibt, die im Baugenehmigungsverfahren zu prüfen waren (BayVGH, B.v. 24.3.2009 - 14 CS 08.3017 - juris Rn. 20). Verstößt ein Vorhaben gegen eine drittschützende Vorschrift, die im Baugenehmigungsverfahren nicht zu prüfen war, trifft die Baugenehmigung insoweit keine Regelung und ist der Nachbar darauf zu verweisen, Rechtsschutz gegen das Vorhaben über einen Antrag auf bauaufsichtliches Einschreiten gegen die Ausführung des Vorhabens zu suchen (vgl. BVerwG, B.v. 16.1.1997 - 4 B 244/96 - juris Rn. 3; BayVGH, B.v. 14.10.2008 - 2 CS 08/2132 - juris Rn. 3).
20
Erforderlich ist allerdings die Verletzung eigener Rechte der Antragsteller. Soweit sie sich auf eine Rechtsverletzung gegenüber der gesamten Reihenhauszeile oder der übrigen „nachbarschaftlichen Bebauung“ berufen, können sie damit nicht durchdringen.
21
2. Das Aussetzungsinteresse der Antragsteller überwiegt hinsichtlich der Baugenehmigung für den Baukörper Haus 5-8 (PlanNr. …*) gegenüber entgegenstehenden Vollzugsinteressen insbesondere der Beigeladenen. Der angegriffene Bescheid verstößt voraussichtlich zulasten der Antragsteller gegen Vorschriften des Abstandsflächenrechts. Diese drittschützenden Vorschriften waren auch im Baugenehmigungsverfahren zu prüfen (Art. 59 Satz 1 Nr. 1 b BayBO), sodass den Antragstellern voraussichtlich ein Anspruch auf Aufhebung dieser Baugenehmigung zusteht (§ 113 Abs. 1 Satz 1 VwGO). Der Nachbar hat ein (subjektiv-öffentliches) Recht darauf, dass die im Einzelfall vorgeschriebene Abstandsfläche eingehalten und davon nur im Einklang mit den Ermächtigungen in Bebauungsplänen oder örtlichen Bauvorschriften oder durch Zulassung von Abweichungen (Art. 63) abgewichen wird (Hahn/Kraus in: Busse/Kraus, Bayerische Bauordnung, Stand: 143. EL Juli 2021, Art. 66 Rn. 550).
22
2.1. Das streitgegenständliche Bauvorhaben verstößt nach summarischer Prüfung voraussichtlich gegen Art. 6 Abs. 2 Sätze 1 - 3 BayBO, wonach Abstandsflächen auf dem (Bau-)Grundstück selbst liegen müssen bzw. sich bis zur Mitte von (an das Baugrundstück angrenzenden) öffentlichen Verkehrsflächen (oder auf andere Grundstücke, wenn rechtlich oder tatsächlich gesichert ist, dass sie nicht überbaut werden) erstrecken dürfen. Die Nordwand des östlichen Baukörpers Haus 5-8 vermag die erforderliche Abstandsfläche von 1 H = 6 m nicht einzuhalten. Eine Verkürzung dieser Abstandsfläche auf 3,69 m bzw. 3,0 m, wie in dem genehmigten Abstandsflächenplan vorgesehen, kann weder auf § 7 des Bebauungsplans noch auf Art. 6 Abs. 5 Satz 2 BayBO / Art. 6 Abs. 5 Satz 3 BayBO aF (gültig bis 31.1.2021) (Vorrang des Planungsrechts) oder Art. 6 Abs. 5a Satz 2 BayBO (16 m-Privileg) gestützt werden. Die rechtmäßig ermittelte Abstandsfläche würde sich über den zwischen den beiden Grundstücken liegenden Weg (Fl.Nr. …*) hinaus bis auf das Nachbargrundstück erstrecken.
23
2.2. Eine Verkürzung der Abstandsfläche vor der Nordwand des Baukörpers aufgrund § 7 des Bebauungsplans kommt voraussichtlich nicht in Betracht. Diese Festsetzung kann nach summarischer Prüfung keinen Bestand haben.
24
2.2.1. Rechtsgrundlage für die Festsetzung ist Art. 7 Abs. 1 BayBO 1982 iVm Art. 91 Abs. 3 BayBO 1982.
25
Art. 7 Abs. 1 Satz 1 BayBO 1982 bestimmte, dass in Bebauungsplänen oder auf Grund von örtlichen Bauvorschriften nach Art. 91 Abs. 1 Nrn. 5 und 6 BayBO 1982 andere Abstandsflächen festgelegt werden können als sich nach Art. 6 BayBO 1982 ergaben. Neben der hier nicht einschlägigen Ermächtigungsnorm des Art. 91 Abs. 1 Nr. 6 BayBO 1982 (verkürzte Abstandsflächen zur Wahrung der bauhistorischen Bedeutung oder sonstigen erhaltenswerten Eigenart eines Ortsteils) war eine Verringerung der Abstandsflächen nur in Bebauungsplänen möglich (vgl. hierzu BayVGH, U.v. 7.2.1994 - 2 B 89.1918 - BayVBl. 1994, S. 307).
26
Obschon Art. 7 Abs. 1 Satz 1 BayBO 1982 dies nicht mehr ausdrücklich festlegte (so jedoch noch die Vorgängerregelung Art. 107 Abs. 4 BayBO 1974), musste es sich um Bebauungspläne nach Art. 91 Abs. 3 BayBO 1982 handeln (Molodowsky/Rahm, Die neue Bayerische Bauordnung, Leitfaden mit vergleichender Gegenüberstellung des alten und neuen Rechts, 1. Auflage 1982, Art. 7 Rn. 2.1). Nach § 9 Abs. 4 BBauG/BauGB konnten die Länder durch Rechtsvorschriften bestimmen, dass auf Landesrecht beruhende Regelungen in den Bebauungsplan als Festsetzungen aufgenommen werden können und inwieweit auf diese Festsetzungen die Vorschriften des BBauG/BauGB Anwendung finden.
27
Das Verfahren richtete sich nach Art. 91 Abs. 3 BayBO 1982. Art. 91 Abs. 3 Satz 2 BayBO 1982 bestimmte hierzu, dass § 1 Abs. 5 bis 7, § 2 Abs. 5 bis 7, § 2a Abs. 6, § 8 Abs. 1, § 9 Abs. 1 Halbsatz 1 und Abs. 7, § 10, § 11 Satz 1, §§ 12, 13, 31 und 155a bis 155c BBauG sinngemäß anzuwenden waren. Art. 91 Abs. 3 Satz 3 BayBO 1982 bestimmte darüber hinaus, dass die Regelungen keiner Begründung bedurften. Die Abstandsflächen waren in den Bebauungsplänen im Einzelnen zeichnerisch oder in Worten festzulegen (Baumgartner/Reuter, Bayerische Bauordnung, 2. Auflage 1969, Art. 7 Rn. 1).
28
Die materiellen Voraussetzungen ergaben sich aus Art. 7 Abs. 1 BayBO 1982 iVm Art. 91 Abs. 3 BayBO 1982 iVm den entsprechenden Vorgaben des BBauG (vgl. Molodowsky/Rahm, Die neue Bayerische Bauordnung, Leitfaden mit vergleichender Gegenüberstellung des alten und neuen Rechts, 1. Auflage 1982, Art. 7 Rn. 2.1).
29
Art. 7 Abs. 1 Satz 2 und 3 BayBO 1982 bestimmte, dass ein ausreichender Brandschutz und eine ausreichende Belichtung und Lüftung gewährleistet sein müssen, sowie die Flächen für notwendige Nebenanlagen, insbesondere für Kinderspielplätze, Garagen und Stellplätze, nicht eingeschränkt werden dürfen.
30
Ferner musste sich die Verkürzung als das Ergebnis einer sachgerechten Abwägung darstellen, § 1 Abs. 5 - 7 BBauG iVm Art. 91 Abs. 3 Satz 2 BayBO (vgl. BayVGH, B.v. 28.5.1993 - 1 N 91.1577 - BeckRS 1993, 124197).
31
Bei der Verkürzung von Abstandsflächen durch Bebauungsplan musste beachtet werden, dass es sich bei der durch Art. 7 Abs. 1 BayBO 1982 eröffneten Möglichkeit der Festlegung anderer Abstandsflächen um eine Ausnahme von der allgemeinen gesetzlichen Vorschrift (Art. 6 BayBO) handelt. Die Abstandsflächenregelungen der BayBO entsprachen und entsprechen den neuzeitlichen Forderungen an ein gesundes Wohnen und Arbeiten in gut belichteten, besonnten und belüfteten Gebäuden und waren und sind deshalb im Allgemeinen nach § 1 Abs. 5 BBauG / § 1 Abs. 6 BauGB sowie der grundlegenden Bestimmung des Art. 3 BayBO notwendig (BayVGH, B.v. 20.11.1986 - 2 CS 86.02888 - BayVBl. 1987, S. 337; U.v. 7.2.1994 - 2 B 89.1918 - BayVBl. 1994, 307; Lechner in: Simon/Busse, Bayerische Bauordnung, Stand 60. EL Oktober 1998, Art. 7 Rn. 48).
32
Für eine davon abweichende Festsetzung geringerer Abstandsflächen waren daher grundsätzlich besondere örtliche, planerische oder bauliche Verhältnisse erforderlich (vgl. BayVGH, B.v. 20.11.1986 - 2 CS 86.02888 - BayVBl. 1987, S. 337; U.v. 7.2.1994 - 2 B 89.1918 - BayVBl. 1994, 307; B.v. 27.10.1994 - 26 N 93.3634 - BeckRS 1994, 17343; Hahn in: Busse/Kraus, Bayerische Bauordnung, Stand: 143. EL Juli 2021, Art. 6 Rn. 289; offen gelassen: BayVGH, B.v. 28.5.1993 - 1 N 91.1577 - BeckRS 1993, 124197). Diese besonderen örtlichen Verhältnisse durften jedoch nicht ohne Weiteres mit besonderen Geländeverhältnissen gleichgesetzt werden (BayVGH, U.v. B.v. 27.10.1994 - 26 N 93.3634 - BeckRS 1994, 17343). Geringere Abstandsflächen konnten in einem Gebiet also nicht schlechthin zugelassen werden, sondern waren nur dort zu vertreten, wo die städtebaulichen Gegebenheiten dies forderten und rechtfertigten (Stadler/Baumgartner/Wiebel, Das Baurecht in Bayern, 1. Auflage 1975, Art. 7 BayBO Rn. 2.3.). Bei Bebauungsplänen, die sich auf ein größeres Gebiet erstrecken, durfte daher nicht pauschal für das ganze Bebauungsplangebiet, sondern wegen des Ausnahmecharakters nur für einzelne genau bestimmte Grundstücke oder bauliche Anlagen eine Verkürzung der Abstandflächen erfolgen (vgl. BayVGH, B.v. 20.11.1986 - 2 CS 86.02888 - BayVBl. 1987, S. 337).
33
Darüber hinaus musste eine abweichende Festlegung von Abstandsflächen im Bebauungsplan ausdrücklich, klar und eindeutig zum Ausdruck kommen. Sie musste ersehen lassen, dass und in welchem Umfang die Abstandsflächen erweitert oder verringert wurden (vgl. BayVGH, B.v. 20.11.1986 - 2 CS 86.02888 - BayVBl. 1987, S. 337; U.v. 24.10.1989 - 2 B 87. 03944 - Urteilsumdruck S. 10, n.v.; U.v. 7.2.1994 - 2 B 89.1918 - BayVBl. 307; B.v. 27.10.1994 - 26 N 93.3634 - BeckRS 1994, 17343; B.v. 8.5.2019 - 15 NE 19.551, 15 NE 19.579 - juris Rn. 24). Aus den Festsetzungen mussten sich also jeweils bestimmte Abstandsflächentiefen ablesen lassen. Das „andere Maß“ musste konkret festgesetzt werden, es genügte nicht, wenn es sich mittelbar aus anderen Regelungen ergab (vgl. BayVGH, B.v. 27.7.1983 - 15 CS 83 A. 1485 - BayVBl. 1983, 760; U.v. 5.11.2001 - 1 N 98.3742 - juris Rn. 38; Schwarzer/König, Bayerische Bauordnung, 3. Auflage 2000, Art. 7 Rn. 2; Molodovsky/Famers/Waldmann, Bayerische Bauordnung, Stand: April 2001, Art. 7 Rn. 3.3.2.3; anders jedoch BayVGH, U.v. 27.10.1994 - 26 N 93.3634 - BeckRS 1994, 17343, der in einem Einzelfall die mittelbare Bestimmbarkeit der Abstandsflächentiefe in Anlehnung an die neue, ab 1994 geltende Rechtslage ausreichen ließ).
34
Eine generelle, nicht vermaßte Verkürzung der Abstandsflächen für sämtliche Gebäude war unzulässig. Die allgemeine Festsetzung von Abstandsflächen, die sich bei Ausnutzung der Bebauungsplanfestsetzungen über das Maß der baulichen Nutzung ergaben, reichte nicht aus (BayVGH, B.v. 20.11.1986 - 2 CS 86.02888 - BayVBl. 1987, S. 337; Molodovsky/Famers/Waldmann, Bayerische Bauordnung, Stand: Juli 2021, Art. 6 Rn. 9.6.2; Hahn in: Busse/Kraus, Bayerische Bauordnung, Stand: 143. EL Juli 2021, Art. 6 Rn. 289).
35
2.2.2. § 7 des Bebauungsplans kann diesen Anforderungen voraussichtlich nicht gerecht werden.
36
2.2.2.1. Nach dieser Bestimmung werden, soweit bei der Verwirklichung der vorgeschlagenen Form der Baukörper und der zugelassenen Höhenentwicklung die nach Art. 6 BayBO anfallenden Abstandsflächen die Mitte der öffentlichen Verkehrsflächen oder die vorgeschlagenen oder tatsächlichen Grundstücksgrenzen überschreiten, die sich aus dem Plan ergebenden geringeren festgesetzt.
37
Innerhalb des hier maßgeblichen, durch Baugrenzen festgelegten Bauraumes befindet sich im Bebauungsplan ein solcher „vorgeschlagener Baukörper“. In der Legende („Zeichenerklärung“) findet sich unter B) „Hinweise“ das entsprechende Zeichen „vorgeschlagenen Form der Baukörper“ (orange kolorierte Fläche). Weiterhin findet sich in der Plandarstellung neben der (nachrichtlichen) Darstellung der bei der Planaufstellung tatsächlich vorhandenen Grundstücksgrenzen die „vorgeschlagene Grundstücksteilung“. In der Legende findet sich das hierfür verwendete Zeichen ebenfalls unter „B) Hinweise“. Im hier maßgeblichen „WR 3“ wurden überdies zwei Vollgeschosse als Höchstgrenze festgesetzt. Der zwischen Bau- und Nachbargrundstück verlaufende Weg wird im Bebauungsplan als „Fläche mit Gehrecht dinglich zu sichern zugunsten der Allgemeinheit“ mit einer Breite von 2 m ausgewiesen. § 9 der textlichen Festsetzung bestimmt hierzu, dass von der festgesetzten Lage und Breite der Gehrechtsfläche ausnahmsweise abgewichen werden kann, wenn öffentliche Belange nicht entgegenstehen.
38
In der Begründung des Bebauungsplans wird hinsichtlich der Abstandsflächenverkürzung der Text von § 7 des Bebauungsplans wiederholt. Weiterhin wird (in einem Satz) ausgeführt, dass der Brandschutz sowie eine ausreichende Belichtung und Belüftung durch die geringeren Abstandsflächen nicht beeinträchtigt würden (Begründung zum Bebauungsplan, 2.1.2. Gestaltungskonzept, S. 20).
39
2.2.2.2. Durch die Regelung wird keine im obigen Sinne bestimmte (oder auch nur mittelbar bestimmbare) abweichende Abstandsfläche getroffen. Eine Abstandsfläche bedarf als Ausgangspunkt stets einer Außenwand und muss sich auf eine Grundstücksgrenze oder die Mitte einer öffentlichen Verkehrsfläche beziehen.
40
§ 7 des Bebauungsplans verweist auf „den Baukörper in der vorgeschlagenen Form“. Damit wird aber schon keine Außenwand (mit den Mitteln des Bauplanungsrechts) als Ausgangspunkt der Abstandsfläche definiert, da es sich bei der „vorgeschlagenen Form der Baukörper“ ausschließlich um einen Hinweis ohne bindenden Charakter und keine verbindliche bauplanungsrechtliche Festsetzung handelt. Ferner wurde im Bebauungsplan ausschließlich die Zahl der Vollgeschosse festgesetzt. Sofern sich § 7 auf die „zugelassene Höhenentwicklung“ bezieht, kann hieraus die Tiefe der Abstandsfläche nicht abgeleitet werden, da die Zahl der Vollgeschosse hinsichtlich der zulässigen Wandhöhe keinen Aufschluss gibt.
41
Bei Grundstücken - die wie hier - später geteilt wurden, konnten verkürzte Abstandsflächen überdies nur dann festgesetzt werden, wenn die künftigen Grundstücksgrenzen im Bebauungsplan bereits angegeben werden konnten. Da diese den notwendigen Bezugspunkt für die Festsetzung verringerter Abstandsflächen bildeten, aber im Bebauungsplan nicht festgesetzt werden können, musste die Satzung zusätzlich vorschreiben, dass die vorgeschlagenen Grundstücksgrenzen bei der Grundstücksteilung eingehalten werden (Lechner/Hahn in: Simon/Busse, Bayerische Bauordnung, Stand: Oktober 1998, Art. 7 Rn. 95; Stand Juli 2021, Art. 6 Rn. 290). Auch an diesem Erfordernis mangelt es der Satzung. Diese nimmt auf die „vorgeschlagenen und künftigen“ Grundstücksgrenzen Bezug, ohne sicherzustellen, dass die künftigen Grundstücksgrenzen den vorgeschlagenen entsprechen müssen.
42
Auch hinsichtlich des „Wegs“ (heute Fl.Nr. …*), der zwischen dem Bau- und dem Nachbargrundstück verläuft, ist der Bezugspunkt der Abstandsfläche nicht hinreichend ermittelbar, da schon nicht klar ist, ob diese Fläche, welche als mit „Gehrecht für die Allgemeinheit zu sichernd“ dargestellt wurde als „öffentliche Verkehrsfläche“ iSd § 7 des Bebauungsplans und damit als Bezugspunkt für die Abstandsfläche gelten sollte. Denn für „öffentlichen Verkehrsflächen“ wurden in der Satzung andere Planzeichen verwendet, als für diese Fläche (vgl. A - Festsetzungen, Verkehrsflächen). Ferner stellt der „Weg“ keinen ausreichend bestimmten Bezugspunkt dar, da nach § 9 der Satzung von der festgesetzten Lage und Breite der Gehrechtsfläche ausnahmsweise abgewichen werden kann, wenn öffentliche Belange nicht entgegenstehen.
43
Aus der Zahl der Vollgeschosse, einem unverbindlichen Hinweis hinsichtlich der „Form der Baukörper“ sowie der „vorgeschlagenen“ Grundstücksgrenzen lässt sich keine bestimmte Tiefe für die erforderliche Abstandsfläche ableiten. Im Ergebnis lässt die Satzung unabhängig von der jeweiligen Wandhöhe und den jeweiligen Grundstücksgrenzen alle Vorhaben zu, soweit diese „der vorgeschlagenen Form der Baukörper“ und der zugelassenen Höhenentwicklung entsprechen. Damit wird jedoch keine von Regelungssystem des Art. 6 BayBO abweichende bestimmte Abstandsfläche gesetzt, vielmehr wird das Abstandsflächenrecht dadurch ausgehebelt bzw. suspendiert (vgl. hierzu auch BayVGH, B.v. 20.11.1986 - 2 CS 86. 02888 - BayVBl. 1987, S. 337 ff.).
44
Überdies musste sich aus dem Bebauungsplan selbst ersehen lassen, dass die Forderungen in Art. 7 Abs. 1 Satz 2 BayBO 1982 nach einem ausreichenden Brandschutz und ausreichender Belichtung und Belüftung (Einschränkung der Ermächtigungsgrundlage) eingehalten sind. Da die Einhaltung nur kontrolliert werden konnte, wenn sich dies aus dem Bebauungsplan selbst ergab, war diese Vorgabe grundsätzlich in den Bebauungsplan aufzunehmen und sei es auch nur durch die Wiedergabe des Wortlauts des Gesetzes (Koch/Molodovsky, Bayerische Bauordnung, 6. Auflage 1972, Art. 7 Rn. 2.3. und 59. EL April 2001, Art. 7 RdNr. 3.3.3.2; BayVGH, U.v. 7.2.1994 - 2 B 89.1918 - BayVBl. 1994, 307). Auch hieran mangelt es der Festsetzung voraussichtlich. Die Erwähnung in der Begründung reicht nicht, denn die Planbegründung ist insoweit nicht geeignet, den Planinhalt zu ergänzen (Mitschang/Reidt in: Battis/Krautzberger/Löhr, Baugesetzbuch, 14. Auflage 2019, § 9 Rn. 6, m.w.N.).
45
§ 7 des Bebauungsplans beschränkt sich ferner nicht auf bestimmte Grundstücke oder bauliche Anlagen iSd der oben dargestellten Rechtsprechung, sondern trifft eine pauschale Regelung. Weder aus der dem Gericht vorliegenden Begründung zum Bebauungsplan noch aus den vorgelegten Verwaltungsvorgängen ergibt sich bei summarischer Prüfung jedoch, dass bei der Beschlussfassung über den Bebauungsplan besondere örtliche, planerische oder städtebauliche Verhältnisse vorlagen, welche eine generelle, das gesamte Plangebiet umfassende Verkürzung der Abstandsflächen rechtfertigen würde. Vielmehr wurde eine bis dahin unbebaute Wiesenfläche von ca. 3,2 ha Größe überplant. Planungsziel war, innerhalb der festgesetzten Bauräume entsprechend der vorgeschlagenen Form der Baukörper, eine geschlossene Bauzeile zu erreichen (Begründung zum Bebauungsplan, 2.1.2. Gestaltungskonzept, S. 19). Warum die Verwirklichung dieser städtebaulichen Konzeption eine Verkürzung der Abstandsflächen ausschließlich hinsichtlich der im Bebauungsplan als Hinweise aufgenommenen „vorgeschlagenen Form der Baukörper“ erfordert haben soll, ist nicht ersichtlich.
46
Obschon es nach Art. 91 Abs. 3 Satz 3 BayBO 1982 keiner Begründung bedurfte, entbindet dies nicht davon, dass die Verkürzung der Abstandsflächen das Ergebnis einer sachgerechten Abwägung sein muss. Vorliegend erscheint dies äußerst fraglich, denn städtebauliche Erwägungen bzw. Ziele, die geeignet wären, eine Verringerung der Abstandsflächen zu rechtfertigen, sind bei summarische Prüfung nicht erkennbar. Im Zeitpunkt der Beschlussfassung waren weder die tatsächlichen Gebäudehöhen, noch die Bezugspunkte der Abstandsflächen, also die künftigen Grundstücksgrenzen oder der Verlauf des Wegs bekannt. Vor diesem Hintergrund sind angemessene Gewichtung und Ausgleich der betroffenen Belange nicht erkennbar. Zudem ist nicht ersichtlich, warum die verkürzten Abstandsflächen bei „Verwirklichung der vorgeschlagenen Form der Baukörper“ insbesondere die Anforderungen an gesunde Wohnverhältnisse und die Sicherheit gewährleisten sollen, während bei allen anderen im Bauraum verwirklichten Baukörpern - insbesondere bei solchen, die weiter von der Nachbarbebauung abrücken - dagegen die vollen Abstandsflächen nach der BayBO erforderlich sein sollen.
47
Diese Mängel sind voraussichtlich auch noch beachtlich, §§ 155a, 155b BBauG / §§ 214, 215 BauGB 1986 (vgl. BayVGH, U.v. 12.3.2002 - 1 B 02.253 - juris Rn. 29; Kukk in: Schrödter, Baugesetzbuch, 9. Auflage 2019, § 214 Rn. 56).
48
2.3. Selbst wenn man dem nicht folgen wollte, erfüllt der streitgegenständliche Baukörper die Voraussetzungen des § 7 der Satzung nicht.
49
Voraussetzung für die Zulassung der geringeren Abstandsflächen ist die „Verwirklichung der vorgeschlagenen Form der Baukörper“. Der im maßgeblichen Bauraum dargestellte „vorgeschlagene Baukörper“ stellt einen von der Ostseite bis zur Westseite des Bauraums durchgängigen Gebäudekomplex dar, der im Norden und Süden von der vorderen und rückwärtigen Baugrenze abrückt. Im Gegensatz dazu sind vorliegend zwei Gebäudekomplexe mit einem Abstand von 6,20 m (abgegriffen) voneinander geplant. Der Baukörper Haus 5-8 rückt darüber hinaus von der nördlichen Baugrenze lediglich um ca. 1 m (abgegriffen) ab und von der südlichen um ca. 3 m (abgegriffen). Der vorgeschlagene Baukörper ist dagegen von der nördlichen, rückwärtigen Baugrenze um ca. 2 m (abgegriffen) abgerückt, von der südlichen um ca. 4 m (abgegriffen).
50
2.4. Der von der Antragsgegnerin im Baugenehmigungsverfahren vorgenommenen Auslegung von § 7 des Bebauungsplans, wonach die Einhaltung der festgesetzten Baugrenzen und der zulässigen Geschossigkeit die Verkürzung der Abstandsflächen zur Folge hätte (Baugenehmigung, Nachbarwürdigung a)) kann nicht gefolgt werden.
51
Zwar kann der Regelungsgehalt einer Festsetzung auch - innerhalb der Grenzen, die sich aus dem sich aus dem Bebauungsplan und seiner Begründung erschließenden planerischen Willen der Gemeinde ergeben - durch Auslegung ermittelt werden (BVerwG, B.v. 17.12.1998 - 4 NB 4.97 - NVwZ 1999, 984; BayVGH, U.v. 17.10.2019 - 1 N 17.1142 - juris Rn. 23). In Betracht kommen eine Auslegung anhand des Wortlauts (grammatische Auslegung), anhand des Zusammenhangs (systematische Auslegung), anhand des Zwecks der Festsetzung (teleologische Auslegung) sowie eine Auslegung anhand der Aufstellungsvorgänge und sonstigen das Planverfahren behandelnden Dokumente (historische Auslegung). Ebenfalls in Betracht kommt eine berichtigende Auslegung, wenn eine Festsetzung lediglich dem formalen Wortlaut nach missverständlich formuliert ist (Mitschang/Reidt in: Battis/Krautzberger/Löhr, Baugesetzbuch, 14. Auflage 2019, § 9 Rn. 7, m.w.N.; vgl. allgemein zu Auslegung von Festsetzungen in Bebauungsplänen: BVerwG, B.v. 27.1.1998 - 4 NB 3/97 - NVwZ 1998, 1067).
52
Allerdings findet die von der Antragsgegnerin vorgenommene Auslegung - bei Beachtung der oben dargestellten Grundsätze - weder im klaren Wortlaut der Vorschrift noch im Plan- oder Textteil des Bebauungsplans irgendeine Stütze. Auch aus der Begründung des Bebauungsplans ergibt sich nicht ansatzweise, dass nicht auf die „vorgeschlagene Form der Baukörper“, sondern auf die Einhaltung der Bauräume abgestellt werden sollte. Insbesondere wiederholt die Begründung hinsichtlich der Abstandsflächen den Wortlaut des § 7 und bezieht sich nochmals ausdrücklich auf die „vorgeschlagene Form der Baukörper“ (Begründung zum Bebauungsplan, 2.1.2. Gestaltungskonzept, S. 20).
53
2.5. Die voraussichtliche Unwirksamkeit von § 7 des Bebauungsplans hat nach summarischer Prüfung keine Auswirkungen auf die Wirksamkeit der weiteren Festsetzungen. Die Ungültigkeit einzelner Festsetzungen führt dann nicht zur Gesamtunwirksamkeit des Plans, wenn die übrigen Festsetzungen für sich betrachtet noch eine sinnvolle städtebauliche Ordnung bewirken können und wenn zusätzlich die Gemeinde nach ihrem im Planungsverfahren zum Ausdruck gekommenen Willen im Zweifel auch einen Plan dieses eingeschränkten Inhalts beschlossen hätte (st.Rspr., BVerwG, B.v. 29.3.1993 - 4 NB 10.91 - BRS 55, Nr. 30 = NVwZ 1994, 271f.). Die übrigen Festsetzungen stellen auch ohne § 7 eine sinnvolle Regelung in diesem Sinne dar; das Bauplanungsrecht und das Abstandsflächenrecht sind zudem nicht untrennbar ineinander verflochten. Es ist überdies anzunehmen, dass die Antragsgegnerin den Bebauungsplan auch ohne die Regelung zum Abstandsflächenrecht beschlossen hätte, wenn sie sich deren Unwirksamkeit bewusst gewesen wäre, da die Regelung das dem Bebauungsplan zugrundeliegende städtebauliche Konzept nicht wesentlich trägt.
54
2.6. Es verbleibt hinsichtlich der Beurteilung der erforderlichen Abstandsflächen bei den Regelungen des Art. 6 BayBO.
55
2.6.1. Eine Verkürzung der Abstandsflächen kann nach summarischer Prüfung nicht auf Art. 6 Abs. 5 Satz 3 BayBO (gültig bis 31.1.2021, vgl. zur grundsätzlichen Anwendbarkeit dieser Norm auf Bebauungspläne, die bis zum 1. Februar 2021 in Kraft getreten sind, Hahn in: Busse/Kraus, Bayerische Bauordnung, Stand: Juli 2021, Art. 6 Rn. 307) gestützt werden. Danach galt, wenn von einer städtebaulichen Satzung Außenwände (durch bauplanungsrechtliche Festsetzungen) zugelassen oder vorgeschrieben wurden, vor denen Abstandsflächen größerer oder geringerer Tiefe als nach den Art. 6 Abs. 5 Sätze 1 und 2 BayBO (gültig bis 31.1.2021) liegen müssten, der Vorrang des Planungsrechts.
56
Zum einen ist bereits äußerst zweifelhaft, ob die hier getroffenen Festsetzungen hinsichtlich Bauraum und Geschossigkeit insoweit den Anforderungen genügen könnten (vgl. hierzu: Schönfeld in: Spannowsky/Manssen, BeckOK Bauordnungsrecht Bayern, Stand: 01.04.2021, Art. 6 BayBO Rn. 79; Hahn in: Busse/Kraus, Bayerische Bauordnung, Stand: Juli 2021, Art. 6 Rn. 306 ff.).
57
Zum anderen trat der Bebauungsplan am 6. April 1990 in Kraft und wurde folglich vor dem 1. Juni 1994 öffentlich ausgelegt. Für die Anwendung des Art. 6 Abs. 5 S. 2 BayBO / Art. 6 Abs. 5 Satz 3 BayBO (gültig bis 31.1.2021) kommt es maßgeblich darauf an, zu welchem Zeitpunkt der Bebauungsplan öffentlich ausgelegt wurde. Nach den vom Gesetzgeber geschaffenen Übergangsvorschriften war Art. 6 Abs. 5 S. 2 BayBO bzw. die inhaltsgleiche Vorschrift des Art. 7 Abs. 1 BayBO 1994/1998 nach Art. 100 Abs. 1 Satz 1 BayBO 1994 und Art. 93 Abs. 1 Satz 1 BayBO 1998 (gültig bis 31.8.2003) auf alle Bebauungspläne anzuwenden, die nach dem 1. Juni 1994 öffentlich ausgelegt worden sind. Ferner war ein - hier nach summarischer Prüfung nicht gegebener - nachträglicher, auf Art. 100 Abs. 1 Sätze 3 und 4 BayBO 1994 oder Art. 93 Abs. 1 Sätze 3 und 4 BayBO 1998 gestützter Anpassungsbeschluss möglich (vgl. BayVGH, B.v. 8.5.2019 - 15 NE 19.551, 15 NE 19.579 - juris Rn. 24; Hahn in: Busse/Kraus, Bayerische Bauordnung, Stand: 143. EL Juli 2021, Art. 6 Rn. 285 ff). Für alle anderen Bebauungspläne verbleibt es bei dem Vorrang des Abstandsflächenrechts (vgl. Molodovsky/Famers/Waldmann, Bayerische Bauordnung, Stand: April 2001, Art. 7 Rn. 3.4.2.).
58
2.6.2. Die vorgesehene Verkürzung der Abstandsflächen kann offensichtlich auch nicht auf Art. 6 Abs. 5a Satz 2 BayBO gestützt werden, da die Bauherrin das 16-m-Privileg bereits auf den beiden Schmalseiten des Gebäudes für sich in Anspruch genommen hat. Die Anwendung des 16-m-Privilegs setzt jedoch voraus, dass vor den Außenwänden der anderen Gebäudeseiten die „vollen“ Abstandsflächen eingehalten werden (vgl. BayVGH, GrS, B.v. 17.4.2000 - 1.1999 - NVwZ-RR 2001, 291)
59
2.6. Nach Art. 6 Abs. 1 Satz 1 BayBO sind vor den Außenwänden von Gebäuden Abstandsflächen von oberirdischen Gebäuden freizuhalten. Art. 6 Abs. 2 Satz 1 BayBO bestimmt, dass Abstandsflächen auf dem Grundstück selbst liegen müssen. Sie dürfen darüber hinaus auch auf öffentlichen Verkehrs-, Grün- und Wasserflächen liegen, jedoch nur bis zu deren Mitte, Art. 6 Abs. 2 Satz 2 BayBO. Ferner dürfen sich ganz oder teilweise auf andere Grundstücke erstrecken, wenn rechtlich oder tatsächlich gesichert ist, dass sie nicht überbaut werden, Art. 6 Abs. 2 Satz 3 Alt. 1 BayBO. Die Tiefe der Abstandsfläche bemisst sich nach der Wandhöhe (Art. 6 Abs. 4 Satz 2 BayBO); sie wird senkrecht zur Wand gemessen, Art. 6 Abs. 4 Satz 1 BayBO.
60
Laut den zur Genehmigung gestellten Plänen hat die Nordfassade des Baukörpers Haus 5-8 eine Wandhöhe von 6,0 m (vermaßt, Ansicht Nord). Gemäß Art. 6 Abs. 5a Satz 3 BayBO ist die Höhe des Daches zur Wandhöhe nicht hinzuzurechnen, da dieses lediglich eine Neigung von 40° und im oberen Bereich von 6° aufweist. Das sich ergebende Maß H beträgt vorliegend daher 6,0 m (Art. 6 Abs. 4 Satz 5 BayBO). Die erforderliche Abstandsfläche beträgt im Gebiet der Antragsgegnerin 1 H, mindestens 3 m (Art. 6 Absatz 5a Satz 1 BayBO). Der Abstand zur Grundstücksgrenze des Nachbargrundstücks beträgt an dessen Süd-Ost-Ecke allerdings lediglich 4,60 m, an der Süd-West-Ecke 4,70 m (abgegriffen, Grundriss/Lageplan).
61
2.7. Auf die weiteren von den Antragstellern vorgebrachten Einwände gegen den Baukörper Haus 5-8 kommt es mangels Entscheidungserheblichkeit nicht an.
62
3. Hinsichtlich der Baugenehmigung für Haus 1-4 (PlanNr. …*) wird die in der Hauptsache erhobene Anfechtungsklage voraussichtlich ohne Erfolg sein, da diese Baugenehmigung bei summarischer Prüfung zwar rechtswidrig ist, jedoch keine nachbarschützenden Vorschriften zulasten der Antragsteller verletzt.
63
3.1. Freilich führt der Abstandsflächenverstoß des Baukörpers Haus 5-8 im Ergebnis auch dazu, dass der Baukörper Haus 1-4 gegen Art. 6 Abs. 3 BayBO verstößt, wonach sich die Abstandsflächen nicht überdecken dürfen. Da die Reduzierung der Abstandsflächen nur vor zwei Außenwänden in Anspruch genommen werden kann (Art. Art. 6 Abs. 5a S. 2 BayBO), führt die Unterschreitung der Abstandsflächentiefe vor einer weiteren Außenwand zum Verlust des 16-m-Privilegs. Dies gilt selbst dann, wenn diese Unterschreitung vor einer oder vor mehreren Außenwänden durch eine Satzungsregel i.S.d. Art. 7 Abs. 1 BayBO zugelassen wurde (VG Würzburg, U.v. 25.10.2000 - W 5 K 99.1484 - BeckRS 2000, 27726). Weil die Voraussetzungen des Art. 6 Abs. 5a Satz 2 BayBO nicht vorliegen, muss vor allen Außenwänden des Baukörpers Haus 5-8 - also auch vor der Westwand - die volle Abstandsfläche nach Art. 6 Abs. 5a Satz 1 BayBO eingehalten werden (vgl. Hahn in: Busse/Kraus, Bayerische Bauordnung, Stand: Juli 2021, Art. 6 Rn. 364, m.w.N.). Laut den zur Genehmigung gestellten Plänen beanspruchen beide Baukörper zwischen sich an den sich gegenüberliegenden Außenwänden jeweils das Schmalseitenprivileg (Baukörper Haus 1-4 an der Ostseite und Baukörper Haus 5-8 an der Westseite). Da der Baukörper Haus 5-8 dieses Privileg jedoch nicht für sich in Anspruch nehmen kann, führt dies zu einem Verstoß gegen Art. 6 Abs. 3 BayBO und damit dazu, dass auch der Baukörper Haus 1-4 das 16-m-Privileg nicht mehr in Anspruch nehmen darf.
64
Hierauf können sich die Antragsteller, die insbesondere die künftige Verschattung durch das Vorhaben rügen, jedoch nicht berufen. Die Verkürzung einer Abstandsfläche kann generell nur den Eigentümer in seinen Rechten verletzen, dessen Grundstück der betroffenen Außenwand gegenüberliegt. Für das sog. 16-m-Privileg ist zwar entschieden, dass sich der Nachbar auch darauf berufen kann, dass durch eine Verkürzung der Abstandsflächentiefen an den abgewandten Gebäudeseiten zugleich die gesetzlichen Voraussetzungen des Art. 6 Abs. 5a Satz 2 BayBO entfallen (BayVGH, B.v. 18.11.2019 - 2 CS 19.1891 - BeckRS 2019, 30497). Allerdings liegt das Nachbargrundstück dem Bauvorhaben (Haus 1-4) nicht gegenüber, sondern zu diesem nach Nord-Osten hin versetzt. Die Abstandsflächen des Baukörpers Haus 1-4 können damit nicht auf das Nachbargrundstück fallen. Aufgrund dessen scheidet eine Rechtsverletzung der Antragsteller insoweit aus.
65
3.2. Ein Verstoß gegen weitere nachbarschützenden Vorschriften des Bebauungsplans iVm der BauNVO 1977 (§ 1 Abs. 3 BauNVO 1977) bzw. des Bauplanungs- oder Bauordnungsrechts, das im vereinfachten Genehmigungsverfahren zu prüfen war, ist bei summarischer Prüfung nicht ersichtlich.
66
3.2.1. § 30 BauGB ist grundsätzlich nicht nachbarschützend, doch können Festsetzungen eines Bebauungsplans insoweit Rechte Dritter begründen, als sie über die städtebaulichen Ziele hinaus auch (einzelne) Grundstückseigentümer schützen oder begünstigen wollen (vgl. hierzu ausführlich: Dirnberger in: Busse/Kraus, Bayerische Bauordnung, Stand: 143. EL Juli 2021, Art. 66 Rn. 343 ff, m.w.N.). Einen allgemeinen Anspruch auf Plangewährleistung hat der Nachbar jedoch nicht (BVerwG, B.v. 12.9.1969 - IV B 113/69 - NJW 1970, 626).
67
Rügen der Antragsteller hinsichtlich etwaiger Verstöße gegen die BauNVO 1990 kommen nicht zum Tragen, da diese nicht einschlägig ist. Maßgeblich ist die BauNVO im Zeitpunkt der Beschlussfassung über den Bebauungsplan (vgl. hierzu ausführlich: Söfker in: Ernst/Zinkahn/Bielenberg/Krautzberger, Baugesetzbuch, Stand: Mai 2021, BauNVO § 1 Rn. 41) - hier der 29. November 1989 - also die BauNVO 1977. Die BauNVO 1990 trat erst am 27. Januar 1990 in Kraft.
68
3.2.1.1. Sofern sich die Antragsteller darauf berufen, dass durch das Vorhaben eine dichtere Bebauung ermöglicht werde und das Vorhaben die im Bebauungsplan festgesetzte Grund- und Geschossflächenzahl nicht einhielte, rügen sie bei verständiger Würdigung des Vortrags, dass für das Vorhaben eine Befreiung nach § 31 Abs. 2 BauGB von der zulässigen GFZ gewährt wurde (Befreiung Nr. 7). Darüber hinaus machen sie (bei verständiger Würdigung des Vortrags) geltend, dass eine ihrer Ansicht nach erforderliche Befreiung von der festgesetzten GRZ nicht erfolgte.
69
Soweit eine Befreiung gem. § 31 Abs. 2 BauGB erteilt wird, ist hinsichtlich des Nachbarschutzes zu differenzieren, ob von drittschützenden Festsetzungen eines Bebauungsplans oder von nicht drittschützenden Festsetzungen befreit wird. Handelt es sich um eine nachbarschützende Festsetzung, so hat der Nachbar einen Rechtsanspruch auf Einhaltung der tatbestandlichen Voraussetzungen des § 31 Abs. 2 BauGB (BayVGH, B. v. 26.2.2014 - 2 ZB 14.101 - juris Rn. 3). Entscheidend ist damit nicht nur, ob die Abweichung unter Würdigung nachbarlicher Interessen mit den öffentlichen Belangen vereinbar ist, sondern auch, ob die tatbestandsmäßigen Voraussetzungen des § 31 Abs. 2 BauGB im konkreten Fall erfüllt sind. Bei einer Befreiung von einer Festsetzung, die nicht drittschützend ist, werden nachbarschützende Rechte nur verletzt, wenn der Nachbar durch die Erteilung der Baugenehmigung unzumutbar beeinträchtigt wird; eine Rechtsverletzung kommt insoweit nur in dem im Begriff der „Würdigung nachbarlicher Interessen“ verankerten Rücksichtnahmegebot in Betracht (BayVGH, B.v. 6.8.2010 - 15 CS 09.3006 - juris Rn. 26; B.v. 24.3.2009 - 14 CS 08.3017 - juris Rn. 33, BVerwG, B.v. 9.3.1993 - 4 B 38/93 - juris Rn. 3).
70
Die Festsetzungen zur zulässigen Geschossflächen- und Grundflächenzahl im streitgegenständlichen WR 3 (GRZ: 0,35 und GFZ: 0,65, bei Dachgeschossausbau 0,8) sind nach summarischer Prüfung nicht nachbarschützend. Bei diesen Festsetzungen handelt es sich um Festsetzungen zum Maß der baulichen Nutzung. Diesen kommt grundsätzlich keine nachbarschützende Funktion zu (BVerwG, B.v. 19.10.1995 - 4 B215/95 - NVwZ 1996, 888; BayVGH, B.v. 24.3.2009 - 14 CS 08.3017 - juris Rn. 34). Ob Festsetzungen des Bebauungsplans ausnahmsweise Drittschutz zukommt, bestimmt sich danach, ob sie nach dem Willen des Plangebers ausschließlich städtebaulichen Gründen oder ausnahmsweise (zumindest auch) einem nachbarlichen Interessenausgleich im Sinne eines Austauschverhältnisses dienen sollen (BayVGH, B. v. 26.2.2014 - 2 ZB 14.101 - juris Rn. 4). Ein solcher Wille des Plangebers kann sich aus dem Bebauungsplan oder sonstigen mit der Planaufstellung in Zusammenhang stehenden Umständen ergeben (BayVGH, B.v. 29.7.2014 - 9 CS 14.1171 - juris Rn. 15).
71
Weder aus dem Bebauungsplan noch dessen Begründung ergeben sich bei summarischer Prüfung Anhaltpunkte dafür, dass die Festsetzungen zur Geschossflächen- und Grundflächenzahl hier ausnahmsweise drittschützend sein sollen. Vielmehr dienen beide Maßfaktoren dazu, die Dichte sowie die Größe der Bebauung zu regeln und verfolgen damit die rein städtebauliche Zielsetzung der Begrenzung der maximalen baulichen Nutzung.
72
Die Kammer lässt offen, ob es für den Baukörper Haus 1-4 einer Befreiung nach § 31 Abs. 2 BauGB von der festgesetzten GRZ bedurft hätte. Selbst wenn Letzteres der Fall sein sollte, implizierte dies keine Nachbarrechtsverletzung. Fehlt es an einer an sich erforderlichen Befreiung (sog. „versteckter Dispens“), so können Rechte des Nachbarn nur durch die Baugenehmigung selbst, nicht jedoch durch die - nicht existierende - Befreiung verletzt sein. Im Falle eines objektivrechtlichen Verstoßes gegen eine nicht nachbarschützende Festsetzung eines Bebauungsplans verbleibt dem Nachbarn Drittschutz in entsprechender Anwendung des § 15 Abs. 1 BauNVO unter Berücksichtigung der Interessenbewertung nach § 31 Abs. 2 BauGB nur nach Maßgabe des Rücksichtnahmegebots (BayVGH, B.v. 5.9.2016 - 15 CS 16.1536 - juris Rn. 33, m.w.N.).
73
Inhaltich zielt das Gebot der Rücksichtnahme darauf ab, Spannungen und Störungen, die durch unverträgliche Grundstücksnutzungen entstehen, möglichst zu vermeiden. Welche Anforderungen das Gebot der Rücksichtnahme begründet, hängt wesentlich von den jeweiligen Umständen des Einzelfalles ab. Für eine sachgerechte Bewertung des Einzelfalles kommt es wesentlich auf eine Abwägung zwischen dem, was einerseits dem Rücksichtnahmebegünstigten und andererseits dem Rücksichtnahmeverpflichteten nach Lage der Dinge zumutbar ist, an (BVerwG, U.v. 18.11.2004 - 4 C 1.04 - juris, Rn. 22; U.v. 29.11.2012 - 4 C 8.11 - juris Rn. 16; BayVGH, B.v. 12.9.2013 - 2 CS 13.1351 - juris Rn. 4). Bedeutsam ist ferner, inwieweit derjenige, der sich gegen das Vorhaben wendet, eine rechtlich geschützte wehrfähige Position inne hat (BVerwG, B.v. 6.12.1996 - 4 B 215.96 - juris Rn. 9). Eine Rechtsverletzung ist erst dann zu bejahen, wenn von dem Vorhaben eine unzumutbare Beeinträchtigung ausgeht (BayVGH, B.v. 22.6.2011 - 15 CS 11.1101 - juris Rn. 17).
74
In der Rechtsprechung ist anerkannt, dass eine Verletzung des Rücksichtnahmegebotes dann in Betracht kommt, wenn durch die Verwirklichung des genehmigten Vorhabens ein in der unmittelbaren Nachbarschaft befindliches Wohngebäude „eingemauert“ oder „erdrückt“ wird. Eine solche Wirkung kommt vor allem bei nach Höhe und Volumen „übergroßen“ Baukörpern in geringem Abstand zu benachbarten Wohngebäuden in Betracht (BVerwG, U.v. 13.3.1981 - 4 C 1.78 - juris Rn. 38: 12-geschossiges Gebäude in 15 m Entfernung zum 2,5-geschossigen Nachbarwohnhaus; U.v. 23.5.1986 - 4 C 34.85 - juris Rn. 15: Drei 11,05 m hohe Siloanlagen im Abstand von 6 m zu einem 2-geschossigen Wohnanwesen; BayVGH, B.v. 10.12.2008 - 1 CS 08.2770 - juris Rn. 23; B.v. 5.7.2011 - 14 CS 11.814 - juris Rn. 21). Hauptkriterien bei der Beurteilung einer „abriegelnden“ bzw. „erdrückenden“ Wirkung sind unter anderem die Höhe es Bauvorhabens und seine Länge sowie die Distanz der baulichen Anlage in Relation zur Nachbarbebauung (BayVGH, B.v. 19.3.2015 - 9 CS 14.2441 - juris Rn. 31; B.v. 23.4.2014 - 9 CS 14.222 - juris Rn. 12 m.w.N.).
75
Ein Verstoß gegen das Gebot der Rücksichtnahme ist angesichts der vergleichbaren Gebäudehöhen (das Bauvorhaben ist zweigeschossig mit Walmdach, das Reihenhaus der Antragsteller ist laut den öffentlich zugänglichen und für jedermann online einsehbaren Luftbildaufnahmen bei „Google Maps“ ebenfalls zweigeschossig mit ausgebautem Satteldach), der Gebäudeabstände zueinander (ca. 19 m, abgeriffen) und des Umstands, dass die Gebäude versetzt zueinander stehen nicht auszumachen. Für die Annahme der „abriegelnden“ bzw. „erdrückenden“ Wirkung eines Nachbargebäudes ist grundsätzlich kein Raum, wenn dessen Baukörper nicht erheblich höher ist als der des betroffenen Gebäudes, was insbesondere gilt, wenn die Gebäude im dicht bebauten innerstädtischen Bereich liegen (BayVGH, B.v. 11.5.2010 - 2 CS 10.454 - juris Rn. 5; B.v. 5.12.2012 - 2 CS 12.2290 - juris Rn. 9; B.v. 9.2.2015 - 2 CS 15.17 - n.v.).
76
3.2.1.2. Auch hinsichtlich der Rüge, dass im Bebauungsplan keine Ausnahmen und Befreiungen für die Überbauung der nördlichen Baugrenze durch Vordächer und Lichtschächte vorgesehen seien und das Vorhaben die festgelegte Baugrenze einhalten müsse, vermögen die Antragsteller nicht durchzudringen. Die Möglichkeit, Ausnahmen und Befreiungen iSd der Einzelfallgerechtigkeit zu gewähren, ergibt sich aus dem BauGB selbst (§ 31 BauGB). Eine gesonderte Erwähnung im Bebauungsplan ist hierfür nicht erforderlich. Weiterhin rügen die Antragsteller (bei verständiger Würdigung) die Gewährung von Befreiungen zur Überschreitung der Baugrenze (vgl. Befreiungen Nr. 1-4 in der streitgegenständlichen Baugenehmigung).
77
Die festgesetzte maßgebliche Baugrenze im streitgegenständlichen Bebauungsplan ist nach summarischer Prüfung ebenfalls nicht nachbarschützend. Festsetzungen zur überbaubaren Grundstücksfläche kommen grundsätzlich keine nachbarschützende Funktion zu (BVerwG, B.v. 19.10.1995 - 4 B215/95 - NVwZ 1996, 888; BayVGH, B.v. 24.3.2009 - 14 CS 08.3017 - juris Rn. 34). Auch hinsichtlich dieser Festsetzung ergeben sich weder aus dem Bebauungsplan noch dessen Begründung bei summarischer Prüfung Anhaltpunkte dafür, dass die Festsetzungen drittschützend sein sollte. Vielmehr dient sie vorliegend der rein städtebaulichen Zielsetzung, die überbaubaren und nicht überbaubaren Flächen voneinander abzugrenzen und begrünbare Freiflächen zu schaffen.
78
Auch ein Verstoß gegen das Gebot der Rücksichtnahme ist angesichts des geringen Umfangs der Befreiungen (Überschreiten der Baugrenze durch Müllstandplätze, Lichtschächte, Eingangsvordächer und eine Terrasse), der Gebäudeabstände von Bauvorhaben und dem Reihenhaus der Antragsteller zueinander sowie der versetzten Anordnung nicht auszumachen.
79
3.2.1.3. Die erteilte Befreiung hinsichtlich der Gewährung eines zusätzlichen offenen Stellplatzes und der Verschiebung der geplanten drei Garagen gegenüber dem im Bebauungsplan vorgesehenen Standort (Befreiung Nr. 5) verletzt nach summarischer Prüfung ebenfalls keine Rechte der Antragsteller. Gleiches gilt auch in Bezug auf gerügte Verstöße aufgrund der (etwaigen) Nichteinhaltung der zulässigen Garagen- und Stellplatzgrößen.
80
Bei der Ausweisung der Bauflächen für Garagen handelt es sich voraussichtlich ebenfalls nicht um eine nachbarschützende Vorschrift. Die Anordnung der Garagen diente ausweislich der Begründung zum Bebauungsplan allein der Schaffung ausreichend großer bepflanzter Freiflächen sowie gestalterischen Gründen (vgl. Begründung des Bebauungsplans, Nr. 2.1.3., Verkehrskonzept, S. 20 ff.).
81
Nach § 12 Abs. 1 BauNVO 1977 sind Stellplätze und Garagen grundsätzlich in allen Baugebieten zulässig. Für reine Wohngebiete macht § 12 Abs. 2 BauNVO 1977 zwar eine Einschränkung von diesem Grundsatz dahingehend, dass dort Stellplätze und Garagen nur für den durch die zugelassene Nutzung verursachten Bedarf zulässig sind. Anhaltspunkte dafür, dass vier Stellplätze für vier Einfamilienhäuser über den durch die zugelassene Nutzung verursachten Bedarf hinausgehen könnten, sind jedoch nicht ersichtlich.
82
Ein Verstoß gegen das Gebot der Rücksichtnahme ist nicht auszumachen. Die typischen Immissionen zulässiger Stellplätze und Garagen (vgl. § 12 BauNVO) sind zumutbar und grundsätzlich von den Nachbarn hinzunehmen (vgl. BVerwG U.v. 7.12.2006 - 4 C 11.05 - BVerwGE 127, 231 Rn. 16 = NVwZ 2007, 585 = ZfBR 2007, 265 = BauR 2007, 672; B.v. 20.3.2003 - 4 B 59.02 - NVwZ 2003, 1516 = Buchholz 406.12 § 12 BauNVO Nr. 10). Ein Sonderfall, der eine Ausnahme von diesem Grundsatz erforderte, ist vorliegend nicht gegeben.
83
Ob Stellplätze im Sinne des § 15 Abs. 1 Satz 2 BauNVO 1977 insbesondere aufgrund ihrer Anordnung unzumutbar sind, richtet sich nach der Eigenart des Baugebiets bzw. der maßgeblichen Umgebung. Die vier Garagen/Stellplätze sind an der Südseite des Baugrundstücks in einem Abstand von mindestens ca. 38 m zum Wohnhaus der Antragsteller geplant. Unzumutbare Auswirkungen sind daher nicht zu besorgen.
84
Gleiches gilt für den behaupteten künftigen Mangel an öffentlichen Parkplätzen. Dieser ist als mittelbare Auswirkung der der Art nach zulässigen Bebauung (Wohnen) von der Nachbarschaft hinzunehmen.
85
3.3. Vorschriften des bauordnungsrechtlichen Brandschutzes und zur bauordnungsrechtlichen Erschließung (Art. 4 BayBO) werden im vereinfachten Genehmigungsverfahren nicht geprüft, Art. 59 Satz 1 BayBO. Da die Baugenehmigung insoweit keine Feststellungen hinsichtlich der Vereinbarkeit des Vorhabens mit den einschlägigen öffentlich-rechtlichen Vorschriften trifft, scheidet eine Nachbarrechtsverletzung bereits aus diesem Grund aus (s.o.).
86
Die Antragsteller können daher auch mit ihrem Einwand, dass Zufahrtswege und Aufstellflächen für Feuerwehr- und Rettungsfahrzeuge fehlten, nicht durchdringen.
87
4. Die Kostenverteilung folgt aus § 155 Abs. 1 Satz 1 und 2 VwGO.
88
Es entspricht billigem Ermessen im Sinne von § 162 Abs. 3 VwGO, dass die Beigeladene ihre außergerichtlichen Kosten selbst trägt, da sie keinen Sachantrag gestellt und sich somit keinem Kostenrisiko ausgesetzt hat.
89
Die Streitwertfestsetzung beruht auf §§ 53 Abs. 2 Nr. 2, 52 Abs. 1 GKG i.V.m. Nr. 1.5 und 9.7.1 des Streitwertkatalogs für die Verwaltungsgerichtsbarkeit 2013.